1
物件掲載企業数:
295
社
|賃貸物件:
3,617
件|売買物件:
3,315
件|今週の登録物件:
212
件
閲覧中のブラウザ(インターネットエクスプローラー)は非推奨ブラウザです。
物件が正しく表示されなかったり、正しく検索されない場合があります。最新のブラウザ(Google Chrome・Edgeなど)にてご利用お願いいたします。
Google Chrome
Microsoft Edge
アパート・マンション・一戸建て
駐車場
貸土地
店舗
事務所
倉庫・工場
新築分譲マンション
中古マンション
新築一戸建て
中古一戸建て
売土地・分譲地
その他(投資物件など)
マンション
一戸建て
土地
ホーム
>
会社情報
>
物件種別選択
> 物件一覧
全エリア
の
売土地・分譲地
物件情報
2102件
該当しました。
<前のページ
14
15
16
17
18
19
20
21
22
23
24
次のページ>
表示切替:
一覧表示
/
地図表示
並び替え:
指定なし
新着順
価格が安い順
価格が高い順
画像
物件名/所在地/取扱店
詳細
前面道路融雪有!
◆売地◆三条市一ノ門一丁目
新潟県三条市一ノ門1丁目48番5
株式会社 ユタカ不動産
価格
:
2,247,362
円
土地面積
:93.69㎡ /28.34坪
坪単価
:79,300円/坪
建ぺい率
:80%
容積率
:400%
【建築条件なし】■小・中学校徒歩11分■コンビニ徒歩2分■悠久山公園徒歩2分■住環境良好
長岡市悠久町 売土地
新潟県長岡市悠久町4丁目1222番5
株式会社 ナンバ管理
価格
:
2,280,000
円
土地面積
:165.54㎡ /50.07坪
坪単価
:45,536円/坪
建ぺい率
:20%
容積率
:200%
風薫る緑豊かな高原団地 のどかな場所でゆったりライフはいかがでしょうか?
【商談中】鳥越 高原団地 ③
新潟県長岡市鳥越2127
ふどうさんの相談所 (ライフデザイン合同会社 イオン長岡店)
価格
:
2,290,000
円
土地面積
:380㎡ /114.95坪
坪単価
:19,921円/坪
建ぺい率
:70%
容積率
:200%
県道沿いの約94坪の広さです
大潟区潟町売地
新潟県上越市大潟区潟町220
株式会社 すむとこ
価格
:
2,300,000
円
土地面積
:310.74㎡ /93.99坪
坪単価
:24,470円/坪
建ぺい率
:80%
容積率
:200%
令和6年8月28日価格改定しました!(383万円→230万円)南西角地!実測済み!
栃尾大町 売土地
新潟県長岡市栃尾大町49-1 外3筆
髙頭不動産 株式会社
価格
:
2,300,000
円
土地面積
:253.54㎡ /76.69坪
坪単価
:29,990円/坪
建ぺい率
:90%
容積率
:400%
小学校まで通学楽々の土地!
松美1丁目売土地①
新潟県柏崎市松美1丁目3
株式会社 阿部建設
価格
:
2,300,000
円
土地面積
:221.9㎡ /67.12坪
坪単価
:34,266円/坪
建ぺい率
:60%
容積率
:200%
利便性の良い環境にある敷地です。 駐車場や資材置き場などの利用もできます
春日新田3丁目の売地
新潟県上越市春日新田3丁目
株式会社 すむとこ
価格
:
2,300,000
円
土地面積
:109.97㎡ /33.26坪
坪単価
:69,152円/坪
建ぺい率
:60%
容積率
:200%
山麓線へのアクセス良好!!敷地は約113坪とゆったり!!
上越市大貫4丁目 230万円
新潟県上越市大貫4丁目
有限会社 よつば不動産
価格
:
2,300,000
円
土地面積
:374.54㎡ /113.29坪
坪単価
:20,301円/坪
建ぺい率
:50%
容積率
:80%
閑静な住宅街です。 前面道路6mで除雪道路です。
妙高市渋江町土地
新潟県妙高市渋江町1-8
株式会社 すむとこ
価格
:
2,300,000
円
土地面積
:180㎡ /54.45坪
坪単価
:42,240円/坪
建ぺい率
:40%
容積率
:80%
【建築条件なし】松波2丁目分譲地『リアレーヴ松波』販売中!商業施設、学校も近い便利なエリアです!
