1
物件掲載企業数:
296
社
|賃貸物件:
3,448
件|売買物件:
3,335
件|今週の登録物件:
262
件
閲覧中のブラウザ(インターネットエクスプローラー)は非推奨ブラウザです。
物件が正しく表示されなかったり、正しく検索されない場合があります。最新のブラウザ(Google Chrome・Edgeなど)にてご利用お願いいたします。
Google Chrome
Microsoft Edge
アパート・マンション・一戸建て
駐車場
貸土地
店舗
事務所
倉庫・工場
新築分譲マンション
中古マンション
新築一戸建て
中古一戸建て
売土地・分譲地
その他(投資物件など)
マンション
一戸建て
土地
ホーム
>
検索方法選択
>
エリア選択
> 物件一覧
全エリア
の
売土地・分譲地
一覧
2073件
該当しました。
<前のページ
73
74
75
76
77
78
79
80
81
82
83
次のページ>
表示切替:
一覧表示
/
地図表示
並び替え:
指定なし
新着順
価格が安い順
価格が高い順
画像
物件名/所在地/取扱店
詳細
【建築条件なし】 来迎寺中心市街地の物件!商用地としてもオススメ♪
来迎寺前田 県道沿89坪の売地
新潟県長岡市来迎寺字前田3670番・3671番・3672番
有限会社 ハクサン
価格
:
8,470,000
円
土地面積
:294.91㎡ /89.21坪
坪単価
:94,944円/坪
建ぺい率
:60%
容積率
:200%
売土地 柿町 428坪
新潟県長岡市柿町4750-1
株式会社 金井不動産
価格
:
8,480,000
円
土地面積
:1,417㎡ /428.64坪
坪単価
:19,783円/坪
建ぺい率
:70%
容積率
:200%
建築条件無し!小学校まで徒歩7分(550m)
春日新田2丁目B 売地(南側)
新潟県上越市春日新田2丁目8番12号
株式会社 お不動さん
価格
:
8,480,000
円
土地面積
:246.9㎡ /74.68坪
坪単価
:113,551円/坪
建ぺい率
:60%
容積率
:200%
人気の西中エリア 程よいサイズの43坪
長岡市下山4丁目 角地売土地
新潟県長岡市下山4-50-7
ADI 株式会社
価格
:
8,500,000
円
土地面積
:142.07㎡ /42.97坪
坪単価
:197,812円/坪
建ぺい率
:60%
容積率
:200%
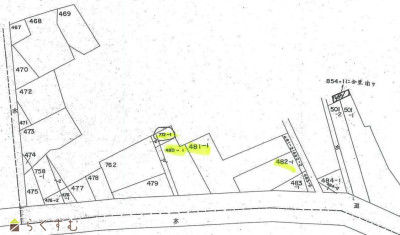
来迎寺駅近く、幹線沿いの好立地物件で店舗、事務所にも最適
長岡市来迎寺前田 売土地
新潟県長岡市来迎寺前田3872
有限会社 住まいる不動産企画
価格
:
8,500,000
円
土地面積
:290㎡ /87.72坪
坪単価
:96,899円/坪
建ぺい率
:60%
容積率
:200%
建物解体費用は売主が負担します!
