| 物件コード | 00051-200052 | ||
|---|---|---|---|
| 物件名 | 【商談中】売アパート | ||
| 交通 | 駅:上越新幹線 長岡駅から徒歩55分、バス:下柳から徒歩3分 | ||
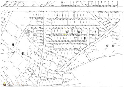
| 物件所在地 | 新潟県長岡市荻野1丁目4-9 | ||
| 物件種別 | 投資物件・その他 | ||
| 物件区分 | 1棟売りマンション・アパート | ||
| 構造 | 木造 | 階建 | 地上2階建 |
| 建ぺい率/容積率 | 50%/80% | ||
| 建物面積 | 1階 67.64㎡/ 2階 76.87㎡/ 計 144.51㎡ /43.71坪 | ||
| 土地面積 | 234.44㎡ /70.91坪 | ||
| 築年月 | 1991年3月(築35年) | ||
| 入居時期 | 相談 | ||
| 用途地域 | 第1種低層住居専用地域 | 地目 | 宅地 (現状:宅地) |
| 都市計画 | 市街化区域 | 学校区 | 上川西小学校(212m)・江陽中学校(1,055m) |
| 形状 | 間口 10.18m × 奥行 23.03m | 道路 | 長岡市道 |
| 私道 | - | ||
| 所在階/階数 | - | 号室 | - |
|---|---|---|---|
| 販売価格 | 13,000,000円 | 方位 | - |
| 表面利回り (満室想定時) |
13.56% | 満室想定年収 | 1,764,000円 (想定月収: 147,000円 ) |
| 現行利回り | 13.56% | 現行年間年収 | 1,764,000円 |
| 住戸数 | 4 | ||
| 間取り | 4.8(洋)6.3(洋) | ||
| 専有面積 | 35.53㎡ /10.74坪 ~ 35.53㎡ /10.74坪 | バルコニー面積 | - |
| その他面積 | - | 駐車場 | 無料 |
| 管理費 | - | 修繕積立金 | - |
| 現況 | 賃貸中 | ||
| 仲介手数料 | 495,000円 | ||
| 利用制限 | ペット:不可、楽器:不可 | ||
| 設備 | 駐車場(近隣含む)、公営水道、都市ガス、下水道 | ||
| 取引態様 | 一般 | ||
| 備考 | - | ||
| 情報登録日 | 2026/05/12 | 次回更新予定日 | 2026/06/13 |
| 取引条件有効期限 | 2025/09/05 | ||
|
|
|
|
| TEL: | 0258-27-6599 |
|---|---|
| 所在地: | 新潟県長岡市荻野1丁目6番7号 |
| 交通: | JR長岡駅、バス(越後交通) |
| 営業時間: | 9:00~17:00/定休日:土曜・日曜・祭日(3月は無休) |
| 免許番号: | 新潟県知事(6)第4078号 |
| 所属団体名: | 新潟県宅地建物取引協会 長岡支部 |
| 取引態様: | 一般 |