1
物件掲載企業数:
296
社
|賃貸物件:
3,512
件|売買物件:
3,306
件|今週の登録物件:
275
件
閲覧中のブラウザ(インターネットエクスプローラー)は非推奨ブラウザです。
物件が正しく表示されなかったり、正しく検索されない場合があります。最新のブラウザ(Google Chrome・Edgeなど)にてご利用お願いいたします。
Google Chrome
Microsoft Edge
アパート・マンション・一戸建て
駐車場
貸土地
店舗
事務所
倉庫・工場
新築分譲マンション
中古マンション
新築一戸建て
中古一戸建て
売土地・分譲地
その他(投資物件など)
マンション
一戸建て
土地
ホーム
>
会社情報
>
物件種別選択
> 物件一覧
全エリア
の
売土地・分譲地
物件情報
2072件
該当しました。
<前のページ
89
90
91
92
93
94
95
96
97
98
99
次のページ>
表示切替:
一覧表示
/
地図表示
並び替え:
指定なし
新着順
価格が安い順
価格が高い順
画像
物件名/所在地/取扱店
詳細
☆最寄り駅徒歩1分の駅近更地物件です☆
仲町4丁目
新潟県上越市仲町4丁目202番4(地番)
有限会社田村家具店
価格
:
13,000,000
円
土地面積
:322.31㎡ /97.49坪
坪単価
:133,347円/坪
建ぺい率
:80%
容積率
:500%
来迎寺駅まで徒歩7分・スーパーまで徒歩6分の広々170坪!
来迎寺前田 線路沿いの売地
新潟県長岡市来迎寺字前田甲2020番
有限会社 ハクサン
価格
:
13,000,000
円
土地面積
:587㎡ /177.56坪
坪単価
:73,214円/坪
建ぺい率
:60%
容積率
:200%
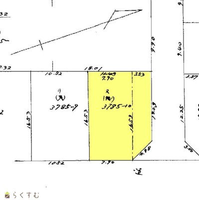
北東角地、ロピア開業予定、左岸バイパス近くの更地渡し土地。
【売土地】西津町(更地渡し)
新潟県長岡市西津町3785番10
株式会社 長岡土地
価格
:
13,000,000
円
土地面積
:182.76㎡ /55.28坪
坪単価
:235,166円/坪
建ぺい率
:70%
容積率
:200%
お買い物に便利な立地☆ご家族で歩いて外食にも行きやすいです。
東宮内町 売土地
新潟県長岡市東宮内町3199-4
株式会社 高野不動産販売
価格
:
13,000,000
円
土地面積
:335.02㎡ /101.34坪
坪単価
:128,281円/坪
建ぺい率
:60%
容積率
:200%
◆広々約292坪 ◆前面道路約6.6m ◆国道8号線へのアクセス良好
上越市佐内町売地
新潟県上越市佐内町
杉山建設株式会社
価格
:
13,000,000
円
土地面積
:965㎡ /291.91坪
坪単価
:44,534円/坪
建ぺい率
:60%
容積率
:200%
建築条件なし 南東向き
糸魚川市大和川売地
新潟県糸魚川市大和川448番1
株式会社リビングギャラリー
価格
:
13,200,000
円
土地面積
:437.03㎡ /132.2坪
坪単価
:99,848円/坪
建ぺい率
:70%
容積率
:200%
建物解体後更地渡しで、敷地の南側部分の土地となります。
東新町2丁目1007番 売土地
新潟県長岡市東新町2丁目1007番
株式会社 棚橋不動産
価格
:
13,300,000
円
土地面積
:214.87㎡ /64.99坪
坪単価
:204,646円/坪
建ぺい率
:60%
容積率
:200%
長岡駅から徒歩20分の立地です♪ 中央循環バスのバス停まで徒歩3分のため、川西へのお出かけも楽々ですね! ※ 売主契約不適合責任免責
山田3丁目 売土地 67.94坪
新潟県長岡市山田3丁目74
株式会社 高野不動産販売
価格
:
13,500,000
円
土地面積
:224.62㎡ /67.94坪
坪単価
:198,704円/坪
建ぺい率
:80%
容積率
:300%
建物解体更地渡し 前面道路消雪設備完備 大島小・大島中学校区 長岡花火を満喫できます。
長岡市緑町1丁目売土地
新潟県長岡市緑町1丁目38-143
株式会社 長岡総合開発
価格
:
13,500,000
円
土地面積
:178.32㎡ /53.94坪
坪単価
:250,278円/坪
建ぺい率
:60%
容積率
:200%
中島1丁目売土地
新潟県長岡市中島1丁目2240-1
株式会社 棚橋不動産
価格
:
13,500,000
円
土地面積
:185㎡ /55.96坪
坪単価
:241,243円/坪
建ぺい率
:60%
容積率
:200%
土地
上越市柿崎区上下浜555-7,555-14,555-15
有限会社佐藤材木店
価格
:
13,560,000
円
土地面積
:746.47㎡ /225.8坪
坪単価
:60,053円/坪
建ぺい率
:70%
容積率
:200%
販売金額変更いたしました!
