新潟県三条市林町2丁目13-34 売土地・分譲地 5,200,000円の物件情報

小・中学校共に徒歩圏内!

物件名/所在地 詳細 価格
◆売地◆三条市林町二丁目
新潟県三条市林町2丁目13-34
  • 土地面積
    :132㎡ /39.93坪
  • 坪単価
    :130,227円/坪
  • 建ぺい率
    :60%
  • 容積率
    :200%
5,200,000
  • ◆売地◆三条市林町二丁目
    株式会社 ユタカ不動産
  • この物件を問い合わせる/無料
  • TEL: 0256-35-5825 0256-35-5825

物件画像

外観
間取り
物件画像
※画像クリックで拡大表示
土地
物件画像
※画像クリックで拡大表示
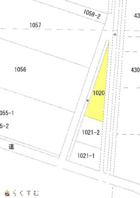
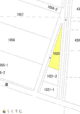
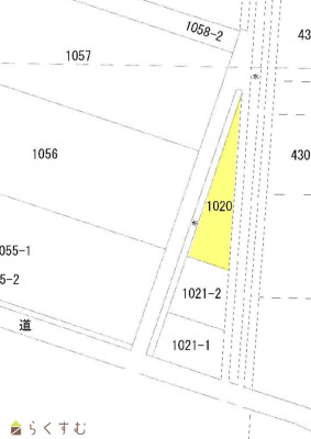
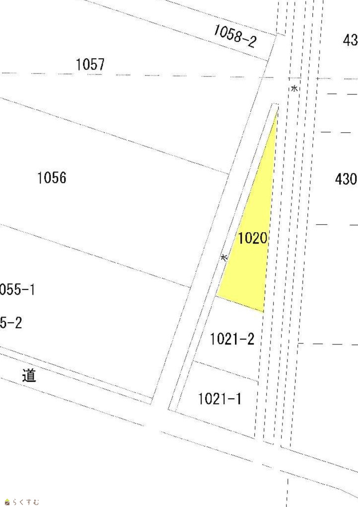
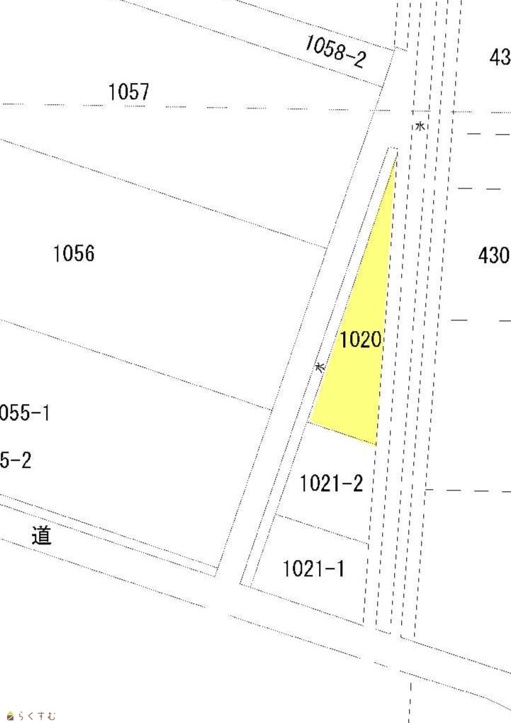
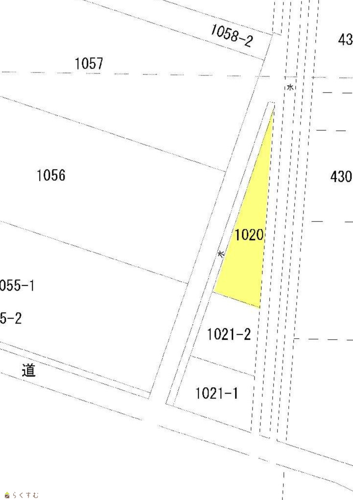
公図
詳細画像
物件画像
土地
物件画像
前面道路


物件概要

三条東公民館すぐ!
物件コード 00052-200198
物件名 ◆売地◆三条市林町二丁目
交通 駅:弥彦線 北三条駅から徒歩14分、バス:東公民館から徒歩3分
物件所在地 新潟県三条市林町2丁目13-34
物件種別 売土地・分譲地
物件区分 売土地
構造 - 階建 -
建ぺい率/容積率 60%/200%
建物面積 -
土地面積 132㎡ /39.93坪
築年月 -
入居(引き渡し)時期 随時入居(引き渡し)可
用途地域 第1種住居地域 地目 宅地  (現状:宅地)
都市計画 非線引き都市計画区域 学校区 一ノ木戸小学校(425m)・第二中学校(425m)
形状 - 道路 西側:約2.6m 43条2項2号道路
私道 - その他の制限 合併浄化槽の設置が必要です。
  • ◆売地◆三条市林町二丁目
    株式会社 ユタカ不動産
  • この物件を問い合わせる/無料
  • TEL: 0256-35-5825 0256-35-5825

物件詳細情報

所在階/階数 - 号室 -
販売価格 5,200,000円 方位 -
間取り -
専有面積 - バルコニー面積 -
その他面積 - 駐車場 -
管理費 - 修繕積立金 -
現況 -
仲介手数料 330,000円
利用制限 -
設備 更地、学校近く、閑静な住宅街、建築条件なし、所有権、即引き渡し可、上水道(前面道路)、上水道(宅地内)、住宅向け
取引態様 専任
備考 -
取り扱い会社

株式会社 ユタカ不動産

新潟県三条市旭町1丁目1-19-3ユタカビル

情報登録日 2024/12/09 次回更新予定日 2026/04/20
取引条件有効期限 2024/09/01
  • ◆売地◆三条市林町二丁目
    株式会社 ユタカ不動産
  • この物件を問い合わせる/無料
  • TEL: 0256-35-5825 0256-35-5825

この物件の地図・周辺情報・行政情報

この物件の周辺情報・行政情報を詳しく見る
【周辺情報】
物件の近くにあるコンビニや銀行・学校など、アイコン付のマップで詳しく表示できます!
【行政情報】
水道料や下水道料・ガス料金など、暮らしに関係のある情報を表示しています。

担当取扱い店舗情報

取扱い店舗画像
株式会社 ユタカ不動産
TEL: 0256-35-5825
所在地: 新潟県三条市旭町1丁目1-19-3ユタカビル
交通: 東三条駅
営業時間: 9:00~18:00/定休日:火曜・祭日
免許番号: 新潟見知事(9)第3203号
所属団体名: 新潟県宅地建物取引協会 三条支部
取引態様: 専任
ホームページ: http://www.yutakafudousan.com