1
物件掲載企業数:
297
社
|賃貸物件:
3,621
件|売買物件:
3,322
件|今週の登録物件:
243
件
閲覧中のブラウザ(インターネットエクスプローラー)は非推奨ブラウザです。
物件が正しく表示されなかったり、正しく検索されない場合があります。最新のブラウザ(Google Chrome・Edgeなど)にてご利用お願いいたします。
Google Chrome
Microsoft Edge
アパート・マンション・一戸建て
駐車場
貸土地
店舗
事務所
倉庫・工場
新築分譲マンション
中古マンション
新築一戸建て
中古一戸建て
売土地・分譲地
その他(投資物件など)
マンション
一戸建て
土地
ホーム
>
会社情報
>
物件種別選択
> 物件一覧
株式会社 ai-will
の
売土地・分譲地
物件情報
29件
該当しました。
1
2
次のページ>
表示切替:
一覧表示
/
地図表示
並び替え:
指定なし
新着順
価格が安い順
価格が高い順
画像
物件名/所在地/取扱店
詳細
仲介手数料なし!
価格見直し!!西山町尾野内 R116号線近く126坪
新潟県柏崎市西山町尾野内209-1
株式会社 ai-will
価格
:
200,000
円
土地面積
:418.78㎡ /126.68坪
坪単価
:1,578円/坪
建ぺい率
:70%
容積率
:200%
米山インターすぐ!高台の別荘地
笠島シーサイドヴィラ69坪
新潟県柏崎市笠島435-20
株式会社 ai-will
価格
:
1,000,000
円
土地面積
:230㎡ /69.57坪
坪単価
:14,374円/坪
建ぺい率
:-
容積率
:-
半田2丁目39.0坪売土地
新潟県柏崎市半田2丁目813-1
株式会社 ai-will
価格
:
1,000,000
円
土地面積
:129㎡ /39.02坪
坪単価
:25,627円/坪
建ぺい率
:70%
容積率
:200%
鯨波海水浴場まで徒歩5分
鯨波2丁目高台ガレージ付き
新潟県柏崎市鯨波2丁目
株式会社 ai-will
価格
:
1,000,000
円
土地面積
:208.26㎡ /62.99坪
坪単価
:15,875円/坪
建ぺい率
:70%
容積率
:200%
県道沿いに飛び地の駐車場付き!
西本町3丁目51坪+飛び地駐車場
新潟県柏崎市西本町3丁目944
株式会社 ai-will
価格
:
1,500,000
円
土地面積
:171㎡ /51.72坪
坪単価
:29,002円/坪
建ぺい率
:60%
容積率
:200%
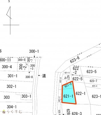
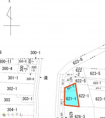
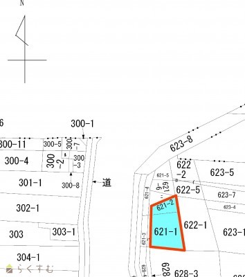
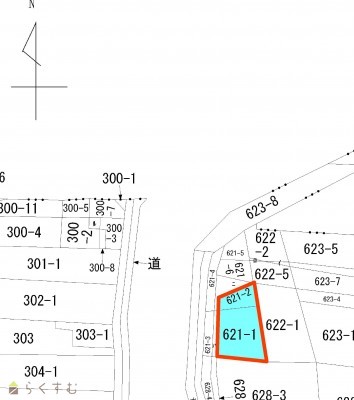
柏崎駅近く22坪!