【価格改定】【建築条件×】リアレーヴ松波No.⑤
新潟県柏崎市松波2丁目地内
株式会社 阿部建設
価格
:
2,346,000
円
土地面積
:193.91㎡ /58.65坪
坪単価
:40,000円/坪
建ぺい率
:60%
容積率
:200%
建築条件無し!6m!幅員約8.4m道路に接道!
大潟区潟町 売地
新潟県上越市大潟区潟町248
株式会社 お不動さん
価格
:
2,350,000
円
土地面積
:165.28㎡ /49.99坪
坪単価
:47,009円/坪
建ぺい率
:80%
容積率
:200%
ショッピングエリアまで1km以内♪農作業が楽しめるのどかな環境です♪
巻渕3丁目売土地
新潟県長岡市巻渕525番1他4筆
株式会社 長岡総合開発
価格
:
2,380,000
円
土地面積
:387.09㎡ /117.09坪
坪単価
:20,326円/坪
建ぺい率
:60%
容積率
:200%
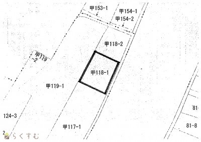
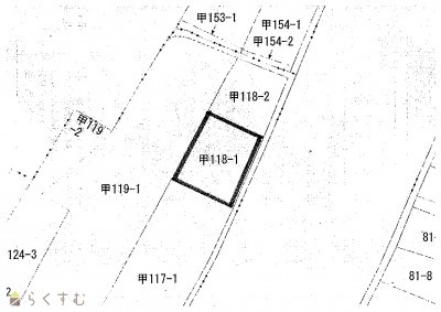
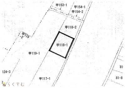
関原町3丁目 売土地 66坪
新潟県長岡市関原町3丁目118-1
株式会社 金井不動産
価格
:
2,380,000
円
土地面積
:219.23㎡ /66.31坪
坪単価
:35,892円/坪
建ぺい率
:60%
容積率
:200%
☆仲介手数料不要!! 分譲看板が目印です☆
国府2丁目分譲地 ㉕
新潟県上越市国府二丁目
株式会社 お不動さん
価格
:
2,400,000
円
土地面積
:196㎡ /59.29坪
坪単価
:40,479円/坪
建ぺい率
:60%
容積率
:200%
見附市名木野町(熱田町2区)B
新潟県見附市名木野町1627-2
富川建設 株式会社
価格
:
2,400,000
円
土地面積
:94.05㎡ /28.45坪
坪単価
:84,358円/坪
建ぺい率
:80%
容積率
:200%
お手頃価格の住宅向け用地。前面道路消雪パイプ完備。
小千谷市薭生 売土地
新潟県小千谷市ひ生乙984番23
髙頭不動産 株式会社
価格
:
2,400,000
円
土地面積
:157㎡ /47.49坪
坪単価
:50,536円/坪
建ぺい率
:60%
容積率
:200%
片貝町の中心三之町の売土地です。狭すぎず、住宅建築に適した広さの物件で日当たりも良好です。建築条件なし
小千谷市片貝町 三之町売土地 61.46坪
新潟県小千谷市片貝町6510
フジクリエイト株式会社
価格
:
2,400,000
円
土地面積
:203.18㎡ /61.46坪
坪単価
:39,049円/坪
建ぺい率
:80%
容積率
:200%
東三条駅まで徒歩5分、通勤・通学に便利!スーパー・ドラッグストア等にも近く、毎日のお買物に便利な立地です
三条市東三条二丁目 売地
新潟県三条市東三条二丁目63番4
株式会社にいがた不動産
価格
:
2,400,000
円
土地面積
:67.47㎡ /20.4坪
坪単価
:117,647円/坪
建ぺい率
:80%
容積率
:400%
国府2丁目売地
新潟県上越市国府2丁目
株式会社アール ミニミニFC上越大通り店
価格
:
2,400,000
円
土地面積
:151.8㎡ /45.91坪
坪単価
:52,276円/坪
建ぺい率
:60%
容積率
:200%
閑静な住宅街/老人福祉センタ-/体育館/運動広場至近
栃尾売地 吉水団地
新潟県長岡市上樫出3039-24
あさひ不動産
価格
:
2,400,000
円
土地面積
:291.5㎡ /88.17坪
坪単価
:27,220円/坪
建ぺい率
:70%
容積率
:200%
表示切替:
一覧表示
/
地図表示
並び替え:
指定なし
新着順
価格が安い順
価格が高い順
価格は物件の代金総額を表示しており、消費税が課税される場合は税込み価格です。
