1
物件掲載企業数:
297
社
|賃貸物件:
3,612
件|売買物件:
3,333
件|今週の登録物件:
145
件
閲覧中のブラウザ(インターネットエクスプローラー)は非推奨ブラウザです。
物件が正しく表示されなかったり、正しく検索されない場合があります。最新のブラウザ(Google Chrome・Edgeなど)にてご利用お願いいたします。
Google Chrome
Microsoft Edge
アパート・マンション・一戸建て
駐車場
貸土地
店舗
事務所
倉庫・工場
新築分譲マンション
中古マンション
新築一戸建て
中古一戸建て
売土地・分譲地
その他(投資物件など)
マンション
一戸建て
土地
ホーム
>
会社情報
>
物件種別選択
> 物件一覧
有限会社 ABCホーム
の
売土地・分譲地
物件情報
26件
該当しました。
1
2
次のページ>
表示切替:
一覧表示
/
地図表示
並び替え:
指定なし
新着順
価格が安い順
価格が高い順
画像
物件名/所在地/取扱店
詳細
長岡市中心部や周辺地域へアクセスが良い好立地♪
【売り土地】長岡市石内1丁目
新潟県長岡市石内1丁目88番、89番
有限会社 ABCホーム
価格
:
2,000,000
円
土地面積
:158.47㎡ /47.93坪
坪単価
:41,727円/坪
建ぺい率
:60%
容積率
:160%
閑静な立地です♪長岡東バイパスへアクセス良好です♪
町田町 売土地 価格改定致しました♪
新潟県長岡市町田町720-1
有限会社 ABCホーム
価格
:
3,000,000
円
土地面積
:297.68㎡ /90.04坪
坪単価
:33,318円/坪
建ぺい率
:70%
容積率
:200%
前面道路消雪あり。車庫や倉庫用地としてもおすすめです。
【売り土地】長岡市愛宕2丁目
新潟県長岡市愛宕2丁目甲1566番6
有限会社 ABCホーム
価格
:
3,700,000
円
土地面積
:82.71㎡ /25.01坪
坪単価
:147,940円/坪
建ぺい率
:70%
容積率
:160%
宮内駅、ショッピングセンター徒歩圏内の利便性の良い立地です♪
曲新町3丁目 売土地
新潟県長岡市曲新町3丁目436番1
有限会社 ABCホーム
価格
:
4,000,000
円
土地面積
:99.17㎡ /29.99坪
坪単価
:133,377円/坪
建ぺい率
:60%
容積率
:160%
ちょうど良い広さの整形地。静かな環境で落ち着いた暮らしを。
【売り土地】長岡市小曽根町売り土地 建物解体更地渡し
新潟県長岡市小曽根町384-2
有限会社 ABCホーム
価格
:
4,200,000
円
土地面積
:174.68㎡ /52.84坪
坪単価
:79,485円/坪
建ぺい率
:70%
容積率
:200%
136坪の広々とした土地でスローライフはいかがでしょうか♪(37坪の農地が別途つきます)東側、綺麗な景色が広がります♪車庫・物置は相談可能です。現状引き渡しの場合は売買価格250万円
滝谷町売土地(解体更地渡し)現状引き渡しは250万円
新潟県長岡市滝谷町623番2、632番2
有限会社 ABCホーム
価格
:
5,000,000
円
土地面積
:451.39㎡ /136.54坪
坪単価
:36,619円/坪
建ぺい率
:70%
容積率
:200%
【価格改定 600万円→500万円】国道17号線へのアクセス良好。大きな土地ですので資材置き場や車両置場などにおすすめ
【売り土地】長岡市横枕町字明院 売り土地
新潟県長岡市横枕町489番1ほか
有限会社 ABCホーム
価格
:
5,000,000
円
土地面積
:1,427.44㎡ /431.8坪
坪単価
:11,579円/坪
建ぺい率
:70%
容積率
:200%
農家住宅、資材置場向けとなります。
下条町売土地
新潟県長岡市下条町1224,1225,1384-5
有限会社 ABCホーム
価格
:
5,000,000
円
土地面積
:338.22㎡ /102.31坪
坪単価
:48,871円/坪
建ぺい率
:70%
容積率
:200%
長岡シビックコア徒歩圏内♪静かな環境で落ち着いた暮らしを。
