1
物件掲載企業数:
297
社
|賃貸物件:
2,824
件|売買物件:
3,243
件|今週の登録物件:
339
件
閲覧中のブラウザ(インターネットエクスプローラー)は非推奨ブラウザです。
物件が正しく表示されなかったり、正しく検索されない場合があります。最新のブラウザ(Google Chrome・Edgeなど)にてご利用お願いいたします。
Google Chrome
Microsoft Edge
アパート・マンション・一戸建て
駐車場
貸土地
店舗
事務所
倉庫・工場
新築分譲マンション
中古マンション
新築一戸建て
中古一戸建て
売土地・分譲地
その他(投資物件など)
マンション
一戸建て
土地
ホーム
>
検索方法選択
>
ランドマーク指定
> 物件一覧
全エリア
の
売土地・分譲地
一覧
2020件
該当しました。
<前のページ
92
93
94
95
96
97
98
99
100
101
次のページ>
表示切替:
一覧表示
/
地図表示
並び替え:
指定なし
新着順
価格が安い順
価格が高い順
画像
物件名/所在地/取扱店
詳細
2000坪以上の広大な宅地 森の中で自然豊かな暮らしをしてみませんか? 資材置き場などにもご利用できます。
長岡市浦(旧越路町)売地
新潟県長岡市浦4702
ふどうさんの相談所 (ライフデザイン合同会社 イオン長岡店)
価格
:
20,000,000
円
土地面積
:7,379.71㎡ /2,232.36坪
坪単価
:8,959円/坪
建ぺい率
:70%
容積率
:200%
豊詰町 売土地 167坪
新潟県長岡市豊詰町258-1 及び他1筆
株式会社 金井不動産
価格
:
20,000,000
円
土地面積
:553.49㎡ /167.43坪
坪単価
:119,452円/坪
建ぺい率
:50%
容積率
:100%
三条市下須頃 売地
新潟県三条市下須頃1053-1
株式会社 ユタカ不動産
価格
:
20,000,000
円
土地面積
:719㎡ /217.49坪
坪単価
:91,958円/坪
建ぺい率
:70%
容積率
:200%
☆敷地625坪!!幹線道路沿いの売地物件です☆
下中田
新潟県上越市下中田1番1(地番)、他9筆
有限会社田村家具店
価格
:
20,000,000
円
土地面積
:2,065㎡ /624.66坪
坪単価
:32,017円/坪
建ぺい率
:60%
容積率
:200%
事業用地にいかがでしょうか
頸城区上神原
新潟県上越市頸城区上神原32番1他
株式会社阿部建設 上越支店
価格
:
20,000,000
円
土地面積
:6,799.57㎡ /2,056.86坪
坪単価
:9,723円/坪
建ぺい率
:-
容積率
:-
海岸沿いの広々敷地!!250坪
柏崎市北園町売土地
新潟県柏崎市北園町22-14
株式会社 阿部建設
価格
:
20,000,000
円
土地面積
:793.38㎡ /239.99坪
坪単価
:83,336円/坪
建ぺい率
:70%
容積率
:200%
【商談中】蓮潟地区の広々土地
蓮潟2丁目売り土地
新潟県長岡市蓮潟2丁目97番
株式会社 アークエイト
価格
:
20,000,000
円
土地面積
:390.76㎡ /118.2坪
坪単価
:169,204円/坪
建ぺい率
:60%
容積率
:200%
人気の直江津エリア エルマール前の整形地です
【直江津エリア】西本町1丁目 売地
新潟県上越市西本町1丁目 599
有限会社 管財
価格
:
21,000,000
円
土地面積
:448.39㎡ /135.63坪
坪単価
:154,833円/坪
建ぺい率
:60%
容積率
:200%
価格改定 2300万円→2100万円
東本町売土地
