| 物件コード | 00088-200796 | ||
|---|---|---|---|
| 物件名 | 柏崎市四谷2丁目売土地 | ||
| 交通 | 駅:越後線 東柏崎駅から徒歩9分、バス:常盤高校前から徒歩3分 | ||
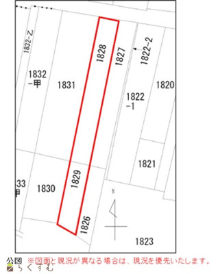
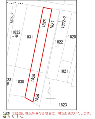
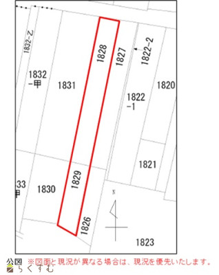
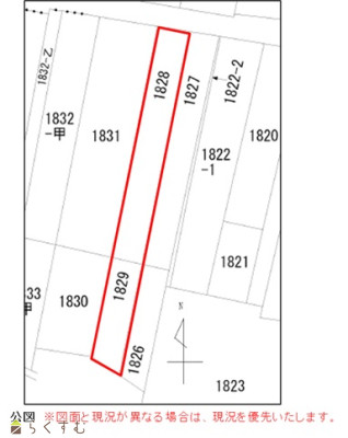
| 物件所在地 | 新潟県柏崎市四谷1828 | ||
| 物件種別 | 売土地・分譲地 | ||
| 物件区分 | 売土地 | ||
| 構造 | - | 階建 | - |
| 建ぺい率/容積率 | - | ||
| 建物面積 | - | ||
| 土地面積 | 254.51㎡ /76.98坪 | ||
| 築年月 | - | ||
| 入居時期 | 相談 | ||
| 用途地域 | 商業地域 | 地目 | 宅地・畑 |
| 都市計画 | - | 学校区 | 比角小学校(238m)・第二中学校(253m) |
| 形状 | - | 道路 | 公道 |
| 私道 | - | ||
| 所在階/階数 | - | 号室 | - |
|---|---|---|---|
| 販売価格 | 4,000,000円 | 方位 | - |
| 間取り | - | ||
| 専有面積 | - | バルコニー面積 | - |
| その他面積 | - | 駐車場 | - |
| 管理費 | - | 修繕積立金 | - |
| 現況 | 更地 | ||
| 仲介手数料 | 330,000円 | ||
| 利用制限 | - | ||
| 設備 | 前道6m以上、更地、学校近く、側溝、都市ガス(前面道路)、上水道(宅地内)、下水道(宅地内) | ||
| 取引態様 | 一般 | ||
| 備考 | 農地法の申請が必要です。(費用買主様負担) 令和7年度固定資産税38,406円 都市ガスの敷地内引込は北陸ガス負担となります。 ※1【道路中心から40mが商業地域】 |
||
| 情報登録日 | 2026/01/19 | 次回更新予定日 | 2026/05/22 |
| 取引条件有効期限 | 2025/09/13 | ||
|
|
|
|
| TEL: | 0257-24-0034 |
|---|---|
| 所在地: | 新潟県柏崎市土合628-1 |
| 交通: | |
| 営業時間: | 8:30~17:30/定休日:土・日・祝(対応可能です) 年末年始・お盆・GW |
| 免許番号: | 新潟県知事(9)第3199号 |
| 所属団体名: | 新潟県宅地建物取引業協会 柏崎支部 |
| 取引態様: | 一般 |