【売り土地】長岡市宮内8丁目売り土地 建物解体更地渡し
新潟県長岡市宮内8丁目4317-1
有限会社 ABCホーム
価格
:
5,200,000
円
土地面積
:126.93㎡ /38.39坪
坪単価
:135,451円/坪
建ぺい率
:70%
容積率
:180%
【建物解体更地渡し】価格改定660万円→560万円 国道17号線へのアクセス良好♪のどかな田園風景にゆったりとした敷地
【売り土地】長岡市十日町字西野々
新潟県長岡市十日町字西野々1381番地
有限会社 ABCホーム
価格
:
5,600,000
円
土地面積
:490.86㎡ /148.48坪
坪単価
:37,715円/坪
建ぺい率
:70%
容積率
:200%
日当たりのよいコンパクトな売り土地。徒歩10分圏内に豊富なショッピングエリアあり♪
【売り土地】長岡市東栄3丁目売り土地
新潟県長岡市東栄3丁目122ー4
有限会社 ABCホーム
価格
:
6,000,000
円
土地面積
:136.85㎡ /41.39坪
坪単価
:144,962円/坪
建ぺい率
:70%
容積率
:160%
【3区画分譲地】国道17号線へのアクセス良好♪のどかな田園風景にゆったりとした敷地
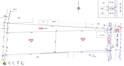
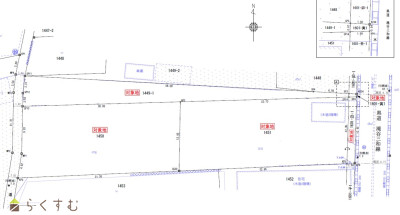
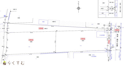
【区画③分譲地】長岡市十日町3区画分譲地
新潟県長岡市十日町字西野々821番4、1462番2
有限会社 ABCホーム
価格
:
6,200,000
円
土地面積
:621.05㎡ /187.86坪
坪単価
:33,003円/坪
建ぺい率
:70%
容積率
:200%
【3区画分譲地】国道17号線へのアクセス良好♪のどかな田園風景にゆったりとした敷地
【区画①分譲地】長岡市十日町3区画分譲地
新潟県長岡市十日町字西野々1450番ほか
有限会社 ABCホーム
価格
:
6,200,000
円
土地面積
:1,080.59㎡ /326.87坪
坪単価
:18,967円/坪
建ぺい率
:70%
容積率
:200%
広々として日当たりがとても良好な土地です♪価格850万円→700万円に改定しました。
浦瀬町売土地(124.44坪)
新潟県長岡市浦瀬町2308-1
有限会社 ABCホーム
価格
:
7,000,000
円
土地面積
:411.4㎡ /124.44坪
坪単価
:56,252円/坪
建ぺい率
:70%
容積率
:200%
利便性の良い川崎エリア♪消雪道路に面した整形地。解体更地渡しとなります。隣地も販売中
【売り土地】長岡市川崎2丁目2549番6
新潟県長岡市川崎2丁目2549番6
有限会社 ABCホーム
価格
:
8,000,000
円
土地面積
:167.2㎡ /50.57坪
坪単価
:158,196円/坪
建ぺい率
:60%
容積率
:160%
農家住宅、資材置場としていかがでしょうか
柿町・町田町売土地
新潟県長岡市町田町字水上6-2、柿町字沖田5334-1
有限会社 ABCホーム
価格
:
8,400,000
円
土地面積
:686.51㎡ /207.66坪
坪単価
:40,450円/坪
建ぺい率
:70%
容積率
:200%
利便性の良い川崎エリア♪消雪道路に面した整形地。解体更地渡しとなります。隣地も販売中
【売り土地】長岡市川崎2丁目2549番5
新潟県長岡市川崎2丁目2549番5
有限会社 ABCホーム
価格
:
8,900,000
円
土地面積
:165.3㎡ /50坪
坪単価
:178,000円/坪
建ぺい率
:60%
容積率
:160%
<価格改定1,010万円→890万円>小学校まで徒歩4分、国道17号まで車で3分とアクセスも良い立地です♪
【売り土地】長岡市豊詰町売り土地
新潟県長岡市豊詰町209番6ほか
有限会社 ABCホーム
価格
:
8,900,000
円
土地面積
:267㎡ /80.76坪
坪単価
:110,203円/坪
建ぺい率
:50%
容積率
:100%
