新潟県柏崎市諏訪町1815-20 売土地・分譲地 8,800,000円の物件情報

現況の月極駐車場としてもご利用いただけます♪

物件名/所在地 詳細 価格
柏崎市諏訪町 売り土地
新潟県柏崎市諏訪町1815-20
  • 土地面積
    :467.59㎡ /141.44坪
  • 坪単価
    :62,217円/坪
  • 建ぺい率
    :80%
  • 容積率
    :400%
8,800,000
  • 柏崎市諏訪町 売り土地
    株式会社オフィス・シナダ
  • この物件を問い合わせる/無料
  • TEL: 0257-41-5077 0257-41-5077

物件画像

外観
間取り
物件画像
※画像クリックで拡大表示
外観001
物件画像
※画像クリックで拡大表示
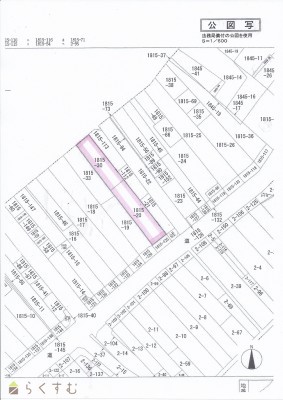
位置図
詳細画像
物件画像
001
物件画像
002


物件概要

現況の月極駐車場としてもご利用いただけます♪
物件コード 00178-200008
物件名 柏崎市諏訪町 売り土地
交通 駅:越後線 東柏崎駅から徒歩9分、バス:諏訪町3丁目から徒歩1分
物件所在地 新潟県柏崎市諏訪町1815-20
物件種別 売土地・分譲地
物件区分 売土地
構造 - 階建 -
建ぺい率/容積率 80%/400%
建物面積 -
土地面積 467.59㎡ /141.44坪
築年月 -
入居(引き渡し)時期 随時入居(引き渡し)可
用途地域 商業地域 地目 宅地  (現状:駐車場用地)
都市計画 非線引き都市計画区域 学校区 柏崎小学校(933m)・第一中学校(813m)
形状 間口 7.3m × 奥行 60m 道路 幅員約16m
私道 - その他の制限 -
  • 柏崎市諏訪町 売り土地
    株式会社オフィス・シナダ
  • この物件を問い合わせる/無料
  • TEL: 0257-41-5077 0257-41-5077

物件詳細情報

所在階/階数 - 号室 -
販売価格 8,800,000円 方位 -
間取り -
専有面積 - バルコニー面積 -
その他面積 - 駐車場 -
管理費 - 修繕積立金 -
現況 -
仲介手数料 356,400円
利用制限 -
設備 整形地、前道6m以上、最寄り駅近く、所有権、即引き渡し可、住宅向け、事業用向け
取引態様 一般
備考 -
取り扱い会社

株式会社オフィス・シナダ

新潟県柏崎市西港町4番19号

情報登録日 2024/06/20 次回更新予定日 2025/11/19
取引条件有効期限 2025/03/23
  • 柏崎市諏訪町 売り土地
    株式会社オフィス・シナダ
  • この物件を問い合わせる/無料
  • TEL: 0257-41-5077 0257-41-5077

この物件の地図・周辺情報・行政情報

この物件の周辺情報・行政情報を詳しく見る
【周辺情報】
物件の近くにあるコンビニや銀行・学校など、アイコン付のマップで詳しく表示できます!
【行政情報】
水道料や下水道料・ガス料金など、暮らしに関係のある情報を表示しています。

担当取扱い店舗情報

取扱い店舗画像
株式会社オフィス・シナダ
TEL: 0257-41-5077
所在地: 新潟県柏崎市西港町4番19号
交通: 柏崎駅
営業時間: 10:00~18:00土日は10:00~17:00/定休日:水曜日・祝日
免許番号: 新潟県知事(2)第5342号
所属団体名: 公社 宅地建物取引協会 柏崎支部
取引態様: 一般
ホームページ: http://www.officeshinada.co.jp/