物件画像を詳しく見る

76.98坪、多用途に
物件概要
-
物件コード
00088-200796
-
物件名
柏崎市四谷2丁目売土地
-
交通
駅:越後線 東柏崎駅から徒歩9分、バス:常盤高校前から徒歩3分
-
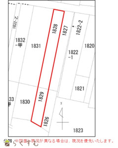
所在地
新潟県柏崎市四谷1828
物件へのルート表示
-
物件種別
売土地・分譲地
-
物件区分
売土地
-
構造
-
-
階建
-
-
建ぺい率/容積率
-
-
建物面積
-
-
土地面積
254.51㎡
/76.98坪
-
築年月
-
-
入居時期
相談
-
用途地域
商業地域
-
地目
宅地・畑
-
都市計画
-
-
形状
-
-
道路
公道
-
私道
-
-
その他の制限
準防火地域
物件詳細情報
-
所在階/階数
-
-
号室
-
-
販売価格
4,000,000円
-
方位
-
-
間取り
-
-
専有面積
-
-
バルコニー面積
-
-
その他面積
-
-
駐車場
-
-
管理費
-
-
修繕積立金
-
-
現況
更地
-
仲介手数料
330,000円
-
おすすめ条件
-
-
学校区
比角小学校(238m)・第二中学校(253m)
-
設備
前道6m以上、更地、学校近く、側溝、都市ガス(前面道路)、上水道(宅地内)、下水道(宅地内)
-
取引態様
一般
-
情報登録日
2026/01/19
-
次回更新予定日
2026/04/16
-
取引条件有効期限
2025/09/13
備考
農地法の申請が必要です。(費用買主様負担)
令和7年度固定資産税38,406円
都市ガスの敷地内引込は北陸ガス負担となります。
※1【道路中心から40mが商業地域】
取扱い会社
株式会社 ホーメックス
-
TEL
0257-24-0034
-
所在地
新潟県柏崎市土合628-1
-
交通
-
営業時間
8:30~17:30/定休日:土・日・祝(対応可能です) 年末年始・お盆・GW
-
免許番号
新潟県知事(9)第3199号
-
所属団体名
新潟県宅地建物取引業協会 柏崎支部
-
取引態様
一般