新潟県柏崎市駅前2丁目1-54 売土地・分譲地 13,000,000円の物件情報

解体更地渡し(売主負担)

物件名/所在地 詳細 価格
駅前2丁目 売地
新潟県柏崎市駅前2丁目1-54
  • 土地面積
    :262.6㎡ /79.43坪
  • 坪単価
    :163,666円/坪
  • 建ぺい率
    :80%
  • 容積率
    :400%
13,000,000
  • 駅前2丁目 売地
    株式会社 ライフプラン
  • この物件を問い合わせる/無料
  • TEL: 0257-23-0500 0257-23-0500

物件画像

外観
間取り
物件画像
※画像クリックで拡大表示
物件正面
物件画像
※画像クリックで拡大表示
詳細画像
物件画像
外観1
物件画像
外観2
物件画像
外観3
物件画像
外観4
物件画像
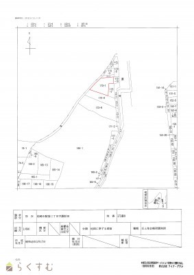
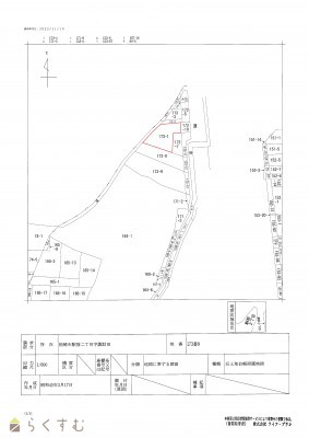
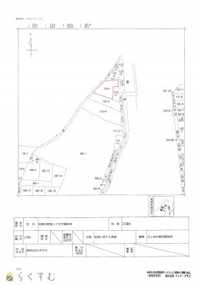
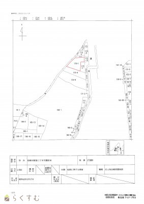
公図
物件画像
地図画像


物件概要

物件コード 00190-200171
物件名 駅前2丁目 売地
交通 駅:信越線 柏崎駅から徒歩7分、バス:駅前2丁目から徒歩2分
物件所在地 新潟県柏崎市駅前2丁目1-54
物件種別 売土地・分譲地
物件区分 売土地
構造 - 階建 -
建ぺい率/容積率 80%/400%
建物面積 -
土地面積 262.6㎡ /79.43坪
築年月 -
入居(引き渡し)時期 随時入居(引き渡し)可
用途地域 商業地域 地目 宅地  (現状:宅地)
都市計画 都市計画区域外 学校区 柏崎小学校(499m)・第一中学校(798m)
形状 間口 8.7m 道路 東:県道 北:2項道路 西:2項道路
私道 - その他の制限 準防火地域
  • 駅前2丁目 売地
    株式会社 ライフプラン
  • この物件を問い合わせる/無料
  • TEL: 0257-23-0500 0257-23-0500

物件詳細情報

所在階/階数 - 号室 -
販売価格 13,000,000円 方位 -
間取り -
専有面積 - バルコニー面積 -
その他面積 - 駐車場 -
管理費 - 修繕積立金 -
現況 -
仲介手数料 495,000円
利用制限 -
設備 前道6m以上、更地、最寄り駅近く、分割可能、建築条件なし、所有権、側溝、電気、都市ガス(宅地内)、上水道(宅地内)、下水道(宅地内)、事業用向け
取引態様 一般
備考 現状上物あり。解体後更地でのお引渡し(売主負担)
北・西側セットバック必要(約27㎡)
取り扱い会社

株式会社 ライフプラン

新潟県柏崎市半田2-1-17

情報登録日 2024/07/23 次回更新予定日 2026/04/20
取引条件有効期限 2026/03/31
  • 駅前2丁目 売地
    株式会社 ライフプラン
  • この物件を問い合わせる/無料
  • TEL: 0257-23-0500 0257-23-0500

この物件の地図・周辺情報・行政情報

この物件の周辺情報・行政情報を詳しく見る
【周辺情報】
物件の近くにあるコンビニや銀行・学校など、アイコン付のマップで詳しく表示できます!
【行政情報】
水道料や下水道料・ガス料金など、暮らしに関係のある情報を表示しています。
デイリーヤマザキ 柏崎駅前1丁目店(コンビニ)まで390m
ローソン 柏崎学校町店(コンビニ)まで680m
セブン-イレブン 柏崎錦町店(コンビニ)まで680m
セブン-イレブン 柏崎西港町店(コンビニ)まで890m
ピアレマート フォンジェ店(スーパー)まで580m
ウエルシア柏崎錦町店 (調剤薬局)(ドラッグストア)まで800m
第四北越銀行 柏崎中央支店(銀行)まで130m
大光銀行 柏崎支店(銀行)まで280m
柏崎信用金庫本店(銀行)まで280m
柏崎郵便局(郵便局)まで210m

※カメラのアイコンがある場合は、マウスをポイントするとその施設の画像がご覧いただけます。


担当取扱い店舗情報

取扱い店舗画像
株式会社 ライフプラン
TEL: 0257-23-0500
所在地: 新潟県柏崎市半田2-1-17
交通: R8バイパス「半田中央」交差点角
営業時間: 9:00~17:30/定休日:土・日・祝(ご予約にて対応可能です。)
免許番号: 新潟県知事(9)第3314号
所属団体名: 公社 宅地建物取引業協会 柏崎支部
取引態様: 一般
ホームページ: http://www.kk-life-plan.co.jp/