新潟県柏崎市東本町3丁目151-8他3筆
株式会社 藤真工業
価格
:
21,000,000
円
土地面積
:724.18㎡ /219.06坪
坪単価
:95,864円/坪
建ぺい率
:60%
容積率
:200%
「古正寺町」交差点大通りに面する角地♪事業用地、看板用地などにも♪解体更地渡しです
長岡市緑町「古正寺町」交差点に面する角地♪解体更地渡し
新潟県長岡市緑町3丁目204番1
有限会社 ABCホーム
価格
:
21,000,000
円
土地面積
:179.18㎡ /54.2坪
坪単価
:387,453円/坪
建ぺい率
:70%
容積率
:200%
長岡駅徒歩15分圏内の角地物件
長岡市本町1丁目
長岡市本町1丁目2-4、2-5
髙頭不動産 株式会社
価格
:
21,200,000
円
土地面積
:269.15㎡ /81.41坪
坪単価
:260,410円/坪
建ぺい率
:90%
容積率
:600%
現況はアスファルト敷きの駐車場です
◆売地◆三条市石上3丁目
新潟県三条市石上3丁目552番6
株式会社 ユタカ不動産
価格
:
21,234,000
円
土地面積
:702㎡ /212.35坪
坪単価
:99,995円/坪
建ぺい率
:70%
容積率
:200%
前川東土地区画整理地内工業用地(分割可)
上前島1丁目(前川東区画整理地内工業用地
新潟県長岡市上前島1丁目1809他
株式会社 キシコーポレーション 不動産部
価格
:
21,310,000
円
土地面積
:1,083㎡ /327.6坪
坪単価
:65,048円/坪
建ぺい率
:70%
容積率
:200%
今町地区の売土地 大規模な土地利用におすすめ
見附市今町3 売土地
新潟県見附市今町3丁目6-44
ふどうさんの相談所 (ライフデザイン合同会社 イオン長岡店)
価格
:
21,800,000
円
土地面積
:1,204.92㎡ /364.48坪
坪単価
:59,811円/坪
建ぺい率
:60%
容積率
:200%
【建築条件無し】お好きな建築会社様で建築可能♪ ■長岡駅まで徒歩約8分!通勤通学の利便性良好 ■徒歩10分圏内にスーパーやコンビニがあるので毎日のお買い物に困りません
長岡市旭町1丁目 土地
新潟県長岡市旭町1丁目2-14 西側隣地
新潟土地建物販売センター 株式会社
価格
:
21,900,000
円
土地面積
:195.79㎡ /59.22坪
坪単価
:369,807円/坪
建ぺい率
:80%
容積率
:400%
中島1丁目売地
新潟県長岡市中島1丁目41-1
有限会社 原不動産
価格
:
22,000,000
円
土地面積
:371.29㎡ /112.31坪
坪単価
:195,886円/坪
建ぺい率
:60%
容積率
:200%
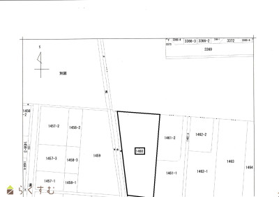
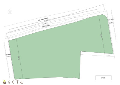
北東角地、約88坪、更地渡し。 長岡駅まで徒歩13分、通勤通学に便利。スーパー・ドラッグストアまで近く、毎日のお買物に便利です!
長岡市船江町 売地
新潟県長岡市船江町4番6
株式会社にいがた不動産
価格
:
22,000,000
円
土地面積
:293.32㎡ /88.72坪
坪単価
:247,971円/坪
建ぺい率
:80%
容積率
:300%
北東角地!前面各融雪道路!長岡駅まで徒歩圏内です。
福住3丁目 売土地
新潟県長岡市福住3-甲1145-1
髙頭不動産 株式会社
価格
:
22,000,000
円
土地面積
:285.77㎡ /86.44坪
坪単価
:254,511円/坪
建ぺい率
:90%
容積率
:300%
東南角地で日当たり良好!敷地はゆとりのある98坪!
