物件掲載企業数:301|賃貸物件:3,182件|売買物件:3,223件|今週の登録物件:112
閲覧中のブラウザ(インターネットエクスプローラー)は非推奨ブラウザです。
物件が正しく表示されなかったり、正しく検索されない場合があります。最新のブラウザ(Google Chrome・Edgeなど)にてご利用お願いいたします。
  

新潟県柏崎市春日2丁目8番2号 売土地・分譲地 500,000円の物件情報

スーパー徒歩約7分

物件名/所在地 詳細 価格
柏崎市 春日2丁目 土地
新潟県柏崎市春日2丁目8番2号
  • 土地面積
    :195㎡ /58.98坪
  • 坪単価
    :8,477円/坪
  • 建ぺい率
    :60%
  • 容積率
    :200%
500,000
  • 柏崎市 春日2丁目 土地
    株式会社裕建
  • この物件を問い合わせる/無料
  • TEL: 0257-30-8925

物件画像

外観 間取り
物件画像
※画像クリックで拡大表示
外観
物件画像
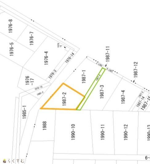
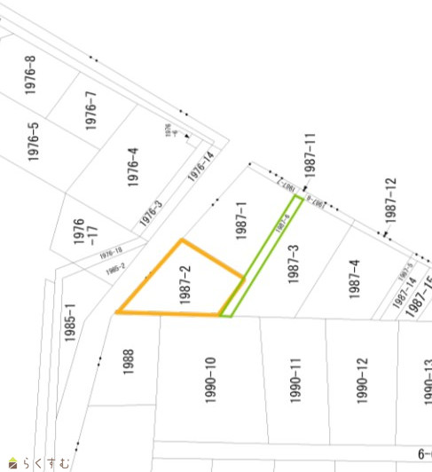
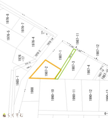
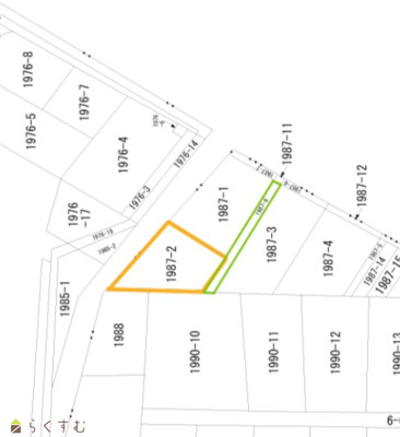
※画像クリックで拡大表示
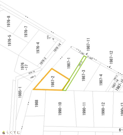
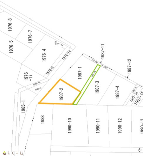
区画図
詳細画像


物件概要

医院、郵便局が近くにあります。
物件コード 00350-200055
物件名 柏崎市 春日2丁目 土地
交通 駅:越後線 東柏崎駅から徒歩20分、バス:春日2丁目から徒歩3分
物件所在地 新潟県柏崎市春日2丁目8番2号
物件種別 売土地・分譲地
物件区分 売土地
構造 - 階建 -
建ぺい率/容積率 60%/200%
建物面積 -
土地面積 195㎡ /58.98坪
築年月 -
入居(引き渡し)時期 相談
用途地域 第1種低層住居専用地域 地目 山林  (現状:宅地)
都市計画 非線引き都市計画区域 学校区 槇原小学校(900m)・瑞穂中学校(900m)
形状 間口 9.5m 道路 前面土地(南側)を道路として申請が必要です。
私道 - その他の制限 道路斜線制限・隣地斜線制限・日影規制
  • 柏崎市 春日2丁目 土地
    株式会社裕建
  • この物件を問い合わせる/無料
  • TEL: 0257-30-8925

物件詳細情報

所在階/階数 - 号室 -
販売価格 500,000円 方位 -
間取り -
専有面積 - バルコニー面積 -
その他面積 - 駐車場 -
管理費 - 修繕積立金 -
現況 更地
仲介手数料 330,000円
利用制限 -
設備 スーパー近く、所有権、都市ガス(前面道路)、上水道(前面道路)、下水道(前面道路)、電気、都市ガス(宅地内)、上水道(宅地内)、下水道(宅地内)、住宅向け、田舎暮らし
取引態様 一般
備考 -
取り扱い会社

株式会社裕建

新潟県柏崎市北斗町4番46号

情報登録日 2025/06/27 次回更新予定日 2026/05/22
取引条件有効期限 2025/12/31
  • 柏崎市 春日2丁目 土地
    株式会社裕建
  • この物件を問い合わせる/無料
  • TEL: 0257-30-8925

この物件の地図・周辺情報・行政情報

この物件の周辺情報・行政情報を詳しく見る
【周辺情報】
物件の近くにあるコンビニや銀行・学校など、アイコン付のマップで詳しく表示できます!
【行政情報】
水道料や下水道料・ガス料金など、暮らしに関係のある情報を表示しています。
ローソン 柏崎藤元町店(コンビニ)まで830m
ALPHAS薬局 春日店(ドラッグストア)まで630m
稲田医院(病院)まで590m
セブン銀行ATM(銀行)まで470m
柏崎春日郵便局(郵便局)まで220m

※カメラのアイコンがある場合は、マウスをポイントするとその施設の画像がご覧いただけます。


担当取扱い店舗情報

取扱い店舗画像
株式会社裕建
TEL: 0257-30-8925
所在地: 新潟県柏崎市北斗町4番46号
交通: 東柏崎駅 徒歩15分
営業時間: 9:00~18:00/定休日:日曜日
免許番号: 新潟県知事(1)第5755号 この会社の情報を詳しく見る
所属団体名: 公社 新潟県宅地建物取引協会 柏崎支部
取引態様: 一般
ホームページ: https://kashi-yuken.com/