売土地『寿1丁目36-1』
新潟県長岡市寿1丁目36-1
㈱スタッフサイトウ不動産部
価格
:
13,600,000
円
土地面積
:725.05㎡ /219.32坪
坪単価
:62,009円/坪
建ぺい率
:60%
容積率
:200%
【建築条件なし】 長生橋西詰の長岡花火が間近で見れる物件♪
大島新町1丁目 74坪の売地
新潟県長岡市大島新町1丁目2013番3・2016番3・2017番1
有限会社 ハクサン
価格
:
13,800,000
円
土地面積
:245.25㎡ /74.18坪
坪単価
:186,033円/坪
建ぺい率
:60%
容積率
:200%
商業施設まで徒歩約4分の立地です☆
中島2丁目売地
新潟県長岡市中島2丁目42
髙頭不動産 株式会社
価格
:
13,800,000
円
土地面積
:344.23㎡ /104.12坪
坪単価
:132,539円/坪
建ぺい率
:60%
容積率
:160%
敷地は115坪、道路は16mと広々!!18号バイパスへのアクセス良好!!
上越市平成町 1390万円
新潟県上越市平成町
有限会社 よつば不動産
価格
:
13,900,000
円
土地面積
:382.27㎡ /115.63坪
坪単価
:120,211円/坪
建ぺい率
:60%
容積率
:200%
北入蔵三丁目
新潟県三条市北入蔵三丁目661番13、661番14
株式会社 ユタカ不動産
価格
:
13,950,000
円
土地面積
:354㎡ /107.08坪
坪単価
:130,276円/坪
建ぺい率
:70%
容積率
:200%
【おかげさまで契約件数420区画突破】パークタウン稲保区画4-1 南西/北西角地広々104坪!目の前は田んぼや里山公園がありのどかな環境!前面道路は12.0mのゆったり設計!車道は消雪パイプ設置済で冬も安心です。【仲介料不要・建築条件無し】
パークタウン稲保 4-1 【104坪】
新潟県長岡市稲保南1-219-33
株式会社 和興不動産
価格
:
13,980,000
円
土地面積
:345.96㎡ /104.65坪
坪単価
:133,588円/坪
建ぺい率
:60%
容積率
:200%
アクロスプラザ南七日町すぐ近く
下山三丁目 売土地
新潟県長岡市下山3丁目2396-3
(株)池田組
価格
:
14,000,000
円
土地面積
:282.9㎡ /85.57坪
坪単価
:163,608円/坪
建ぺい率
:60%
容積率
:200%
建築条件なし 生活利便施設が徒歩圏内 ! バス停もすぐ目の前 !
宮原2丁目 55坪の売地
新潟県長岡市宮原2丁目187番1
ひかり不動産(白山住宅 不動産部)
価格
:
14,000,000
円
土地面積
:183.75㎡ /55.58坪
坪単価
:251,889円/坪
建ぺい率
:80%
容積率
:300%
前川駅通り
売土地 『上前島3丁目』 前川駅すぐ!