建築条件付き土地価格には、建物価格は含まれません。
物件情報の詳細については取り扱い店までお問い合わせください。
完成予想図はいずれも外構・植栽・外観等実際のものと異なることが多少あります。
CG合成の画像の場合実際と異なることが多少あります。
完成後1年以上経過したものが未入居として記載される場合があります。ご了承ください。
販売予定物件は販売開始するまで契約または予約の申し込みはできません。
ご購入の場合物件詳細や契約内容についてご自身で十分ご確認いただきますようよろしく御願いします。
建築条件付きとは…その土地に建築する建物の建築請負契約が、一定期間内に成立することを条件として売買される土地のことをいいます。請負契約成立に向けて設計プランを協議するため、土地購入者が希望する建物にするために一定の期間(概ね3ヶ月)交渉期間としその期間内に希望するプランが実現できたかどうかによって土地の購入の判断をします。納得のいくプランができず請負契約が未成立になった場合、土地契約にかかった代金(手付金など)は、すべて返却されます。
2102件
該当しました。
<前のページ
14
15
16
17
18
19
20
21
22
23
24
次のページ>
0件
がマッチ
基本条件
物件種別
売土地・分譲地
詳細種別
売土地
分譲地
価格
下限なし
100万円
250万円
500万円
1000万円
1500万円
2000万円
2500万円
3000万円
3500万円
4000万円
4500万円
5000万円
5500万円
6000万円
6500万円
7000万円
7500万円
8000万円
8500万円
9000万円
9500万円
1億円
~
上限なし
100万円
250万円
500万円
1000万円
1500万円
2000万円
2500万円
3000万円
3500万円
4000万円
4500万円
5000万円
5500万円
6000万円
6500万円
7000万円
7500万円
8000万円
8500万円
9000万円
9500万円
1億円
間取り
ワンルーム
1K
1DK
1LDK
2K
2DK
2LDK
3K
3DK
3LDK
4K
4DK
4LDK以上
専有面積
下限なし
20㎡
30㎡
40㎡
50㎡
60㎡
70㎡
80㎡
90㎡
100㎡
~
上限なし
20㎡
30㎡
40㎡
50㎡
60㎡
70㎡
80㎡
90㎡
100㎡
土地面積
下限なし
60㎡ (約18坪)
70㎡ (約21坪)
80㎡ (約24坪)
90㎡ (約27坪)
100㎡ (約30坪)
110㎡ (約33坪)
120㎡ (約36坪)
130㎡ (約39坪)
140㎡ (約42坪)
150㎡ (約45坪)
160㎡ (約48坪)
170㎡ (約51坪)
180㎡ (約54坪)
190㎡ (約57坪)
200㎡ (約60坪)
250㎡ (約75坪)
300㎡ (約90坪)
~
上限なし
60㎡ (約18坪)
70㎡ (約21坪)
80㎡ (約24坪)
90㎡ (約27坪)
100㎡ (約30坪)
110㎡ (約33坪)
120㎡ (約36坪)
130㎡ (約39坪)
140㎡ (約42坪)
150㎡ (約45坪)
160㎡ (約48坪)
170㎡ (約51坪)
180㎡ (約54坪)
190㎡ (約57坪)
200㎡ (約60坪)
250㎡ (約75坪)
300㎡ (約90坪)
建物面積
下限なし
60㎡ (約18坪)
70㎡ (約21坪)
80㎡ (約24坪)
90㎡ (約27坪)
100㎡ (約30坪)
110㎡ (約33坪)
120㎡ (約36坪)
130㎡ (約39坪)
140㎡ (約42坪)
150㎡ (約45坪)
160㎡ (約48坪)
170㎡ (約51坪)
180㎡ (約54坪)
190㎡ (約57坪)
200㎡ (約60坪)
250㎡ (約75坪)
300㎡ (約90坪)
~
上限なし
60㎡ (約18坪)
