| 物件コード | 00280-200084 | ||
|---|---|---|---|
| 物件名 | 頸城区上神原 | ||
| 交通 | 駅:ほくほく線 犀潟駅から徒歩61分、バス:上神原から徒歩2分 | ||
| 物件所在地 | 新潟県上越市頸城区上神原32番1他 | ||
| 物件種別 | 売土地・分譲地 | ||
| 物件区分 | 売土地 | ||
| 構造 | - | 階建 | - |
| 建ぺい率/容積率 | - | ||
| 建物面積 | - | ||
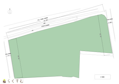
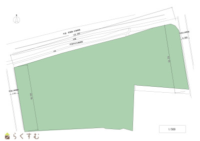
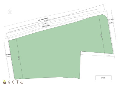
| 土地面積 | 6,799.57㎡ /2,056.86坪 | ||
| 築年月 | - | ||
| 入居時期 | 随時入居(引き渡し)可 | ||
| 用途地域 | 無指定 | 地目 | 田、畑、原野、雑種地 (現状:更地) |
| 都市計画 | 都市計画区域外 | 学校区 | 大瀁小学校(1,438m)・頸城中学校(1,519m) |
| 形状 | 間口 50m × 奥行 125m | 道路 | 市道上神原線・市道市村北福崎線 |
| 私道 | 私道負担なし | ||
| 所在階/階数 | - | 号室 | - |
|---|---|---|---|
| 販売価格 | 20,000,000円 | 方位 | - |
| 間取り | - | ||
| 専有面積 | - | バルコニー面積 | - |
| その他面積 | - | 駐車場 | - |
| 管理費 | - | 修繕積立金 | - |
| 現況 | - | ||
| 仲介手数料 | 737,000円 | ||
| 利用制限 | - | ||
| 設備 | 前道6m以上、更地、建築条件なし、所有権、側溝、LPG、上水道(前面道路)、下水道(前面道路)、電気、事業用向け | ||
| 取引態様 | 一般 | ||
| 備考 | 物件情報と差異がある場合は現況優先となります 売主 2名 |
||
| 情報登録日 | 2025/06/06 | 次回更新予定日 | 2026/05/01 |
| 取引条件有効期限 | 2024/08/31 | ||
|
|
|
|
|
|
| TEL: | 025-543-4548 |
|---|---|
| 所在地: | 新潟県上越市西本町2丁目4番45号 |
| 交通: | |
| 営業時間: | 8:00~17:10/定休日:日・祝祭日 他 |
| 免許番号: | 新潟県知事(12)第2059号 |
| 所属団体名: | 公社 新潟県宅地建物取引協会 上越支部 |
| 取引態様: | 一般 |