柳橋町22.6坪 駐車場、倉庫用地に☆
新潟県柏崎市柳橋町621-1、621-2
株式会社 ai-will
価格
:
1,808,000
円
土地面積
:74.74㎡ /22.6坪
坪単価
:80,000円/坪
建ぺい率
:70%
容積率
:200%
閑静な住宅地
米山台4丁目売土地
新潟県柏崎市米山台4丁目1967-32
株式会社 ai-will
価格
:
2,000,000
円
土地面積
:261.24㎡ /79.02坪
坪単価
:25,310円/坪
建ぺい率
:50%
容積率
:100%
三島町売土地
新潟県柏崎市三島町720-10他3筆
株式会社 ai-will
価格
:
2,000,000
円
土地面積
:171.84㎡ /51.98坪
坪単価
:38,476円/坪
建ぺい率
:50%
容積率
:100%
柏崎海浜公園まで約200m
東の輪町売土地
新潟県柏崎市東の輪町丙59-3
株式会社 ai-will
価格
:
2,800,000
円
土地面積
:204.95㎡ /61.99坪
坪単価
:45,168円/坪
建ぺい率
:60%
容積率
:200%
プラント5、コンビニまで徒歩すぐ
割町新田売り土地 プラント5近く
新潟県刈羽郡刈羽村割町新田863-3
株式会社 ai-will
価格
:
3,000,000
円
土地面積
:183㎡ /55.35坪
坪単価
:54,200円/坪
建ぺい率
:70%
容積率
:200%
米山台3丁目売土地
新潟県柏崎市米山台3丁目3086-84
株式会社 ai-will
価格
:
3,000,000
円
土地面積
:172.03㎡ /52.03坪
坪単価
:57,659円/坪
建ぺい率
:50%
容積率
:100%
スーパー目の前!
安田228坪
新潟県柏崎市安田3470-1
株式会社 ai-will
価格
:
3,000,000
円
土地面積
:757㎡ /228.99坪
坪単価
:13,101円/坪
建ぺい率
:70%
容積率
:200%
南側道路
松美2丁目42.9坪売土地
新潟県柏崎市松美2丁目498
株式会社 ai-will
価格
:
3,240,000
円
土地面積
:142㎡ /42.95坪
坪単価
:75,436円/坪
建ぺい率
:60%
容積率
:200%
南東角地
北園町40坪売土地
新潟県柏崎市北園町1255-505
株式会社 ai-will
価格
:
3,600,000
円
土地面積
:132.25㎡ /40坪
坪単価
:90,000円/坪
建ぺい率
:60%
容積率
:200%
すぐ裏手が浜辺です♪
荒浜3丁目 浜辺近く91坪
新潟県柏崎市荒浜3丁目78-1
株式会社 ai-will
価格
:
3,900,000
円
土地面積
:303.87㎡ /91.92坪
坪単価
:42,428円/坪
建ぺい率
:70%
容積率
:200%
値下げしました!前面道路除雪車入ります
希望が丘 売土地64.97坪
新潟県柏崎市希望が丘1-14
株式会社 ai-will
価格
:
4,000,000
円
土地面積
:214.8㎡ /64.97坪
坪単価
:61,566円/坪
建ぺい率
:70%
容積率
:200%
現状ガレージ5台分あり
米山台2丁目売り地 現状ガレージあり
新潟県柏崎市米山台2丁目17
株式会社 ai-will
価格
:
4,500,000
円
土地面積
:306.72㎡ /92.78坪
坪単価
:48,501円/坪
建ぺい率
:50%
容積率
:100%
柏崎 人気エリア 第一中学校区!!