長岡市上前島3丁目1992他
㈱スタッフサイトウ不動産部
価格
:
14,000,000
円
土地面積
:721.25㎡ /218.17坪
坪単価
:64,170円/坪
建ぺい率
:60%
容積率
:200%
表示切替:
一覧表示
/
地図表示
並び替え:
指定なし
新着順
価格が安い順
価格が高い順
価格は物件の代金総額を表示しており、消費税が課税される場合は税込み価格です。
建築条件付き土地価格には、建物価格は含まれません。
物件情報の詳細については取り扱い店までお問い合わせください。
完成予想図はいずれも外構・植栽・外観等実際のものと異なることが多少あります。
CG合成の画像の場合実際と異なることが多少あります。
完成後1年以上経過したものが未入居として記載される場合があります。ご了承ください。
販売予定物件は販売開始するまで契約または予約の申し込みはできません。
ご購入の場合物件詳細や契約内容についてご自身で十分ご確認いただきますようよろしく御願いします。
建築条件付きとは…その土地に建築する建物の建築請負契約が、一定期間内に成立することを条件として売買される土地のことをいいます。請負契約成立に向けて設計プランを協議するため、土地購入者が希望する建物にするために一定の期間(概ね3ヶ月)交渉期間としその期間内に希望するプランが実現できたかどうかによって土地の購入の判断をします。納得のいくプランができず請負契約が未成立になった場合、土地契約にかかった代金(手付金など)は、すべて返却されます。
2072件
該当しました。
<前のページ
89
90
91
92
93
94
95
96
97
98
99
次のページ>
0件
がマッチ
基本条件
物件種別
売土地・分譲地
詳細種別
売土地
分譲地
価格
下限なし
100万円
250万円
500万円
1000万円
1500万円
2000万円
2500万円
3000万円
3500万円
4000万円
4500万円
5000万円
5500万円
6000万円
6500万円
7000万円
7500万円
8000万円
8500万円
9000万円
9500万円
1億円
~
上限なし
100万円
250万円
500万円
1000万円
1500万円
2000万円
2500万円
3000万円
3500万円
4000万円
4500万円
5000万円
5500万円
6000万円
6500万円
7000万円
7500万円
8000万円
8500万円
9000万円
9500万円
1億円
間取り
ワンルーム
1K
1DK
1LDK
2K
2DK
2LDK
3K
3DK
3LDK
4K
4DK
4LDK以上
専有面積
下限なし
20㎡
30㎡
40㎡
50㎡
60㎡
70㎡
80㎡
90㎡
100㎡
~
上限なし
20㎡
30㎡
40㎡
50㎡
60㎡
70㎡
80㎡
90㎡
100㎡
土地面積
下限なし
60㎡ (約18坪)
70㎡ (約21坪)
80㎡ (約24坪)
90㎡ (約27坪)
100㎡ (約30坪)
110㎡ (約33坪)
120㎡ (約36坪)
130㎡ (約39坪)
140㎡ (約42坪)
150㎡ (約45坪)
160㎡ (約48坪)
170㎡ (約51坪)
180㎡ (約54坪)
190㎡ (約57坪)
200㎡ (約60坪)
250㎡ (約75坪)
300㎡ (約90坪)
~
上限なし
60㎡ (約18坪)
70㎡ (約21坪)
80㎡ (約24坪)
90㎡ (約27坪)
100㎡ (約30坪)
110㎡ (約33坪)
120㎡ (約36坪)
130㎡ (約39坪)
140㎡ (約42坪)
150㎡ (約45坪)
160㎡ (約48坪)
170㎡ (約51坪)
180㎡ (約54坪)
190㎡ (約57坪)
200㎡ (約60坪)
250㎡ (約75坪)
300㎡ (約90坪)
建物面積
下限なし
60㎡ (約18坪)
70㎡ (約21坪)
80㎡ (約24坪)
90㎡ (約27坪)
100㎡ (約30坪)
110㎡ (約33坪)
120㎡ (約36坪)
130㎡ (約39坪)
140㎡ (約42坪)
150㎡ (約45坪)
160㎡ (約48坪)
