
東与板B(管理番号Y15-B) 詳細
お気に入り
追加済み
物件画像を詳しく見る
物件概要
-
物件コード
00024-200132
-
物件名
東与板B(管理番号Y15-B)
-
交通
バス:東与板から徒歩2分
-
所在地
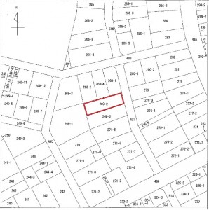
新潟県長岡市与板町東与板269番2
物件へのルート表示
-
物件種別
売土地・分譲地
-
物件区分
売土地
-
構造
-
-
階建
-
-
建ぺい率/容積率
60%/200%
-
建物面積
-
-
土地面積
281㎡
/85坪
-
築年月
-
-
入居時期
随時入居(引き渡し)可
-
用途地域
第1種住居地域
-
地目
畑
-
都市計画
市街化区域
-
形状
-
-
道路
5.4m消雪あり
-
私道
-
-
その他の制限
-
物件詳細情報
-
所在階/階数
-
-
号室
-
-
販売価格
5,525,000円
-
方位
-
-
間取り
-
-
専有面積
-
-
バルコニー面積
-
-
その他面積
-
-
駐車場
-
-
管理費
-
-
修繕積立金
-
-
現況
-
仲介手数料
248,325円
-
利用制限
-
-
学校区
与板小学校(453m)・与板中学校(239m)
-
設備
学校近く、閑静な住宅街、建築条件なし、所有権、即引き渡し可、都市ガス(前面道路)、上水道(前面道路)、下水道(前面道路)、電気、住宅向け
-
取引態様
専任
-
情報登録日
2023/11/21
-
次回更新予定日
2026/04/20
-
取引条件有効期限
2030/09/30
備考
取扱い会社
株式会社 エヌ・アール・ケー総合企画
Copyright (C) 株式会社 コモンライフ・コーポレーション. All Rights Reserved.
不動産検索サイト「らくすむ」及び関連サイトに記載の不動産情報は、会員規約に則り、情報提供会社様の責任のもとに発信されております。
不動産の賃借、購入に関しては賃借者、購入者ご自身が情報を確認され、会社企業様から説明を受けられたうえで判断をお願いいたします。
不動産検索サイト「らくすむ」及び関連サイトに記載の不動産情報、写真、デザイン、コンテンツなどの無断転載・転用・複製など禁止します。