栄町売土地
新潟県柏崎市栄町2105番37
株式会社 ai-will
価格
:
4,500,000
円
土地面積
:117.41㎡ /35.51坪
坪単価
:126,724円/坪
建ぺい率
:60%
容積率
:200%
更地引渡し
比角1丁目売土地
新潟県柏崎市比角1丁目10-9
株式会社 ai-will
価格
:
5,000,000
円
土地面積
:190.3㎡ /57.56坪
坪単価
:86,865円/坪
建ぺい率
:60%
容積率
:200%
プラント5まで徒歩約5分
刈羽村割町新田 ☆133坪☆
新潟県刈羽郡刈羽村割町新田744
株式会社 ai-will
価格
:
5,500,000
円
土地面積
:442㎡ /133.7坪
坪単価
:41,136円/坪
建ぺい率
:70%
容積率
:400%
表示切替:
一覧表示
/
地図表示
並び替え:
指定なし
新着順
価格が安い順
価格が高い順
価格は物件の代金総額を表示しており、消費税が課税される場合は税込み価格です。
建築条件付き土地価格には、建物価格は含まれません。
物件情報の詳細については取り扱い店までお問い合わせください。
完成予想図はいずれも外構・植栽・外観等実際のものと異なることが多少あります。
CG合成の画像の場合実際と異なることが多少あります。
完成後1年以上経過したものが未入居として記載される場合があります。ご了承ください。
販売予定物件は販売開始するまで契約または予約の申し込みはできません。
ご購入の場合物件詳細や契約内容についてご自身で十分ご確認いただきますようよろしく御願いします。
建築条件付きとは…その土地に建築する建物の建築請負契約が、一定期間内に成立することを条件として売買される土地のことをいいます。請負契約成立に向けて設計プランを協議するため、土地購入者が希望する建物にするために一定の期間(概ね3ヶ月)交渉期間としその期間内に希望するプランが実現できたかどうかによって土地の購入の判断をします。納得のいくプランができず請負契約が未成立になった場合、土地契約にかかった代金(手付金など)は、すべて返却されます。
29件
該当しました。
1
2
次のページ>
0件
がマッチ
基本条件
物件種別
売土地・分譲地
詳細種別
売土地
分譲地
価格
下限なし
100万円
250万円
500万円
1000万円
1500万円
2000万円
2500万円
3000万円
3500万円
4000万円
4500万円
5000万円
5500万円
6000万円
6500万円
7000万円
7500万円
8000万円
8500万円
9000万円
9500万円
1億円
~
上限なし
100万円
250万円
500万円
1000万円
1500万円
2000万円
2500万円
3000万円
3500万円
4000万円
4500万円
5000万円
5500万円
6000万円
6500万円
7000万円
7500万円
8000万円
8500万円
9000万円
9500万円
1億円
間取り
ワンルーム
1K
1DK
1LDK
2K
2DK
2LDK
3K
3DK
3LDK
4K
4DK
4LDK以上
専有面積
下限なし
20㎡
30㎡
40㎡
50㎡
60㎡
70㎡
80㎡
90㎡
100㎡
~
上限なし
20㎡
30㎡
40㎡
50㎡
60㎡
70㎡
80㎡
90㎡
100㎡
土地面積
下限なし
60㎡ (約18坪)
70㎡ (約21坪)
80㎡ (約24坪)
90㎡ (約27坪)
100㎡ (約30坪)
110㎡ (約33坪)
120㎡ (約36坪)
130㎡ (約39坪)
140㎡ (約42坪)
150㎡ (約45坪)
160㎡ (約48坪)
170㎡ (約51坪)
180㎡ (約54坪)
190㎡ (約57坪)
200㎡ (約60坪)
250㎡ (約75坪)
300㎡ (約90坪)
~
上限なし
60㎡ (約18坪)
70㎡ (約21坪)
80㎡ (約24坪)
90㎡ (約27坪)
100㎡ (約30坪)
110㎡ (約33坪)
120㎡ (約36坪)
130㎡ (約39坪)
140㎡ (約42坪)
150㎡ (約45坪)
160㎡ (約48坪)
170㎡ (約51坪)
