| 駐車場、倉庫用地に最適☆ | |||
| 物件コード | 00037-200115 | ||
|---|---|---|---|
| 物件名 | 柳橋町22.6坪 駐車場、倉庫用地に☆ | ||
| 交通 | 駅:信越線 柏崎駅から徒歩7分、バス:柏崎駅南口から徒歩5分 | ||
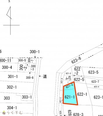
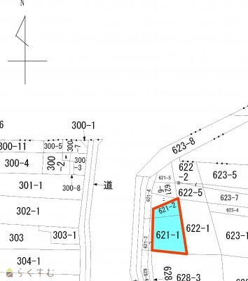
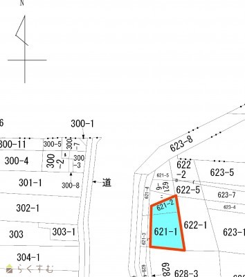
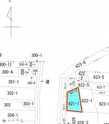
| 物件所在地 | 新潟県柏崎市柳橋町621-1、621-2 | ||
| 物件種別 | 売土地・分譲地 | ||
| 物件区分 | 売土地 | ||
| 構造 | - | 階建 | - | 
| 建ぺい率/容積率 | 70%/200% | ||
| 建物面積 | - | ||
| 土地面積 | 74.74㎡ /22.6坪 | ||
| 築年月 | - | ||
| 入居時期 | 指定なし | ||
| 用途地域 | 第1種住居地域 | 地目 | 宅地 | 
| 都市計画 | 非線引き都市計画区域 | 学校区 | 枇杷島小学校・鏡が沖中学校 | 
| 形状 | 間口 9m × 奥行 8m | 道路 | 西、北側 柏崎市道 | 
| 私道 | - | ||
| 所在階/階数 | - | 号室 | - | 
|---|---|---|---|
| 販売価格 | 1,808,000円 | 方位 | - | 
| 間取り | - | ||
| 専有面積 | - | バルコニー面積 | - | 
| その他面積 | - | 駐車場 | - | 
| 管理費 | - | 修繕積立金 | - | 
| 現況 | 更地 | ||
| 仲介手数料 | 99,440円 | ||
| 利用制限 | - | ||
| 設備 | 角地、更地、最寄り駅近く、建築条件なし、所有権、即引き渡し可、事業用向け | ||
| 取引態様 | 一般 | ||
| 備考 | 駐車場、倉庫用地に最適☆ | ||
| 情報登録日 | 2021/11/15 | 次回更新予定日 | 2025/11/18 | 
| 取引条件有効期限 | - | ||
| 
							 | 
						
							 
						 | 
					
| 
							 | 
						
							 | 
					
| TEL: | 0257-35-5370 | 
|---|---|
| 所在地: | 新潟県柏崎市田中10-31 | 
| 交通: | 国道8号線よりすぐ | 
| 営業時間: | 平日9:00~18:00土日祝10:00~16:0/定休日:当社規定 (お盆・年末年始・GW) | 
| 免許番号: | 新潟県知事(4)4821号 | 
| 所属団体名: | 新潟県宅地建物取引協会 柏崎支部 | 
| 取引態様: | 一般 |