鏡町売土地
新潟県柏崎市鏡町6-36
株式会社 アイエステート
価格
:
8,500,000
円
土地面積
:181.85㎡ /55坪
坪単価
:154,545円/坪
建ぺい率
:60%
容積率
:400%
下田尻売土地
新潟県柏崎市下田尻331-1
JAえちご中越 柏崎不動産センター
価格
:
8,500,000
円
土地面積
:368㎡ /111.32坪
坪単価
:76,356円/坪
建ぺい率
:70%
容積率
:200%
☆高田駅徒歩10分・幹線へのアクセス良好! スーパー・ドラッグストアまで約1Km! 利便性の良い立地です♪
寺町3丁目の売地
新潟県上越市寺町3丁目266-2
株式会社 すむとこ
価格
:
8,500,000
円
土地面積
:268.9㎡ /81.34坪
坪単価
:104,499円/坪
建ぺい率
:60%
容積率
:200%
【建築条件なし】子育てしやすい『立地条件と住環境が良好な』広い住宅地です。
ハピネスヴィレッジ福道 区画④
新潟県長岡市福道町641-6
株式会社 アークエイト
価格
:
8,500,000
円
土地面積
:211.48㎡ /63.97坪
坪単価
:132,874円/坪
建ぺい率
:70%
容積率
:200%
売土地⑩
新潟県上越市柿崎区馬正面
株式会社 若鷹
価格
:
8,500,000
円
土地面積
:1,081㎡ /327坪
坪単価
:25,993円/坪
建ぺい率
:-
容積率
:-
【ランドアップ】403号線・商業施設充実エリアで約70坪♪
加茂市幸町一丁目 ランドアップ (1区画)
新潟県加茂市幸町一丁目14番14号
株式会社リアルト・ハーツ 長岡支店
価格
:
8,500,000
円
土地面積
:234.7㎡ /70.99坪
坪単価
:119,735円/坪
建ぺい率
:60%
容積率
:200%
半田小学校区 2面道路に面した広々96坪
半田2丁目 売土地96坪
新潟県柏崎市半田2丁目12-7
株式会社 ライフプラン
価格
:
8,500,000
円
土地面積
:320㎡ /96.8坪
坪単価
:87,809円/坪
建ぺい率
:70%
容積率
:200%
人気の柏崎小学校区域!広い敷地!角地!
北園町土地
新潟県柏崎市北園町1255-497、1255-543、1255-547、1255-550、1255-548
有限会社イッケン
価格
:
8,500,000
円
土地面積
:575.46㎡ /174.07坪
坪単価
:48,830円/坪
建ぺい率
:70%
容積率
:200%
13区画の新規分譲地。角地残り1区画好評分譲中。
新発田市御幸町 分譲地 角地
新潟県新発田市御幸町2丁目乙2454番22
SUMORE NAGAOKA KONOMA Real Estate co.,ltd.
[価格]
8,500,000
~
8,500,000
円
[土地面積]
168.28 ~ 168.28㎡
50.9 ~ 50.9坪
[坪単価]
166,994 ~ 166,994円/坪
約100坪のゆとりある角地です。
五反田町 売土地
新潟県長岡市五反田町1103
株式会社 島岡不動産企画
価格
:
8,500,000
円
土地面積
:335㎡ /101.33坪
坪単価
:83,884円/坪
建ぺい率
:60%
容積率
:200%
川崎東小徒歩5分圏内の子育て家族に嬉しい宅地です。
美園1丁目 土地
新潟県長岡市美園1丁目639番2
大きな森 株式会社永井工業 住宅事業部
価格
:
8,500,000
円
土地面積
:160㎡ /48.4坪
坪単価
:175,619円/坪
建ぺい率
:60%
容積率
:200%
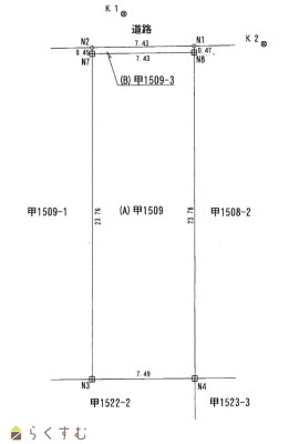
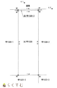
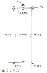
【R7.8.12価格改定960万円→850万円】国道、スーパー、飲食店等近く利便性良好の立地!敷地53坪の整形地につき住宅用地として最適です。
愛宕3丁目 売土地
新潟県長岡市愛宕3丁目 甲1509番
髙頭不動産 株式会社
価格
:
8,500,000
円
土地面積
:177.46㎡ /53.68坪
坪単価
:158,345円/坪
建ぺい率
:60%
容積率
:160%
柏崎インターチェンジ車で約4分
柏崎市 上田尻 土地
新潟県柏崎市上田尻1671番3号 他2筆