間口が広く日当たりのよい土地です。徒歩10分圏内に豊富なショッピングエリアあり♪
【売り土地】長岡市東栄3丁目売り土地
新潟県長岡市東栄3丁目204番9ほか
有限会社 ABCホーム
価格
:
9,200,000
円
土地面積
:207㎡ /62.61坪
坪単価
:146,941円/坪
建ぺい率
:60%
容積率
:160%
今朝白ショッピングエリアまで徒歩5分圏内♪長岡駅まで徒歩圏内
【売り土地】長岡市干場1丁目売り土地
新潟県長岡市干場1丁目31番
有限会社 ABCホーム
価格
:
9,800,000
円
土地面積
:153.85㎡ /46.53坪
坪単価
:210,616円/坪
建ぺい率
:60%
容積率
:200%
表示切替:
一覧表示
/
地図表示
並び替え:
指定なし
新着順
価格が安い順
価格が高い順
価格は物件の代金総額を表示しており、消費税が課税される場合は税込み価格です。
建築条件付き土地価格には、建物価格は含まれません。
物件情報の詳細については取り扱い店までお問い合わせください。
完成予想図はいずれも外構・植栽・外観等実際のものと異なることが多少あります。
CG合成の画像の場合実際と異なることが多少あります。
完成後1年以上経過したものが未入居として記載される場合があります。ご了承ください。
販売予定物件は販売開始するまで契約または予約の申し込みはできません。
ご購入の場合物件詳細や契約内容についてご自身で十分ご確認いただきますようよろしく御願いします。
建築条件付きとは…その土地に建築する建物の建築請負契約が、一定期間内に成立することを条件として売買される土地のことをいいます。請負契約成立に向けて設計プランを協議するため、土地購入者が希望する建物にするために一定の期間(概ね3ヶ月)交渉期間としその期間内に希望するプランが実現できたかどうかによって土地の購入の判断をします。納得のいくプランができず請負契約が未成立になった場合、土地契約にかかった代金(手付金など)は、すべて返却されます。
26件
該当しました。
1
2
次のページ>
0件
がマッチ
基本条件
物件種別
売土地・分譲地
詳細種別
売土地
分譲地
価格
下限なし
100万円
250万円
500万円
1000万円
1500万円
2000万円
2500万円
3000万円
3500万円
4000万円
4500万円
5000万円
5500万円
6000万円
6500万円
7000万円
7500万円
8000万円
8500万円
9000万円
9500万円
1億円
~
上限なし
100万円
250万円
500万円
1000万円
1500万円
2000万円
2500万円
3000万円
3500万円
4000万円
4500万円
5000万円
5500万円
6000万円
6500万円
7000万円
7500万円
8000万円
8500万円
9000万円
9500万円
1億円
間取り
ワンルーム
1K
1DK
1LDK
2K
2DK
2LDK
3K
3DK
3LDK
4K
4DK
4LDK以上
専有面積
下限なし
20㎡
30㎡
40㎡
50㎡
60㎡
70㎡
80㎡
90㎡
100㎡
~
上限なし
20㎡
30㎡
40㎡
50㎡
60㎡
70㎡
80㎡
90㎡
100㎡
土地面積
下限なし
60㎡ (約18坪)
70㎡ (約21坪)
80㎡ (約24坪)
90㎡ (約27坪)
100㎡ (約30坪)
110㎡ (約33坪)
120㎡ (約36坪)
130㎡ (約39坪)
140㎡ (約42坪)
150㎡ (約45坪)
160㎡ (約48坪)
170㎡ (約51坪)
180㎡ (約54坪)
190㎡ (約57坪)
200㎡ (約60坪)
250㎡ (約75坪)
300㎡ (約90坪)
~
上限なし
60㎡ (約18坪)
70㎡ (約21坪)
80㎡ (約24坪)
90㎡ (約27坪)
100㎡ (約30坪)
110㎡ (約33坪)
120㎡ (約36坪)
130㎡ (約39坪)
140㎡ (約42坪)
150㎡ (約45坪)
160㎡ (約48坪)
170㎡ (約51坪)
180㎡ (約54坪)
190㎡ (約57坪)
