1
物件掲載企業数:
299
社
|賃貸物件:
3,614
件|売買物件:
3,317
件|今週の登録物件:
283
件
閲覧中のブラウザ(インターネットエクスプローラー)は非推奨ブラウザです。
物件が正しく表示されなかったり、正しく検索されない場合があります。最新のブラウザ(Google Chrome・Edgeなど)にてご利用お願いいたします。
Google Chrome
Microsoft Edge
アパート・マンション・一戸建て
駐車場
貸土地
店舗
事務所
倉庫・工場
新築分譲マンション
中古マンション
新築一戸建て
中古一戸建て
売土地・分譲地
その他(投資物件など)
マンション
一戸建て
土地
ホーム
>
検索方法選択
>
エリア選択
> 物件一覧
全エリア
の
売土地・分譲地
一覧
2107件
該当しました。
<前のページ
29
30
31
32
33
34
35
36
37
38
39
次のページ>
表示切替:
一覧表示
/
地図表示
並び替え:
指定なし
新着順
価格が安い順
価格が高い順
画像
物件名/所在地/取扱店
詳細
スーパー近く生活便利♪ 長岡市城岡3丁目の宅地、更地渡しで360万円!
【売土地】城岡3
新潟県長岡市城岡3丁目3-32
株式会社 長岡土地
価格
:
3,600,000
円
土地面積
:155.22㎡ /46.95坪
坪単価
:76,677円/坪
建ぺい率
:60%
容積率
:200%
沿線沿いで利便性良好。小粋・ジャストサイズ向け!
新町3丁目土地 ☆商業施設に最適!
新潟県見附市新町3丁目112番30
新潟化成株式会社
価格
:
3,600,000
円
土地面積
:213㎡ /64.43坪
坪単価
:55,874円/坪
建ぺい率
:60%
容積率
:200%
第三中学校校まで徒歩約2分。60.71坪の閑静な住宅地です。
新赤坂3丁目
新潟県柏崎市新赤坂3丁目205番・206番
八幡開発株式会社
価格
:
3,600,000
円
土地面積
:200.71㎡ /60.71坪
坪単価
:59,298円/坪
建ぺい率
:50%
容積率
:100%
分家住宅の敷地として
島崎 売土地
新潟県長岡市島崎字浦反甫323-1
ふどうさんの相談所 (ライフデザイン合同会社 イオン長岡店)
価格
:
3,600,000
円
土地面積
:296㎡ /89.54坪
坪単価
:40,205円/坪
建ぺい率
:70%
容積率
:200%
電柱宅内移設&側溝フタ付工事決定!キレイになります。丘の上で、東の山並からの日の出、夜景・月見が楽しめます。
上昭和町解体更地渡し土地360万円
新潟県上越市上昭和町7-32
信濃土地株式会社 上越支店
価格
:
3,600,000
円
土地面積
:291.58㎡ /88.2坪
坪単価
:40,816円/坪
建ぺい率
:50%
容積率
:80%
閑静な住宅地、8m公道!
松波二丁目A
新潟県柏崎市松波2丁目2955
有限会社ひまわりネットワーク
価格
:
3,600,000
円
土地面積
:234㎡ /70.78坪
坪単価
:50,861円/坪
建ぺい率
:60%
容積率
:200%
お買い求めやすい価格の土地です
摂田屋3丁目 売土地
長岡市摂田屋3丁目2062-1
髙頭不動産 株式会社
価格
:
3,600,000
円
土地面積
:120㎡ /36.3坪
坪単価
:99,173円/坪
建ぺい率
:60%
容積率
:200%
現況有姿での売買となります。(建物解体費用は買主様負担となります。)
柏崎市 北園町
新潟県柏崎市北園町1119番96(地番)
株式会社裕建
価格
:
3,600,000
円
土地面積
:331㎡ /100.12坪
坪単価
:35,956円/坪
建ぺい率
:60%
容積率
:200%
【三条駅近(徒歩16分)2区画】保育園、小中学校1km圏内で子育て環境良好!スーパーやドラッグストアも近く利便性◎!前面道路は消雪パイプ有!建築条件なし!
