| 物件コード | 00014-200267 | ||
|---|---|---|---|
| 物件名 | 関原町3丁目 売土地 66坪 | ||
| 交通 | 駅:信越線 来迎寺駅から徒歩97分、バス:池の端から徒歩3分 | ||
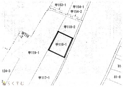
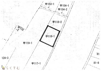
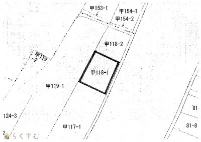
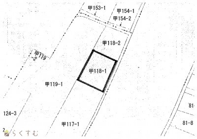
| 物件所在地 | 新潟県長岡市関原町3丁目118-1 | ||
| 物件種別 | 売土地・分譲地 | ||
| 物件区分 | 売土地 | ||
| 構造 | - | 階建 | - | 
| 建ぺい率/容積率 | 60%/200% | ||
| 建物面積 | - | ||
| 土地面積 | 219.23㎡ /66.31坪 | ||
| 築年月 | - | ||
| 入居時期 | 相談 | ||
| 用途地域 | 第1種住居地域 | 地目 | 宅地 (現状:更地) | 
| 都市計画 | 市街化区域 | 学校区 | 関原小学校(159m)・関原中学校(616m) | 
| 形状 | 間口 15.5m × 奥行 12.5m | 道路 | 二項道路 | 
| 私道 | - | ||
| 所在階/階数 | - | 号室 | - | 
|---|---|---|---|
| 販売価格 | 2,380,000円 | 方位 | - | 
| 間取り | - | ||
| 専有面積 | - | バルコニー面積 | - | 
| その他面積 | - | 駐車場 | - | 
| 管理費 | - | 修繕積立金 | - | 
| 現況 | - | ||
| 仲介手数料 | 330,000円 | ||
| 利用制限 | - | ||
| 設備 | 整形地、更地、学校近く、閑静な住宅街、建築条件なし、所有権、即引き渡し可、都市ガス(前面道路)、上水道(前面道路)、下水道(前面道路)、住宅向け | ||
| 取引態様 | 一般 | ||
| 備考 | - | ||
| 情報登録日 | 2024/12/12 | 次回更新予定日 | 2025/11/18 | 
| 取引条件有効期限 | 2025/03/31 | ||
| 
							 | 
						
							 
						 | 
					
| 
							 | 
						
							 | 
					
| TEL: | 0120-35-3901 | 
|---|---|
| 所在地: | 新潟県長岡市要町3-1-26 | 
| 交通: | 長岡駅大手口①バス乗場より乗車~溝橋下車徒歩約4分 | 
| 営業時間: | 9:30~18:00/定休日:日曜・祝祭日 | 
| 免許番号: | 新潟県知事(16)第495号 | 
| 所属団体名: | 新潟県宅地建物取引業協会 長岡支部 | 
| 取引態様: | 一般 |