170㎡ (約51坪)
180㎡ (約54坪)
190㎡ (約57坪)
200㎡ (約60坪)
250㎡ (約75坪)
300㎡ (約90坪)
~
上限なし
60㎡ (約18坪)
70㎡ (約21坪)
80㎡ (約24坪)
90㎡ (約27坪)
100㎡ (約30坪)
110㎡ (約33坪)
120㎡ (約36坪)
130㎡ (約39坪)
140㎡ (約42坪)
150㎡ (約45坪)
160㎡ (約48坪)
170㎡ (約51坪)
180㎡ (約54坪)
190㎡ (約57坪)
200㎡ (約60坪)
250㎡ (約75坪)
300㎡ (約90坪)
坪単価
下限なし
5万円
10万円
15万円
20万円
25万円
30万円
35万円
40万円
45万円
50万円
~
上限なし
5万円
10万円
15万円
20万円
25万円
30万円
35万円
40万円
45万円
50万円
築年数
指定なし
新築
3年以内
5年以内
10年以内
15年以内
20年以内
方位
北
北東
東
南東
南
南西
西
北西
おすすめ条件
ペット可・相談
楽器可・相談
情報公開日
指定なし
本日
3日以内
1週間以内
1ヶ月以内
0件
がマッチ
人気のあるこだわり条件
高台に立地(108)
角地(392)
整形地(728)
前道6m以上(1012)
南側道路面す(398)
更地(1216)
学校近く(566)
スーパー近く(425)
最寄り駅近く(226)
閑静な住宅街(950)
分割可能(55)
建築条件なし(1530)
所有権(1638)
即引き渡し可(676)
側溝(709)
都市ガス(前面道路)(827)
LPG(160)
上水道(前面道路)(918)
下水道(前面道路)(838)
浄化槽(85)
電気(945)
都市ガス(宅地内)(839)
上水道(宅地内)(1078)
下水道(宅地内)(988)
前面道路融雪設備あり(410)
その他水道(2)
住宅向け(1439)
事業用向け(325)
別荘地(117)
田舎暮らし(226)
条件に合った物件数は、
0 件
です。
立地・環境
高台に立地(108)
角地(392)
整形地(728)
前道6m以上(1012)
南側道路面す(398)
更地(1216)
学校近く(566)
スーパー近く(425)
最寄り駅近く(226)
閑静な住宅街(950)
用途・制限
分割可能(55)
建築条件なし(1530)
引渡・条件
所有権(1638)
即引き渡し可(676)
設備
側溝(709)
都市ガス(前面道路)(827)
LPG(160)
上水道(前面道路)(918)
下水道(前面道路)(838)
浄化槽(85)
電気(945)
都市ガス(宅地内)(839)
上水道(宅地内)(1078)
下水道(宅地内)(988)
前面道路融雪設備あり(410)
その他水道(2)
その他
住宅向け(1439)
事業用向け(325)
別荘地(117)
田舎暮らし(226)
条件に合った物件数は、
0 件
です。
アパート・マンション・一戸建て
/
駐車場
/
貸土地
/
店舗
/
事務所
/
倉庫・工場
新築分譲マンション
/
中古マンション
/
新築一戸建て
/
中古一戸建て
/
売土地
/
投資物件・その他
マンション
/
一戸建て
/
土地
建てる・リフォーム
物件掲載企業一覧
掲載希望の企業様へ
新潟の不動産情報サイト
サービス利用規約
運営会社
サイトマップ
プライバシーポリシー
お問い合わせ
リンク
Copyright (C)
株式会社 コモンライフ・コーポレーション
. All Rights Reserved.
新潟・長岡・柏崎の賃貸・マンション・アパート・住宅の不動産物件情報サイト
不動産検索サイト「らくすむ」及び関連サイトに記載の不動産情報は、会員規約に則り、情報提供会社様の責任のもとに発信されております。
不動産の賃借、購入に関しては賃借者、購入者ご自身が情報を確認され、会社企業様から説明を受けられたうえで判断をお願いいたします。
不動産検索サイト「らくすむ」及び関連サイトに記載の不動産情報、写真、デザイン、コンテンツなどの
無断転載・転用・複製
など禁止します。