三条市桜木町 売土地
新潟県三条市桜木町9-8
長岡不動産販売株式会社
価格
:
3,600,000
円
土地面積
:129.61㎡ /39.2坪
坪単価
:91,836円/坪
建ぺい率
:60%
容積率
:200%
見附小まで徒歩約7分!前面道路に消雪パイプ有り【見附商店街近く】 【ほっとぴあまで徒歩4分】 【セブンイレブンまで徒歩5分】
見附市新町1丁目売土地 A区画
新潟県見附市新町1丁目甲337-1、甲345-3
株式会社 森山建設
価格
:
3,600,000
円
土地面積
:317.93㎡ /96.17坪
坪単価
:37,433円/坪
建ぺい率
:60%
容積率
:200%
見附市名木野町(熱田町2区)A
新潟県見附市名木野町1627-2
富川建設 株式会社
価格
:
3,600,000
円
土地面積
:141㎡ /42.65坪
坪単価
:84,407円/坪
建ぺい率
:80%
容積率
:200%
南東角地
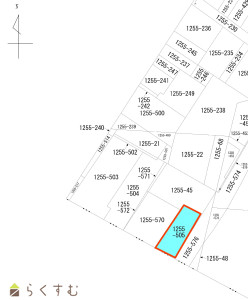
北園町40坪売土地
新潟県柏崎市北園町1255-505
株式会社 ai-will
価格
:
3,600,000
円
土地面積
:132.25㎡ /40坪
坪単価
:90,000円/坪
建ぺい率
:60%
容積率
:200%
県道長岡和島線脇、与板こども園・うまみち森林公園近く 96坪
『与板堤下』解体費用は売買代金に含まれる更地渡しです
新潟県長岡市与板町与板字堤下乙931番10
㈱スタッフサイトウ不動産部
価格
:
3,600,000
円
土地面積
:317.9㎡ /96.16坪
坪単価
:37,437円/坪
建ぺい率
:200%
容積率
:60%
【海風を感じる暮らし】広々とした90.75坪の整形地◇海まで徒歩圏内という好立地で、潮風に包まれる癒しの住環境が広がります!
大潟区九戸浜売地
新潟県上越市大潟区九戸浜261
田中不動産株式会社
価格
:
3,600,000
円
土地面積
:300㎡ /90.75坪
坪単価
:39,669円/坪
建ぺい率
:50%
容積率
:100%
春は山菜、夏はホタル、秋はきのこ、くるみが採れます。昔ながらの田園風景のなかで暮らしてみませんか♪
高頭町売土地
新潟県長岡市高頭町甲147番2他3筆
株式会社 長岡総合開発
価格
:
3,600,000
円
土地面積
:1,012.33㎡ /306.22坪
坪単価
:11,756円/坪
建ぺい率
:70%
容積率
:200%
国道18号線、上越インターへのアクセス良好!!
上越市大字横曽根 360万円
新潟県上越市横曽根57-1
有限会社 よつば不動産
価格
:
3,600,000
円
土地面積
:340㎡ /102.85坪
坪単価
:35,002円/坪
建ぺい率
:70%
容積率
:200%
枇杷島小学校まで440m
宮場町売地 西
新潟県柏崎市宮場町2574-5
有限会社ひまわりネットワーク
価格
:
3,650,000
円
土地面積
:165㎡ /49.91坪
坪単価
:73,131円/坪
建ぺい率
:60%
容積率
:200%
海近くにある土地です☆
大潟区潟町
新潟県上越市大潟区潟町480-1、481-1
有限会社田村家具店
価格
:
3,670,000
円
土地面積
:303.5㎡ /91.8坪
坪単価
:39,978円/坪
建ぺい率
:50%
容積率
:100%
高田駅まで徒歩5分!!イチコ・ローソン・セブンイレブンも徒歩圏!!東南角地で東側に儀明川あり
上越市仲町6丁目 370万円
新潟県上越市仲町6丁目1
有限会社 よつば不動産
価格
:
3,700,000
円
土地面積
:112.39㎡ /33.99坪
坪単価
:108,855円/坪
建ぺい率
:80%
容積率
:500%
本町1丁目売地 北側
上越市本町1丁目
上越宅地販売株式会社
価格
:
3,700,000
円
土地面積
:213.96㎡ /64.72坪
坪単価
:57,169円/坪
建ぺい率
:80%
容積率
:500%