180㎡ (約54坪)
190㎡ (約57坪)
200㎡ (約60坪)
250㎡ (約75坪)
300㎡ (約90坪)
建物面積
下限なし
60㎡ (約18坪)
70㎡ (約21坪)
80㎡ (約24坪)
90㎡ (約27坪)
100㎡ (約30坪)
110㎡ (約33坪)
120㎡ (約36坪)
130㎡ (約39坪)
140㎡ (約42坪)
150㎡ (約45坪)
160㎡ (約48坪)
170㎡ (約51坪)
180㎡ (約54坪)
190㎡ (約57坪)
200㎡ (約60坪)
250㎡ (約75坪)
300㎡ (約90坪)
~
上限なし
60㎡ (約18坪)
70㎡ (約21坪)
80㎡ (約24坪)
90㎡ (約27坪)
100㎡ (約30坪)
110㎡ (約33坪)
120㎡ (約36坪)
130㎡ (約39坪)
140㎡ (約42坪)
150㎡ (約45坪)
160㎡ (約48坪)
170㎡ (約51坪)
180㎡ (約54坪)
190㎡ (約57坪)
200㎡ (約60坪)
250㎡ (約75坪)
300㎡ (約90坪)
坪単価
下限なし
5万円
10万円
15万円
20万円
25万円
30万円
35万円
40万円
45万円
50万円
~
上限なし
5万円
10万円
15万円
20万円
25万円
30万円
35万円
40万円
45万円
50万円
築年数
指定なし
新築
3年以内
5年以内
10年以内
15年以内
20年以内
方位
北
北東
東
南東
南
南西
西
北西
おすすめ条件
ペット可・相談
楽器可・相談
情報公開日
指定なし
本日
3日以内
1週間以内
1ヶ月以内
0件
がマッチ
人気のあるこだわり条件
高台に立地(4)
角地(5)
整形地(1)
前道6m以上(8)
南側道路面す(7)
更地(15)
学校近く(5)
スーパー近く(3)
最寄り駅近く(7)
閑静な住宅街(10)
建築条件なし(28)
所有権(27)
即引き渡し可(12)
側溝(14)
都市ガス(前面道路)(12)
上水道(前面道路)(14)
下水道(前面道路)(10)
電気(4)
都市ガス(宅地内)(10)
上水道(宅地内)(12)
下水道(宅地内)(14)
住宅向け(21)
事業用向け(11)
別荘地(7)
田舎暮らし(5)
条件に合った物件数は、
0 件
です。
立地・環境
高台に立地(4)
角地(5)
整形地(1)
前道6m以上(8)
南側道路面す(7)
更地(15)
学校近く(5)
スーパー近く(3)
最寄り駅近く(7)
閑静な住宅街(10)
用途・制限
建築条件なし(28)
引渡・条件
所有権(27)
即引き渡し可(12)
設備
側溝(14)
都市ガス(前面道路)(12)
上水道(前面道路)(14)
下水道(前面道路)(10)
電気(4)
都市ガス(宅地内)(10)
上水道(宅地内)(12)
下水道(宅地内)(14)
その他
住宅向け(21)
事業用向け(11)
別荘地(7)
田舎暮らし(5)
条件に合った物件数は、
0 件
です。
アパート・マンション・一戸建て
/
駐車場
/
貸土地
/
店舗
/
事務所
/
倉庫・工場
新築分譲マンション
/
中古マンション
/
新築一戸建て
/
中古一戸建て
/
売土地
/
投資物件・その他
マンション
/
一戸建て
/
土地
建てる・リフォーム
物件掲載企業一覧
掲載希望の企業様へ
新潟の不動産情報サイト
サービス利用規約
運営会社
サイトマップ
プライバシーポリシー
お問い合わせ
リンク
Copyright (C)
株式会社 コモンライフ・コーポレーション
. All Rights Reserved.
新潟・長岡・柏崎の賃貸・マンション・アパート・住宅の不動産物件情報サイト
不動産検索サイト「らくすむ」及び関連サイトに記載の不動産情報は、会員規約に則り、情報提供会社様の責任のもとに発信されております。
不動産の賃借、購入に関しては賃借者、購入者ご自身が情報を確認され、会社企業様から説明を受けられたうえで判断をお願いいたします。
不動産検索サイト「らくすむ」及び関連サイトに記載の不動産情報、写真、デザイン、コンテンツなどの
無断転載・転用・複製
など禁止します。