200㎡ (約60坪)
250㎡ (約75坪)
300㎡ (約90坪)
建物面積
下限なし
60㎡ (約18坪)
70㎡ (約21坪)
80㎡ (約24坪)
90㎡ (約27坪)
100㎡ (約30坪)
110㎡ (約33坪)
120㎡ (約36坪)
130㎡ (約39坪)
140㎡ (約42坪)
150㎡ (約45坪)
160㎡ (約48坪)
170㎡ (約51坪)
180㎡ (約54坪)
190㎡ (約57坪)
200㎡ (約60坪)
250㎡ (約75坪)
300㎡ (約90坪)
~
上限なし
60㎡ (約18坪)
70㎡ (約21坪)
80㎡ (約24坪)
90㎡ (約27坪)
100㎡ (約30坪)
110㎡ (約33坪)
120㎡ (約36坪)
130㎡ (約39坪)
140㎡ (約42坪)
150㎡ (約45坪)
160㎡ (約48坪)
170㎡ (約51坪)
180㎡ (約54坪)
190㎡ (約57坪)
200㎡ (約60坪)
250㎡ (約75坪)
300㎡ (約90坪)
坪単価
下限なし
5万円
10万円
15万円
20万円
25万円
30万円
35万円
40万円
45万円
50万円
~
上限なし
5万円
10万円
15万円
20万円
25万円
30万円
35万円
40万円
45万円
50万円
築年数
指定なし
新築
3年以内
5年以内
10年以内
15年以内
20年以内
方位
北
北東
東
南東
南
南西
西
北西
おすすめ条件
ペット可・相談
楽器可・相談
情報公開日
指定なし
本日
3日以内
1週間以内
1ヶ月以内
0件
がマッチ
人気のあるこだわり条件
角地(6)
整形地(13)
前道6m以上(14)
南側道路面す(4)
更地(10)
学校近く(3)
スーパー近く(9)
最寄り駅近く(3)
閑静な住宅街(15)
建築条件なし(21)
所有権(25)
即引き渡し可(3)
側溝(21)
都市ガス(前面道路)(9)
LPG(6)
上水道(前面道路)(15)
下水道(前面道路)(14)
電気(24)
都市ガス(宅地内)(15)
上水道(宅地内)(22)
下水道(宅地内)(21)
前面道路融雪設備あり(15)
住宅向け(22)
事業用向け(4)
田舎暮らし(4)
条件に合った物件数は、
0 件
です。
立地・環境
角地(6)
整形地(13)
前道6m以上(14)
南側道路面す(4)
更地(10)
学校近く(3)
スーパー近く(9)
最寄り駅近く(3)
閑静な住宅街(15)
用途・制限
建築条件なし(21)
引渡・条件
所有権(25)
即引き渡し可(3)
設備
側溝(21)
都市ガス(前面道路)(9)
LPG(6)
上水道(前面道路)(15)
下水道(前面道路)(14)
電気(24)
都市ガス(宅地内)(15)
上水道(宅地内)(22)
下水道(宅地内)(21)
前面道路融雪設備あり(15)
その他
住宅向け(22)
事業用向け(4)
田舎暮らし(4)
条件に合った物件数は、
0 件
です。
アパート・マンション・一戸建て
/
駐車場
/
貸土地
/
店舗
/
事務所
/
倉庫・工場
新築分譲マンション
/
中古マンション
/
新築一戸建て
/
中古一戸建て
/
売土地
/
投資物件・その他
マンション
/
一戸建て
/
土地
建てる・リフォーム
物件掲載企業一覧
掲載希望の企業様へ
新潟の不動産情報サイト
サービス利用規約
運営会社
サイトマップ
プライバシーポリシー
お問い合わせ
リンク
Copyright (C)
株式会社 コモンライフ・コーポレーション
. All Rights Reserved.
新潟・長岡・柏崎の賃貸・マンション・アパート・住宅の不動産物件情報サイト
不動産検索サイト「らくすむ」及び関連サイトに記載の不動産情報は、会員規約に則り、情報提供会社様の責任のもとに発信されております。
不動産の賃借、購入に関しては賃借者、購入者ご自身が情報を確認され、会社企業様から説明を受けられたうえで判断をお願いいたします。
不動産検索サイト「らくすむ」及び関連サイトに記載の不動産情報、写真、デザイン、コンテンツなどの
無断転載・転用・複製
など禁止します。