新潟県小千谷市大字薭生1598番地11 売土地・分譲地 2,500,000円の物件情報

小千谷駅まで徒歩約10分。小中学校徒歩圏内です♪

物件名/所在地 詳細 価格
小千谷市大字薭生(元中子)売土地
新潟県小千谷市大字薭生1598番地11
  • 土地面積
    :265.54㎡ /80.32坪
  • 坪単価
    :31,125円/坪
  • 建ぺい率
    :60%
  • 容積率
    :200%
2,500,000
  • 小千谷市大字薭生(元中子)売土地
    株式会社 長岡総合開発
  • この物件を問い合わせる/無料
  • TEL: 0258-46-8777 0258-46-8777

物件画像

外観
間取り
物件画像
※画像クリックで拡大表示
外観
物件画像
※画像クリックで拡大表示
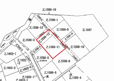
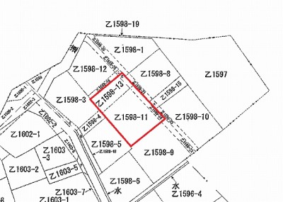
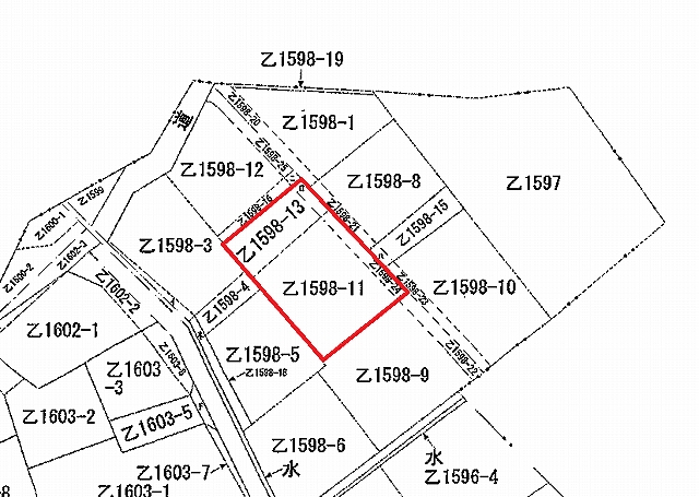
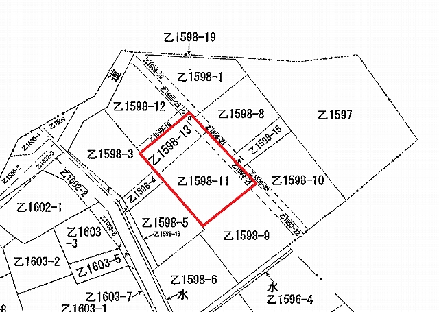
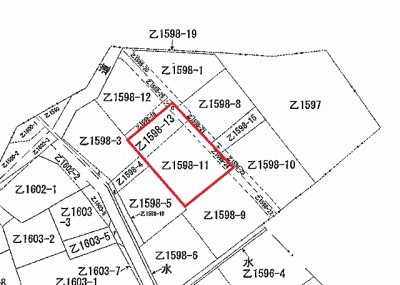
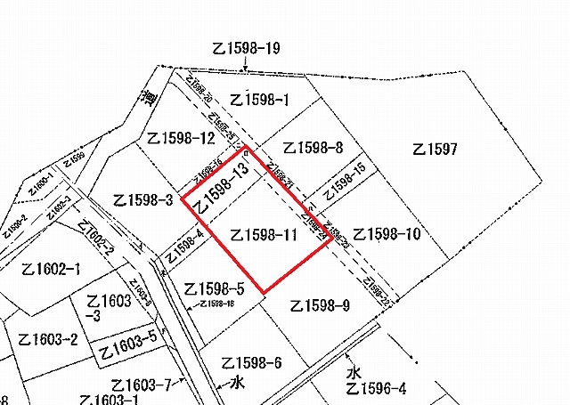
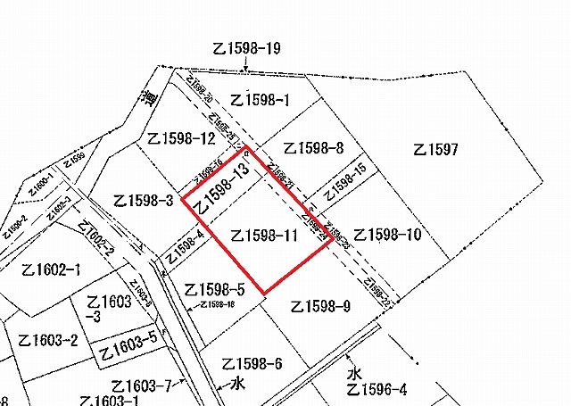
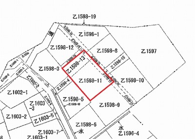
公図
詳細画像
物件画像
外観


