
北園町40坪売土地 詳細
お気に入り
追加済み
物件画像を詳しく見る

南東角地
物件概要
-
物件コード
00037-200169
-
物件名
北園町40坪売土地
-
交通
駅:越後線 東柏崎駅から徒歩10分、バス:柏崎温泉入口から徒歩2分
-
所在地
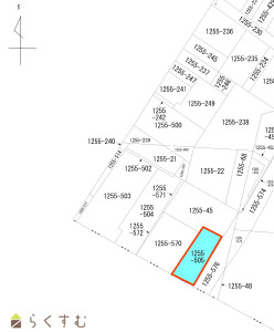
新潟県柏崎市北園町1255-505
物件へのルート表示
-
物件種別
売土地・分譲地
-
物件区分
売土地
-
構造
-
-
階建
-
-
建ぺい率/容積率
60%/200%
-
建物面積
-
-
土地面積
132.25㎡
/40坪
-
築年月
-
-
入居時期
相談
-
用途地域
第1種中高層住居専用地域
-
地目
宅地 (現状:宅地)
-
都市計画
非線引き都市計画区域
-
形状
-
-
道路
南南西、南南東側 公道
-
私道
-
-
その他の制限
-
物件詳細情報
-
所在階/階数
-
-
号室
-
-
販売価格
3,600,000円
-
方位
-
-
間取り
-
-
専有面積
-
-
バルコニー面積
-
-
その他面積
-
-
駐車場
-
-
管理費
-
-
修繕積立金
-
-
現況
空家
-
仲介手数料
180,400円
-
おすすめ条件
-
-
学校区
柏崎小学校(936m)・第一中学校(725m)
-
設備
角地、前道6m以上、南側道路面す、建築条件なし、所有権、側溝、都市ガス(前面道路)、下水道(前面道路)、電気、住宅向け、事業用向け
-
取引態様
一般
-
情報登録日
2025/06/17
-
次回更新予定日
2026/04/16
-
取引条件有効期限
2025/12/31
備考
現状、ガレージと倉庫が建っていますが解体後更地渡しです
取扱い会社
株式会社 ai-will
-
TEL
0257-35-5370
-
所在地
新潟県柏崎市田中10-31
-
交通
国道8号線よりすぐ
-
営業時間
平日9:00~18:00土日祝10:00~16:0/定休日:当社規定 (お盆・年末年始・GW)
-
免許番号
新潟県知事(4)4821号
-
所属団体名
新潟県宅地建物取引協会 柏崎支部
-
取引態様
一般
Copyright(C)柏崎不動産業協会.
All Rights Reserved.