物件掲載企業数:301|賃貸物件:3,182件|売買物件:3,223件|今週の登録物件:113
閲覧中のブラウザ(インターネットエクスプローラー)は非推奨ブラウザです。
物件が正しく表示されなかったり、正しく検索されない場合があります。最新のブラウザ(Google Chrome・Edgeなど)にてご利用お願いいたします。
  

新潟県柏崎市四谷1828 売土地・分譲地 4,000,000円の物件情報

76.98坪、多用途に

物件名/所在地 詳細 価格
柏崎市四谷2丁目売土地
新潟県柏崎市四谷1828
  • 土地面積
    :254.51㎡ /76.98坪
  • 坪単価
    :51,961円/坪
  • 建ぺい率
    :-
  • 容積率
    :-
4,000,000
  • 柏崎市四谷2丁目売土地
    株式会社 ホーメックス
  • この物件を問い合わせる/無料
  • TEL: 0257-24-0034

物件画像

外観 間取り
物件画像
※画像クリックで拡大表示
外観
物件画像
※画像クリックで拡大表示
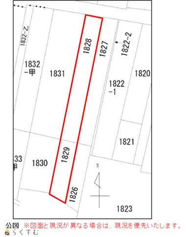
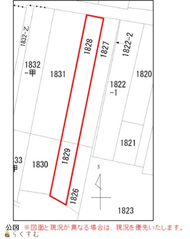
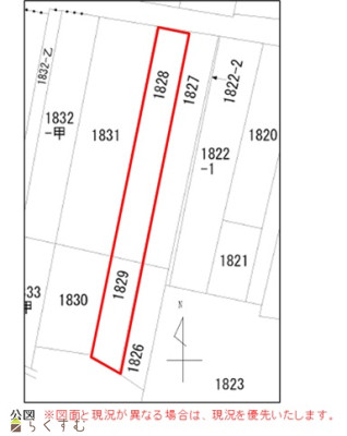
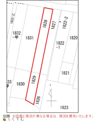
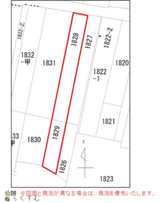
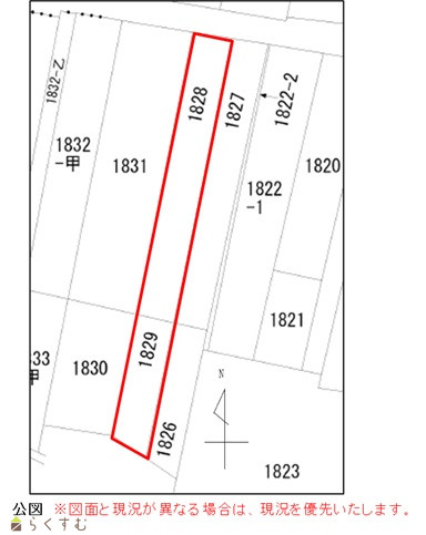
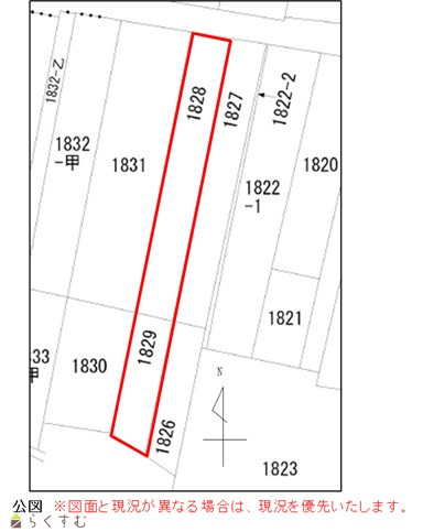
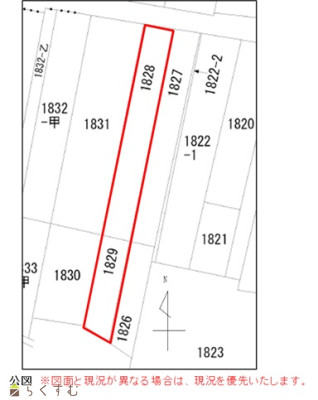
公図
詳細画像


物件概要

物件コード 00088-200796
物件名 柏崎市四谷2丁目売土地
交通 駅:越後線 東柏崎駅から徒歩9分、バス:常盤高校前から徒歩3分
物件所在地 新潟県柏崎市四谷1828
物件種別 売土地・分譲地
物件区分 売土地
構造 - 階建 -
建ぺい率/容積率 -
建物面積 -
土地面積 254.51㎡ /76.98坪
築年月 -
入居(引き渡し)時期 相談
用途地域 商業地域 地目 宅地・畑
都市計画 - 学校区 比角小学校(238m)・第二中学校(253m)
形状 - 道路 公道
私道 - その他の制限 準防火地域
  • 柏崎市四谷2丁目売土地
    株式会社 ホーメックス
  • この物件を問い合わせる/無料
  • TEL: 0257-24-0034

物件詳細情報

所在階/階数 - 号室 -
販売価格 4,000,000円 方位 -
間取り -
専有面積 - バルコニー面積 -
その他面積 - 駐車場 -
管理費 - 修繕積立金 -
現況 更地
仲介手数料 330,000円
利用制限 -
設備 前道6m以上、更地、学校近く、側溝、都市ガス(前面道路)、上水道(宅地内)、下水道(宅地内)
取引態様 一般
備考 農地法の申請が必要です。(費用買主様負担)
令和7年度固定資産税38,406円
都市ガスの敷地内引込は北陸ガス負担となります。
※1【道路中心から40mが商業地域】
取り扱い会社

株式会社 ホーメックス

新潟県柏崎市土合628-1

情報登録日 2026/01/19 次回更新予定日 2026/05/22
取引条件有効期限 2025/09/13
  • 柏崎市四谷2丁目売土地
    株式会社 ホーメックス
  • この物件を問い合わせる/無料
  • TEL: 0257-24-0034

この物件の地図・周辺情報・行政情報

この物件の周辺情報・行政情報を詳しく見る
【周辺情報】
物件の近くにあるコンビニや銀行・学校など、アイコン付のマップで詳しく表示できます!
【行政情報】
水道料や下水道料・ガス料金など、暮らしに関係のある情報を表示しています。
セブン-イレブン 柏崎四谷3丁目店(コンビニ)まで450m
ファミリーマート 柏崎扇町店(コンビニ)まで420m
クスリのアオキ 柏崎中央店(ドラッグストア)まで600m
つよしクリニック(病院)まで350m
木村内科循環器科医院(病院)まで630m
柏崎信用金庫 四谷支店(銀行)まで100m
大光銀行 柏崎南支店(銀行)まで550m
柏崎四谷郵便局(郵便局)まで40m

※カメラのアイコンがある場合は、マウスをポイントするとその施設の画像がご覧いただけます。


担当取扱い店舗情報

取扱い店舗画像
株式会社 ホーメックス
TEL: 0257-24-0034
所在地: 新潟県柏崎市土合628-1
交通:
営業時間: 8:30~17:30/定休日:土・日・祝(対応可能です) 年末年始・お盆・GW
免許番号: 新潟県知事(9)第3199号 この会社の情報を詳しく見る
所属団体名: 新潟県宅地建物取引業協会 柏崎支部
取引態様: 一般
ホームページ: http://homex.co.jp/