表示切替:
一覧表示
/
地図表示
並び替え:
指定なし
新着順
価格が安い順
価格が高い順
価格は物件の代金総額を表示しており、消費税が課税される場合は税込み価格です。
建築条件付き土地価格には、建物価格は含まれません。
物件情報の詳細については取り扱い店までお問い合わせください。
完成予想図はいずれも外構・植栽・外観等実際のものと異なることが多少あります。
CG合成の画像の場合実際と異なることが多少あります。
完成後1年以上経過したものが未入居として記載される場合があります。ご了承ください。
販売予定物件は販売開始するまで契約または予約の申し込みはできません。
ご購入の場合物件詳細や契約内容についてご自身で十分ご確認いただきますようよろしく御願いします。
建築条件付きとは…その土地に建築する建物の建築請負契約が、一定期間内に成立することを条件として売買される土地のことをいいます。請負契約成立に向けて設計プランを協議するため、土地購入者が希望する建物にするために一定の期間(概ね3ヶ月)交渉期間としその期間内に希望するプランが実現できたかどうかによって土地の購入の判断をします。納得のいくプランができず請負契約が未成立になった場合、土地契約にかかった代金(手付金など)は、すべて返却されます。
2107件
該当しました。
<前のページ
29
30
31
32
33
34
35
36
37
38
39
次のページ>
0件
がマッチ
基本条件
物件種別
売土地・分譲地
詳細種別
売土地
分譲地
価格
下限なし
100万円
250万円
500万円
1000万円
1500万円
2000万円
2500万円
3000万円
3500万円
4000万円
4500万円
5000万円
5500万円
6000万円
6500万円
7000万円
7500万円
8000万円
8500万円
9000万円
9500万円
1億円
~
上限なし
100万円
250万円
500万円
1000万円
1500万円
2000万円
2500万円
3000万円
3500万円
4000万円
4500万円
5000万円
5500万円
6000万円
6500万円
7000万円
7500万円
8000万円
8500万円
9000万円
9500万円
1億円
間取り
ワンルーム
1K
1DK
1LDK
2K
2DK
2LDK
3K
3DK
3LDK
4K
4DK
4LDK以上
専有面積
下限なし
20㎡
30㎡
40㎡
50㎡
60㎡
70㎡
80㎡
90㎡
100㎡
~
上限なし
20㎡
30㎡
40㎡
50㎡
60㎡
70㎡
80㎡
90㎡
100㎡
土地面積
下限なし
60㎡ (約18坪)
70㎡ (約21坪)
80㎡ (約24坪)
90㎡ (約27坪)
100㎡ (約30坪)
110㎡ (約33坪)
120㎡ (約36坪)
130㎡ (約39坪)
140㎡ (約42坪)
150㎡ (約45坪)
160㎡ (約48坪)
170㎡ (約51坪)
180㎡ (約54坪)
190㎡ (約57坪)
200㎡ (約60坪)
250㎡ (約75坪)
300㎡ (約90坪)
~
上限なし
60㎡ (約18坪)
70㎡ (約21坪)
80㎡ (約24坪)
90㎡ (約27坪)
100㎡ (約30坪)
110㎡ (約33坪)
120㎡ (約36坪)
130㎡ (約39坪)
140㎡ (約42坪)
150㎡ (約45坪)
160㎡ (約48坪)
170㎡ (約51坪)
180㎡ (約54坪)
190㎡ (約57坪)
200㎡ (約60坪)
250㎡ (約75坪)
300㎡ (約90坪)
建物面積
下限なし
60㎡ (約18坪)
70㎡ (約21坪)
80㎡ (約24坪)
90㎡ (約27坪)
100㎡ (約30坪)
110㎡ (約33坪)
120㎡ (約36坪)
130㎡ (約39坪)
140㎡ (約42坪)
150㎡ (約45坪)
160㎡ (約48坪)
170㎡ (約51坪)
180㎡ (約54坪)
190㎡ (約57坪)
200㎡ (約60坪)
