| 物件コード | 00014-200336 | ||
|---|---|---|---|
| 物件名 | 宮栄3丁目 売土地 104坪 ※条件有 | ||
| 交通 | 駅:信越線 宮内駅から徒歩6分、バス:宮内小学校前から徒歩6分 | ||
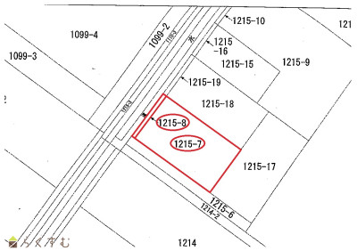
| 物件所在地 | 新潟県長岡市宮栄3丁目1215-7 | ||
| 物件種別 | 売土地・分譲地 | ||
| 物件区分 | 売土地 | ||
| 構造 | - | 階建 | - |
| 建ぺい率/容積率 | 60%/200% | ||
| 建物面積 | - | ||
| 土地面積 | 347.01㎡ /104.97坪 | ||
| 築年月 | - | ||
| 入居時期 | 相談 | ||
| 用途地域 | 第1種住居地域 | 地目 | 宅地 |
| 都市計画 | 市街化区域 | 学校区 | 宮内小学校・宮内中学校 |
| 形状 | - | 道路 | 北西側:市道 |
| 私道 | - | ||
| 所在階/階数 | - | 号室 | - |
|---|---|---|---|
| 販売価格 | 21,000,000円 | 方位 | - |
| 間取り | - | ||
| 専有面積 | - | バルコニー面積 | - |
| その他面積 | - | 駐車場 | - |
| 管理費 | - | 修繕積立金 | - |
| 現況 | - | ||
| 仲介手数料 | 759,000円 | ||
| 利用制限 | - | ||
| 設備 | 整形地、前道6m以上、スーパー近く、最寄り駅近く、閑静な住宅街、建築条件なし、所有権、住宅向け、事業用向け | ||
| 取引態様 | 一般 | ||
| 備考 | - | ||
| 情報登録日 | 2023/03/06 | 次回更新予定日 | 2025/11/10 |
| 取引条件有効期限 | 2023/04/30 | ||
|
|
|
|
| TEL: | 0120-35-3901 |
|---|---|
| 所在地: | 新潟県長岡市要町3-1-26 |
| 交通: | 長岡駅大手口①バス乗場より乗車~溝橋下車徒歩約4分 |
| 営業時間: | 9:30~18:00/定休日:日曜・祝祭日 |
| 免許番号: | 新潟県知事(16)第495号 |
| 所属団体名: | 新潟県宅地建物取引業協会 長岡支部 |
| 取引態様: | 一般 |