物件概要

物件コード 00030-200080
物件名 小千谷市大字薭生(元中子)売土地
交通 駅:小千谷駅から徒歩10分、バス:東栄2丁目から徒歩3分
物件所在地 新潟県小千谷市大字薭生1598番地11
物件種別 売土地・分譲地
物件区分 売土地
構造 - 階建 -
建ぺい率/容積率 60%/200%
建物面積 -
土地面積 265.54㎡ /80.32坪
築年月 -
入居(引き渡し)時期 随時入居(引き渡し)可
用途地域 第1種住居地域 地目 宅地  (現状:宅地)
都市計画 - 学校区 東小千谷小学校(532m)・東小千谷中学校(652m)
形状 間口 20m × 奥行 11m 道路 東側 私道 幅員約2.5m
私道 前面道路私道 その他の制限 建物再建築の場合は43条但し書き許可が必要です。
  • 小千谷市大字薭生(元中子)売土地
    株式会社 長岡総合開発
  • この物件を問い合わせる/無料
  • TEL: 0258-46-8777 0258-46-8777

物件詳細情報

所在階/階数 - 号室 -
販売価格 2,500,000円 方位 -
間取り -
専有面積 - バルコニー面積 -
その他面積 - 駐車場 -
管理費 - 修繕積立金 -
現況 -
仲介手数料 330,000円
利用制限 -
設備 整形地、更地、学校近く、スーパー近く、建築条件なし、所有権、即引き渡し可、側溝、都市ガス(前面道路)、電気、都市ガス(宅地内)、上水道(宅地内)、下水道(宅地内)、前面道路融雪設備あり、住宅向け
取引態様 専任
備考 宅地面積:237.05㎡(71.70坪)
建物再建築の場合は43条但し書き許可が必要です。
取り扱い会社

株式会社 長岡総合開発

新潟県長岡市南七日町89-21

情報登録日 2025/07/07 次回更新予定日 2026/06/13
取引条件有効期限 2023/02/18
  • 小千谷市大字薭生(元中子)売土地
    株式会社 長岡総合開発
  • この物件を問い合わせる/無料
  • TEL: 0258-46-8777 0258-46-8777

この物件の地図・周辺情報・行政情報

この物件の周辺情報・行政情報を詳しく見る
【周辺情報】
物件の近くにあるコンビニや銀行・学校など、アイコン付のマップで詳しく表示できます!
【行政情報】
水道料や下水道料・ガス料金など、暮らしに関係のある情報を表示しています。
ローソン 小千谷駅前店(コンビニ)まで621m
たかのスーパー(スーパー)まで783m
谷口医院(病院)まで171m
かつみ医院(病院)まで509m
結城医院(病院)まで527m
安藤眼科(病院)まで625m
公益財団法人小千谷総合病院(病院)まで686m
(株)第四銀行 東小千谷支店(銀行)まで376m
JA越後おぢや東小千谷支店(銀行)まで389m
東小千谷郵便局(郵便局)まで457m

※カメラのアイコンがある場合は、マウスをポイントするとその施設の画像がご覧いただけます。


担当取扱い店舗情報

取扱い店舗画像
株式会社 長岡総合開発
TEL: 0258-46-8777
所在地: 新潟県長岡市南七日町89-21
交通: バス停「南七日町」徒歩3分
営業時間: 9:00~18:00/定休日:日曜・祭日
免許番号: 新潟県知事(10)2876号
所属団体名: 新潟県宅地建物取引業協会 長岡支部
取引態様: 専任
ホームページ: http://www.nagaoka-sk.co.jp