250㎡ (約75坪)
300㎡ (約90坪)
~
上限なし
60㎡ (約18坪)
70㎡ (約21坪)
80㎡ (約24坪)
90㎡ (約27坪)
100㎡ (約30坪)
110㎡ (約33坪)
120㎡ (約36坪)
130㎡ (約39坪)
140㎡ (約42坪)
150㎡ (約45坪)
160㎡ (約48坪)
170㎡ (約51坪)
180㎡ (約54坪)
190㎡ (約57坪)
200㎡ (約60坪)
250㎡ (約75坪)
300㎡ (約90坪)
坪単価
下限なし
5万円
10万円
15万円
20万円
25万円
30万円
35万円
40万円
45万円
50万円
~
上限なし
5万円
10万円
15万円
20万円
25万円
30万円
35万円
40万円
45万円
50万円
築年数
指定なし
新築
3年以内
5年以内
10年以内
15年以内
20年以内
方位
北
北東
東
南東
南
南西
西
北西
おすすめ条件
ペット可・相談
楽器可・相談
情報公開日
指定なし
本日
3日以内
1週間以内
1ヶ月以内
0件
がマッチ
人気のあるこだわり条件
高台に立地(106)
角地(404)
整形地(738)
前道6m以上(1010)
南側道路面す(390)
更地(1246)
学校近く(569)
スーパー近く(430)
最寄り駅近く(231)
閑静な住宅街(962)
分割可能(53)
建築条件なし(1547)
所有権(1653)
即引き渡し可(690)
側溝(710)
都市ガス(前面道路)(850)
LPG(168)
上水道(前面道路)(949)
下水道(前面道路)(876)
浄化槽(79)
電気(954)
都市ガス(宅地内)(848)
上水道(宅地内)(1084)
下水道(宅地内)(990)
前面道路融雪設備あり(422)
その他水道(1)
住宅向け(1457)
事業用向け(314)
別荘地(115)
田舎暮らし(222)
条件に合った物件数は、
0 件
です。
立地・環境
高台に立地(106)
角地(404)
整形地(738)
前道6m以上(1010)
南側道路面す(390)
更地(1246)
学校近く(569)
スーパー近く(430)
最寄り駅近く(231)
閑静な住宅街(962)
用途・制限
分割可能(53)
建築条件なし(1547)
引渡・条件
所有権(1653)
即引き渡し可(690)
設備
側溝(710)
都市ガス(前面道路)(850)
LPG(168)
上水道(前面道路)(949)
下水道(前面道路)(876)
浄化槽(79)
電気(954)
都市ガス(宅地内)(848)
上水道(宅地内)(1084)
下水道(宅地内)(990)
前面道路融雪設備あり(422)
その他水道(1)
その他
住宅向け(1457)
事業用向け(314)
別荘地(115)
田舎暮らし(222)
条件に合った物件数は、
0 件
です。
アパート・マンション・一戸建て
/
駐車場
/
貸土地
/
店舗
/
事務所
/
倉庫・工場
新築分譲マンション
/
中古マンション
/
新築一戸建て
/
中古一戸建て
/
売土地
/
投資物件・その他
マンション
/
一戸建て
/
土地
建てる・リフォーム
物件掲載企業一覧
掲載希望の企業様へ
新潟の不動産情報サイト
サービス利用規約
運営会社
サイトマップ
プライバシーポリシー
お問い合わせ
リンク
Copyright (C)
株式会社 コモンライフ・コーポレーション
. All Rights Reserved.
新潟・長岡・柏崎の賃貸・マンション・アパート・住宅の不動産物件情報サイト
不動産検索サイト「らくすむ」及び関連サイトに記載の不動産情報は、会員規約に則り、情報提供会社様の責任のもとに発信されております。
不動産の賃借、購入に関しては賃借者、購入者ご自身が情報を確認され、会社企業様から説明を受けられたうえで判断をお願いいたします。
不動産検索サイト「らくすむ」及び関連サイトに記載の不動産情報、写真、デザイン、コンテンツなどの
無断転載・転用・複製
など禁止します。