| 物件コード | 00088-200744 | ||
|---|---|---|---|
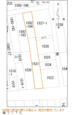
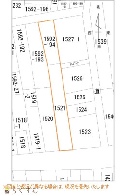
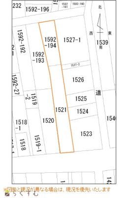
| 物件名 | 柏崎市西港町売土地 | ||
| 交通 | 駅:信越線 柏崎駅から徒歩17分、バス:西本町2丁目から徒歩4分 | ||
| 物件所在地 | 新潟県柏崎市西港町9番2号 | ||
| 物件種別 | 売土地・分譲地 | ||
| 物件区分 | 売土地 | ||
| 構造 | - | 階建 | - |
| 建ぺい率/容積率 | 60%/200% | ||
| 建物面積 | - | ||
| 土地面積 | 302.87㎡ /91.61坪 | ||
| 築年月 | - | ||
| 入居時期 | 相談 | ||
| 用途地域 | 第1種住居地域 | 地目 | 宅地 |
| 都市計画 | 非線引き都市計画区域 | 学校区 | 柏崎小学校(609m)・第一中学校(822m) |
| 形状 | - | 道路 | 公道 |
| 私道 | - | ||
| 所在階/階数 | - | 号室 | - |
|---|---|---|---|
| 販売価格 | 5,500,000円 | 方位 | - |
| 間取り | - | ||
| 専有面積 | - | バルコニー面積 | - |
| その他面積 | - | 駐車場 | - |
| 管理費 | - | 修繕積立金 | - |
| 現況 | - | ||
| 仲介手数料 | 330,000円 | ||
| 利用制限 | - | ||
| 設備 | 南側道路面す、更地、学校近く、分割可能、建築条件なし、所有権、即引き渡し可、電気、都市ガス(宅地内)、上水道(宅地内)、下水道(宅地内)、前面道路融雪設備あり、住宅向け | ||
| 取引態様 | 専属専任 | ||
| 備考 | ・現況有姿での売買となります。 ・分割販売可(要相談) ・測量の結果、面積が増減する可能性があります。 ・仲介手数料別途 |
||
| 情報登録日 | 2024/11/08 | 次回更新予定日 | 2026/04/20 |
| 取引条件有効期限 | 2024/10/22 | ||
|
|
|
|
| TEL: | 0257-24-0034 |
|---|---|
| 所在地: | 新潟県柏崎市土合628-1 |
| 交通: | |
| 営業時間: | 8:30~17:30/定休日:土・日・祝(対応可能です) 年末年始・お盆・GW |
| 免許番号: | 新潟県知事(9)第3199号 |
| 所属団体名: | 新潟県宅地建物取引業協会 柏崎支部 |
| 取引態様: | 専属専任 |