長岡市西千手1丁目 売土地
新潟県長岡市西千手1丁目6-20
長岡不動産販売株式会社
価格
:
22,000,000
円
土地面積
:326㎡ /98.61坪
坪単価
:223,101円/坪
建ぺい率
:70%
容積率
:200%
【プレミアムグリーンガーデン長岡駅東】《残り1区画!》長岡駅から徒歩13分の好立地 国道も至近でアクセス良好 アクロスプラザも徒歩圏内
プレミアムグリーンガーデン長岡駅東 区画1
新潟県長岡市沖田三丁目8番1〔プレミアムグリーンガーデン長岡駅東 区画1〕
株式会社 エヌ・アール・ケー総合企画
価格
:
22,290,000
円
土地面積
:334.96㎡ /101.32坪
坪単価
:219,996円/坪
建ぺい率
:50%
容積率
:100%
表示切替:
一覧表示
/
地図表示
並び替え:
指定なし
新着順
価格が安い順
価格が高い順
価格は物件の代金総額を表示しており、消費税が課税される場合は税込み価格です。
建築条件付き土地価格には、建物価格は含まれません。
物件情報の詳細については取り扱い店までお問い合わせください。
完成予想図はいずれも外構・植栽・外観等実際のものと異なることが多少あります。
CG合成の画像の場合実際と異なることが多少あります。
完成後1年以上経過したものが未入居として記載される場合があります。ご了承ください。
販売予定物件は販売開始するまで契約または予約の申し込みはできません。
ご購入の場合物件詳細や契約内容についてご自身で十分ご確認いただきますようよろしく御願いします。
建築条件付きとは…その土地に建築する建物の建築請負契約が、一定期間内に成立することを条件として売買される土地のことをいいます。請負契約成立に向けて設計プランを協議するため、土地購入者が希望する建物にするために一定の期間(概ね3ヶ月)交渉期間としその期間内に希望するプランが実現できたかどうかによって土地の購入の判断をします。納得のいくプランができず請負契約が未成立になった場合、土地契約にかかった代金(手付金など)は、すべて返却されます。
2020件
該当しました。
<前のページ
92
93
94
95
96
97
98
99
100
101
次のページ>
0件
がマッチ
基本条件
物件種別
売土地・分譲地
詳細種別
売土地
分譲地
価格
下限なし
100万円
250万円
500万円
1000万円
1500万円
2000万円
2500万円
3000万円
3500万円
4000万円
4500万円
5000万円
5500万円
6000万円
6500万円
7000万円
7500万円
8000万円
8500万円
9000万円
9500万円
1億円
~
上限なし
100万円
250万円
500万円
1000万円
1500万円
2000万円
2500万円
3000万円
3500万円
4000万円
4500万円
5000万円
5500万円
6000万円
6500万円
7000万円
7500万円
8000万円
8500万円
9000万円
9500万円
1億円
間取り
ワンルーム
1K
1DK
1LDK
2K
2DK
2LDK
3K
3DK
3LDK
4K
4DK
4LDK以上
専有面積
下限なし
20㎡
30㎡
40㎡
50㎡
60㎡
70㎡
80㎡
90㎡
100㎡
~
上限なし
20㎡
30㎡
40㎡
50㎡
60㎡
70㎡
80㎡
90㎡
100㎡
土地面積
下限なし
60㎡ (約18坪)
70㎡ (約21坪)
80㎡ (約24坪)
90㎡ (約27坪)
100㎡ (約30坪)
110㎡ (約33坪)
120㎡ (約36坪)
130㎡ (約39坪)
140㎡ (約42坪)
150㎡ (約45坪)
160㎡ (約48坪)
170㎡ (約51坪)
180㎡ (約54坪)
190㎡ (約57坪)
200㎡ (約60坪)
250㎡ (約75坪)
300㎡ (約90坪)
~
上限なし
60㎡ (約18坪)
70㎡ (約21坪)
80㎡ (約24坪)
90㎡ (約27坪)
100㎡ (約30坪)
110㎡ (約33坪)
120㎡ (約36坪)
130㎡ (約39坪)
140㎡ (約42坪)
150㎡ (約45坪)
160㎡ (約48坪)
170㎡ (約51坪)
180㎡ (約54坪)
190㎡ (約57坪)
200㎡ (約60坪)
250㎡ (約75坪)
300㎡ (約90坪)
建物面積
下限なし
60㎡ (約18坪)
