
見附市学校町 店舗 詳細
お気に入り
追加済み
物件画像を詳しく見る

※交渉中
物件概要
-
物件コード
00063-200096
-
物件名
見附市学校町 店舗
-
交通
駅:信越線 見附駅から徒歩20分、バス:見附保育園前から徒歩2分
-
所在地
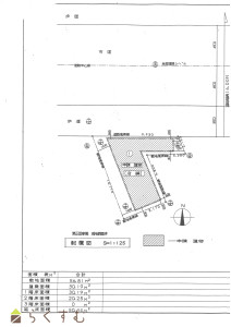
新潟県見附市学校町1丁目477-6
物件へのルート表示
-
物件種別
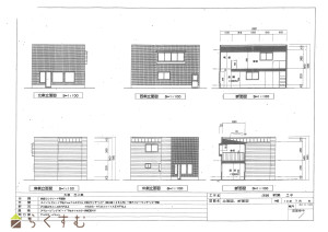
中古一戸建て
-
構造
木造
-
階建
地上2階建
-
建ぺい率/容積率
60%/200%
-
建物面積
50.44㎡
/15.25坪
-
土地面積
131.51㎡
/39.78坪
-
築年月
1998年1月(築28年)
-
入居時期
相談
-
用途地域
準工業地域
-
地目
宅地
-
都市計画
市街化区域
-
形状
間口 10m
-
道路
北側:市道
-
私道
-
-
その他の制限
-
物件詳細情報
-
所在階/階数
-
-
号室
-
-
販売価格
3,800,000円
-
方位
-
-
間取り
2K
-
専有面積
-
-
バルコニー面積
-
-
その他面積
-
-
駐車場
-
-
管理費
-
-
修繕積立金
-
-
現況
空家
-
仲介手数料
330,000円
-
利用制限
-
-
学校区
見附小学校(395m)・見附中学校(1,277m)
-
設備
日当り良好、駐車3台以上可能、都市ガス、上水道、下水道、田舎暮らし、事業向け
-
取引態様
一般
-
情報登録日
2026/01/14
-
次回更新予定日
2026/04/19
-
取引条件有効期限
2026/06/08
備考
駐車場3台可(カーポート)
未登記建物
現況有姿取引
土地は4筆
取扱い会社
株式会社 山六木材
Copyright (C) 株式会社 コモンライフ・コーポレーション. All Rights Reserved.
不動産検索サイト「らくすむ」及び関連サイトに記載の不動産情報は、会員規約に則り、情報提供会社様の責任のもとに発信されております。
不動産の賃借、購入に関しては賃借者、購入者ご自身が情報を確認され、会社企業様から説明を受けられたうえで判断をお願いいたします。
不動産検索サイト「らくすむ」及び関連サイトに記載の不動産情報、写真、デザイン、コンテンツなどの無断転載・転用・複製など禁止します。