株式会社裕建
価格
:
8,500,000
円
土地面積
:475.03㎡ /143.69坪
坪単価
:59,155円/坪
建ぺい率
:70%
容積率
:200%
保育園・小学校・中学校が近くて安心!194坪の広々とした土地です。
刈羽村大字刈羽/194坪
新潟県刈羽郡刈羽村刈羽725-1
株式会社 阿部建設
価格
:
8,500,000
円
土地面積
:643㎡ /194.5坪
坪単価
:43,701円/坪
建ぺい率
:-
容積率
:-
石橋1・104坪・利便性◎・整形地・角地
石橋 住宅用地 346㎡(104.66坪)
新潟県上越市石橋1丁目1042番
楽栄不動産株式会社
価格
:
8,500,000
円
土地面積
:346㎡ /104.66坪
坪単価
:81,215円/坪
建ぺい率
:60%
容積率
:200%
表示切替:
一覧表示
/
地図表示
並び替え:
指定なし
新着順
価格が安い順
価格が高い順
価格は物件の代金総額を表示しており、消費税が課税される場合は税込み価格です。
建築条件付き土地価格には、建物価格は含まれません。
物件情報の詳細については取り扱い店までお問い合わせください。
完成予想図はいずれも外構・植栽・外観等実際のものと異なることが多少あります。
CG合成の画像の場合実際と異なることが多少あります。
完成後1年以上経過したものが未入居として記載される場合があります。ご了承ください。
販売予定物件は販売開始するまで契約または予約の申し込みはできません。
ご購入の場合物件詳細や契約内容についてご自身で十分ご確認いただきますようよろしく御願いします。
建築条件付きとは…その土地に建築する建物の建築請負契約が、一定期間内に成立することを条件として売買される土地のことをいいます。請負契約成立に向けて設計プランを協議するため、土地購入者が希望する建物にするために一定の期間(概ね3ヶ月)交渉期間としその期間内に希望するプランが実現できたかどうかによって土地の購入の判断をします。納得のいくプランができず請負契約が未成立になった場合、土地契約にかかった代金(手付金など)は、すべて返却されます。
2073件
該当しました。
<前のページ
73
74
75
76
77
78
79
80
81
82
83
次のページ>
0件
がマッチ
基本条件
物件種別
売土地・分譲地
詳細種別
売土地
分譲地
価格
下限なし
100万円
250万円
500万円
1000万円
1500万円
2000万円
2500万円
3000万円
3500万円
4000万円
4500万円
5000万円
5500万円
6000万円
6500万円
7000万円
7500万円
8000万円
8500万円
9000万円
9500万円
1億円
~
上限なし
100万円
250万円
500万円
1000万円
1500万円
2000万円
2500万円
3000万円
3500万円
4000万円
4500万円
5000万円
5500万円
6000万円
6500万円
7000万円
7500万円
8000万円
8500万円
9000万円
9500万円
1億円
間取り
ワンルーム
1K
1DK
1LDK
2K
2DK
2LDK
3K
3DK
3LDK
4K
4DK
4LDK以上
専有面積
下限なし
20㎡
30㎡
40㎡
50㎡
60㎡
70㎡
80㎡
90㎡
100㎡
~
上限なし
20㎡
30㎡
40㎡
50㎡
60㎡
70㎡
80㎡
90㎡
100㎡
土地面積
下限なし
60㎡ (約18坪)
70㎡ (約21坪)
80㎡ (約24坪)
90㎡ (約27坪)
100㎡ (約30坪)
110㎡ (約33坪)
120㎡ (約36坪)
130㎡ (約39坪)
140㎡ (約42坪)
150㎡ (約45坪)
160㎡ (約48坪)
170㎡ (約51坪)
180㎡ (約54坪)
190㎡ (約57坪)
200㎡ (約60坪)
250㎡ (約75坪)
300㎡ (約90坪)
~
上限なし
60㎡ (約18坪)
70㎡ (約21坪)
80㎡ (約24坪)
90㎡ (約27坪)
100㎡ (約30坪)
110㎡ (約33坪)
120㎡ (約36坪)
130㎡ (約39坪)
140㎡ (約42坪)
150㎡ (約45坪)
160㎡ (約48坪)
170㎡ (約51坪)
180㎡ (約54坪)
190㎡ (約57坪)
200㎡ (約60坪)
250㎡ (約75坪)
300㎡ (約90坪)
建物面積