70㎡ (約21坪)
80㎡ (約24坪)
90㎡ (約27坪)
100㎡ (約30坪)
110㎡ (約33坪)
120㎡ (約36坪)
130㎡ (約39坪)
140㎡ (約42坪)
150㎡ (約45坪)
160㎡ (約48坪)
170㎡ (約51坪)
180㎡ (約54坪)
190㎡ (約57坪)
200㎡ (約60坪)
250㎡ (約75坪)
300㎡ (約90坪)
~
上限なし
60㎡ (約18坪)
70㎡ (約21坪)
80㎡ (約24坪)
90㎡ (約27坪)
100㎡ (約30坪)
110㎡ (約33坪)
120㎡ (約36坪)
130㎡ (約39坪)
140㎡ (約42坪)
150㎡ (約45坪)
160㎡ (約48坪)
170㎡ (約51坪)
180㎡ (約54坪)
190㎡ (約57坪)
200㎡ (約60坪)
250㎡ (約75坪)
300㎡ (約90坪)
坪単価
下限なし
5万円
10万円
15万円
20万円
25万円
30万円
35万円
40万円
45万円
50万円
~
上限なし
5万円
10万円
15万円
20万円
25万円
30万円
35万円
40万円
45万円
50万円
築年数
指定なし
新築
3年以内
5年以内
10年以内
15年以内
20年以内
方位
北
北東
東
南東
南
南西
西
北西
おすすめ条件
ペット可・相談
楽器可・相談
情報公開日
指定なし
本日
3日以内
1週間以内
1ヶ月以内
0件
がマッチ
人気のあるこだわり条件
高台に立地(103)
角地(382)
整形地(710)
前道6m以上(985)
南側道路面す(383)
更地(1180)
学校近く(547)
スーパー近く(408)
最寄り駅近く(225)
閑静な住宅街(922)
分割可能(52)
建築条件なし(1492)
所有権(1594)
即引き渡し可(661)
側溝(682)
都市ガス(前面道路)(803)
LPG(154)
上水道(前面道路)(895)
下水道(前面道路)(820)
浄化槽(76)
電気(912)
都市ガス(宅地内)(819)
上水道(宅地内)(1050)
下水道(宅地内)(964)
前面道路融雪設備あり(402)
その他水道(2)
住宅向け(1405)
事業用向け(313)
別荘地(117)
田舎暮らし(219)
条件に合った物件数は、
0 件
です。
立地・環境
高台に立地(103)
角地(382)
整形地(710)
前道6m以上(985)
南側道路面す(383)
更地(1180)
学校近く(547)
スーパー近く(408)
最寄り駅近く(225)
閑静な住宅街(922)
用途・制限
分割可能(52)
建築条件なし(1492)
引渡・条件
所有権(1594)
即引き渡し可(661)
設備
側溝(682)
都市ガス(前面道路)(803)
LPG(154)
上水道(前面道路)(895)
下水道(前面道路)(820)
浄化槽(76)
電気(912)
都市ガス(宅地内)(819)
上水道(宅地内)(1050)
下水道(宅地内)(964)
前面道路融雪設備あり(402)
その他水道(2)
その他
住宅向け(1405)
事業用向け(313)
別荘地(117)
田舎暮らし(219)
条件に合った物件数は、
0 件
です。
アパート・マンション・一戸建て
/
駐車場
/
貸土地
/
店舗
/
事務所
/
倉庫・工場
新築分譲マンション
/
中古マンション
/
新築一戸建て
/
中古一戸建て
/
売土地
/
投資物件・その他
マンション
/
一戸建て
/
土地
建てる・リフォーム
物件掲載企業一覧
掲載希望の企業様へ
新潟の不動産情報サイト
サービス利用規約
運営会社
サイトマップ
プライバシーポリシー
お問い合わせ
リンク
Copyright (C)
株式会社 コモンライフ・コーポレーション
. All Rights Reserved.
新潟・長岡・柏崎の賃貸・マンション・アパート・住宅の不動産物件情報サイト
不動産検索サイト「らくすむ」及び関連サイトに記載の不動産情報は、会員規約に則り、情報提供会社様の責任のもとに発信されております。
不動産の賃借、購入に関しては賃借者、購入者ご自身が情報を確認され、会社企業様から説明を受けられたうえで判断をお願いいたします。
不動産検索サイト「らくすむ」及び関連サイトに記載の不動産情報、写真、デザイン、コンテンツなどの
無断転載・転用・複製
など禁止します。