| 物件コード | 00051-200010 | ||
|---|---|---|---|
| 物件名 | 魚沼市佐梨 売土地 | ||
| 交通 | バス:南一条交差点から徒歩6分 | ||
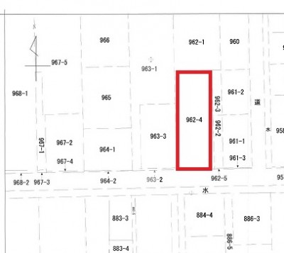
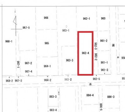
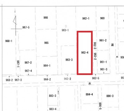
| 物件所在地 | 新潟県魚沼市佐梨字沢田962-4 | ||
| 物件種別 | 売土地・分譲地 | ||
| 物件区分 | 売土地 | ||
| 構造 | - | 階建 | - |
| 建ぺい率/容積率 | - | ||
| 建物面積 | - | ||
| 土地面積 | 363㎡ /109.8坪 | ||
| 築年月 | - | ||
| 入居時期 | 指定なし | ||
| 用途地域 | 第1種住居地域 | 地目 | 田 |
| 都市計画 | - | 学校区 | 小出小学校・小出中学校 |
| 形状 | - | 道路 | - |
| 私道 | - | ||
| 所在階/階数 | - | 号室 | - |
|---|---|---|---|
| 販売価格 | 7,686,000円 | 方位 | - |
| 間取り | - | ||
| 専有面積 | - | バルコニー面積 | - |
| その他面積 | - | 駐車場 | - |
| 管理費 | - | 修繕積立金 | - |
| 現況 | 指定なし | ||
| 仲介手数料 | 319,638円 | ||
| 利用制限 | - | ||
| 設備 | 学校近く | ||
| 取引態様 | 一般 | ||
| 備考 | - | ||
| 情報登録日 | 2018/08/09 | 次回更新予定日 | 2026/05/02 |
| 取引条件有効期限 | - | ||
|
|
|
|
|
|
| TEL: | 0258-27-6599 |
|---|---|
| 所在地: | 新潟県長岡市荻野1丁目6番7号 |
| 交通: | JR長岡駅、バス(越後交通) |
| 営業時間: | 9:00~17:00/定休日:土曜・日曜・祭日(3月は無休) |
| 免許番号: | 新潟県知事(6)第4078号 |
| 所属団体名: | 新潟県宅地建物取引協会 長岡支部 |
| 取引態様: | 一般 |