下限なし
60㎡ (約18坪)
70㎡ (約21坪)
80㎡ (約24坪)
90㎡ (約27坪)
100㎡ (約30坪)
110㎡ (約33坪)
120㎡ (約36坪)
130㎡ (約39坪)
140㎡ (約42坪)
150㎡ (約45坪)
160㎡ (約48坪)
170㎡ (約51坪)
180㎡ (約54坪)
190㎡ (約57坪)
200㎡ (約60坪)
250㎡ (約75坪)
300㎡ (約90坪)
~
上限なし
60㎡ (約18坪)
70㎡ (約21坪)
80㎡ (約24坪)
90㎡ (約27坪)
100㎡ (約30坪)
110㎡ (約33坪)
120㎡ (約36坪)
130㎡ (約39坪)
140㎡ (約42坪)
150㎡ (約45坪)
160㎡ (約48坪)
170㎡ (約51坪)
180㎡ (約54坪)
190㎡ (約57坪)
200㎡ (約60坪)
250㎡ (約75坪)
300㎡ (約90坪)
坪単価
下限なし
5万円
10万円
15万円
20万円
25万円
30万円
35万円
40万円
45万円
50万円
~
上限なし
5万円
10万円
15万円
20万円
25万円
30万円
35万円
40万円
45万円
50万円
築年数
指定なし
新築
3年以内
5年以内
10年以内
15年以内
20年以内
方位
北
北東
東
南東
南
南西
西
北西
おすすめ条件
ペット可・相談
楽器可・相談
情報公開日
指定なし
本日
3日以内
1週間以内
1ヶ月以内
0件
がマッチ
人気のあるこだわり条件
高台に立地(108)
角地(390)
整形地(728)
前道6m以上(1008)
南側道路面す(396)
更地(1216)
学校近く(565)
スーパー近く(423)
最寄り駅近く(225)
閑静な住宅街(949)
分割可能(55)
建築条件なし(1532)
所有権(1639)
即引き渡し可(676)
側溝(708)
都市ガス(前面道路)(829)
LPG(159)
上水道(前面道路)(921)
下水道(前面道路)(841)
浄化槽(85)
電気(942)
都市ガス(宅地内)(841)
上水道(宅地内)(1079)
下水道(宅地内)(988)
前面道路融雪設備あり(411)
その他水道(2)
住宅向け(1441)
事業用向け(325)
別荘地(117)
田舎暮らし(227)
条件に合った物件数は、
0 件
です。
立地・環境
高台に立地(108)
角地(390)
整形地(728)
前道6m以上(1008)
南側道路面す(396)
更地(1216)
学校近く(565)
スーパー近く(423)
最寄り駅近く(225)
閑静な住宅街(949)
用途・制限
分割可能(55)
建築条件なし(1532)
引渡・条件
所有権(1639)
即引き渡し可(676)
設備
側溝(708)
都市ガス(前面道路)(829)
LPG(159)
上水道(前面道路)(921)
下水道(前面道路)(841)
浄化槽(85)
電気(942)
都市ガス(宅地内)(841)
上水道(宅地内)(1079)
下水道(宅地内)(988)
前面道路融雪設備あり(411)
その他水道(2)
その他
住宅向け(1441)
事業用向け(325)
別荘地(117)
田舎暮らし(227)
条件に合った物件数は、
0 件
です。
アパート・マンション・一戸建て
/
駐車場
/
貸土地
/
店舗
/
事務所
/
倉庫・工場
新築分譲マンション
/
中古マンション
/
新築一戸建て
/
中古一戸建て
/
売土地
/
投資物件・その他
マンション
/
一戸建て
/
土地
建てる・リフォーム
物件掲載企業一覧
掲載希望の企業様へ
新潟の不動産情報サイト
サービス利用規約
運営会社
サイトマップ
プライバシーポリシー
お問い合わせ
リンク
Copyright (C)
株式会社 コモンライフ・コーポレーション
. All Rights Reserved.
新潟・長岡・柏崎の賃貸・マンション・アパート・住宅の不動産物件情報サイト
不動産検索サイト「らくすむ」及び関連サイトに記載の不動産情報は、会員規約に則り、情報提供会社様の責任のもとに発信されております。
不動産の賃借、購入に関しては賃借者、購入者ご自身が情報を確認され、会社企業様から説明を受けられたうえで判断をお願いいたします。
不動産検索サイト「らくすむ」及び関連サイトに記載の不動産情報、写真、デザイン、コンテンツなどの
無断転載・転用・複製
など禁止します。