70㎡ (約21坪)
80㎡ (約24坪)
90㎡ (約27坪)
100㎡ (約30坪)
110㎡ (約33坪)
120㎡ (約36坪)
130㎡ (約39坪)
140㎡ (約42坪)
150㎡ (約45坪)
160㎡ (約48坪)
170㎡ (約51坪)
180㎡ (約54坪)
190㎡ (約57坪)
200㎡ (約60坪)
250㎡ (約75坪)
300㎡ (約90坪)
坪単価
下限なし
5万円
10万円
15万円
20万円
25万円
30万円
35万円
40万円
45万円
50万円
~
上限なし
5万円
10万円
15万円
20万円
25万円
30万円
35万円
40万円
45万円
50万円
築年数
指定なし
新築
3年以内
5年以内
10年以内
15年以内
20年以内
方位
北
北東
東
南東
南
南西
西
北西
おすすめ条件
ペット可・相談
楽器可・相談
情報公開日
指定なし
本日
3日以内
1週間以内
1ヶ月以内
0件
がマッチ
人気のあるこだわり条件
高台に立地(104)
角地(404)
整形地(735)
前道6m以上(1014)
南側道路面す(386)
更地(1241)
学校近く(574)
スーパー近く(437)
最寄り駅近く(235)
閑静な住宅街(965)
分割可能(53)
建築条件なし(1549)
所有権(1658)
即引き渡し可(694)
側溝(711)
都市ガス(前面道路)(850)
LPG(168)
上水道(前面道路)(949)
下水道(前面道路)(876)
浄化槽(79)
電気(952)
都市ガス(宅地内)(846)
上水道(宅地内)(1080)
下水道(宅地内)(986)
前面道路融雪設備あり(423)
その他水道(1)
住宅向け(1461)
事業用向け(318)
別荘地(115)
田舎暮らし(219)
条件に合った物件数は、
0 件
です。
立地・環境
高台に立地(104)
角地(404)
整形地(735)
前道6m以上(1014)
南側道路面す(386)
更地(1241)
学校近く(574)
スーパー近く(437)
最寄り駅近く(235)
閑静な住宅街(965)
用途・制限
分割可能(53)
建築条件なし(1549)
引渡・条件
所有権(1658)
即引き渡し可(694)
設備
側溝(711)
都市ガス(前面道路)(850)
LPG(168)
上水道(前面道路)(949)
下水道(前面道路)(876)
浄化槽(79)
電気(952)
都市ガス(宅地内)(846)
上水道(宅地内)(1080)
下水道(宅地内)(986)
前面道路融雪設備あり(423)
その他水道(1)
その他
住宅向け(1461)
事業用向け(318)
別荘地(115)
田舎暮らし(219)
条件に合った物件数は、
0 件
です。
アパート・マンション・一戸建て
/
駐車場
/
貸土地
/
店舗
/
事務所
/
倉庫・工場
新築分譲マンション
/
中古マンション
/
新築一戸建て
/
中古一戸建て
/
売土地
/
投資物件・その他
マンション
/
一戸建て
/
土地
建てる・リフォーム
物件掲載企業一覧
掲載希望の企業様へ
新潟の不動産情報サイト
サービス利用規約
運営会社
サイトマップ
プライバシーポリシー
お問い合わせ
リンク
Copyright (C)
株式会社 コモンライフ・コーポレーション
. All Rights Reserved.
新潟・長岡・柏崎の賃貸・マンション・アパート・住宅の不動産物件情報サイト
不動産検索サイト「らくすむ」及び関連サイトに記載の不動産情報は、会員規約に則り、情報提供会社様の責任のもとに発信されております。
不動産の賃借、購入に関しては賃借者、購入者ご自身が情報を確認され、会社企業様から説明を受けられたうえで判断をお願いいたします。
不動産検索サイト「らくすむ」及び関連サイトに記載の不動産情報、写真、デザイン、コンテンツなどの
無断転載・転用・複製
など禁止します。