物件掲載企業数:299|賃貸物件:3,608件|売買物件:3,315件|今週の登録物件:304
閲覧中のブラウザ(インターネットエクスプローラー)は非推奨ブラウザです。
物件が正しく表示されなかったり、正しく検索されない場合があります。最新のブラウザ(Google Chrome・Edgeなど)にてご利用お願いいたします。
  

新潟県柏崎市田中5番9号 投資物件・その他 20,000,000円の物件情報

※新規価格公表 令和7年2月5日 2200万円→2000万円

物件名/所在地 詳細 価格
表面利回り
田中 店舗・倉庫
新潟県柏崎市田中5番9号
  • 土地面積
    :519.36㎡ /157.1坪
  • 建ぺい率
    :70%
  • 容積率
    :200%
20,000,000
-
  • 田中 店舗・倉庫
    株式会社裕建
  • この物件を問い合わせる/無料
  • TEL: 0257-30-8925

物件画像

外観 間取り
物件画像
※画像クリックで拡大表示
外観①
物件画像
※画像クリックで拡大表示
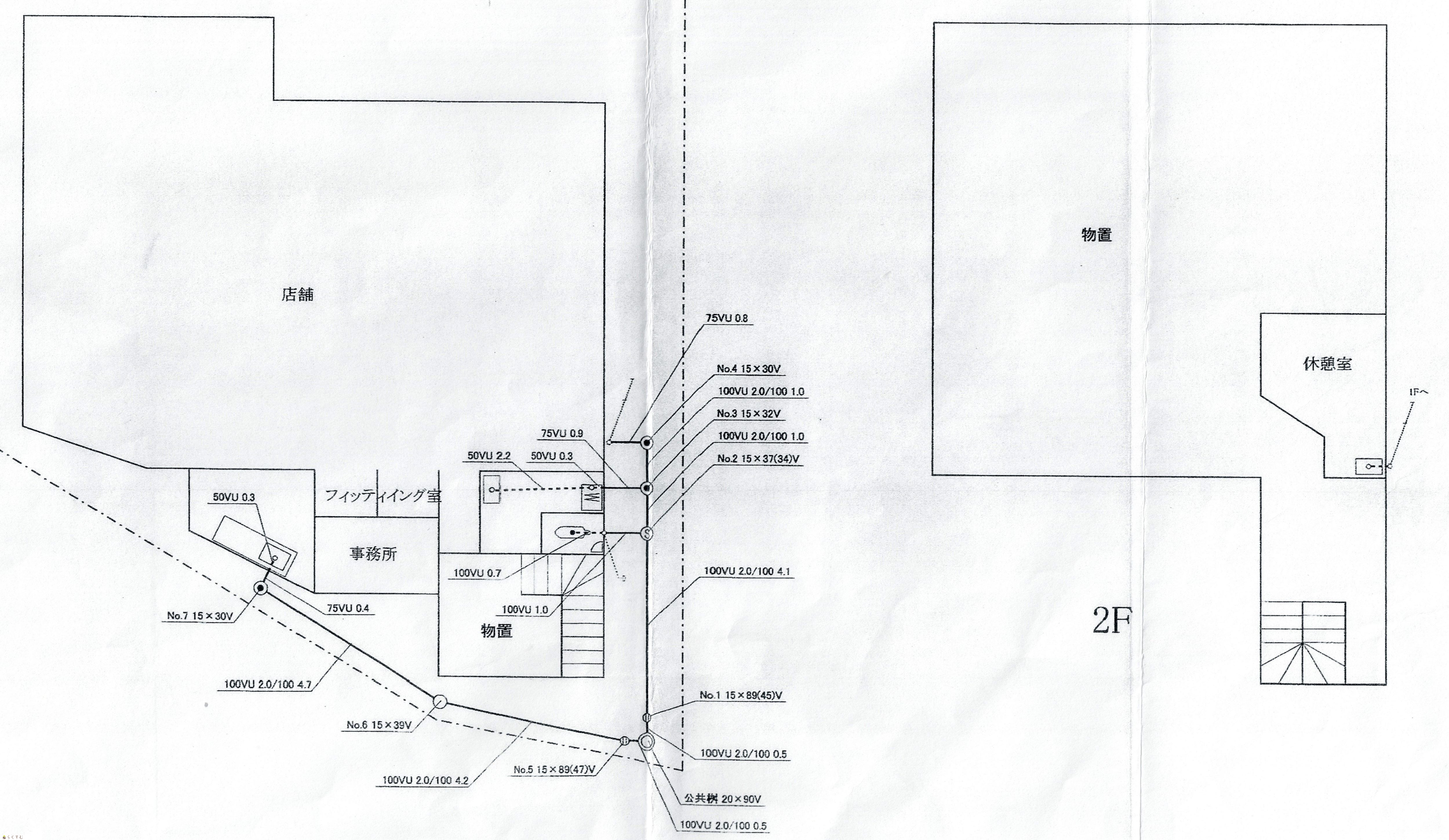
間取図
詳細画像


物件概要

店舗・倉庫などに♪柏崎インターチェンジ車で約5分
物件コード 00350-200036
物件名 田中 店舗・倉庫
交通 駅:信越線 柏崎駅から徒歩10分、バス:田中集会所入口から徒歩2分
物件所在地 新潟県柏崎市田中5番9号
物件種別 投資物件・その他
物件区分 その他
構造 鉄骨 階建 地上2階建
建ぺい率/容積率 70%/200%
建物面積 1階 174.86㎡/ 2階 97.79㎡/ 計 272.65㎡ /82.47坪
土地面積 519.36㎡ /157.1坪
築年月 1976年5月(築49年)
入居(引き渡し)時期 相談
用途地域 無指定 地目 宅地  (現状:宅地)
都市計画 - 学校区 枇杷島小学校(850m)・鏡が沖中学校(650m)
形状 間口 21m × 奥行 23m 道路 公道
私道 - その他の制限 道路斜線制限・隣地斜線制限
  • 田中 店舗・倉庫
    株式会社裕建
  • この物件を問い合わせる/無料
  • TEL: 0257-30-8925

物件詳細情報

所在階/階数 - 号室 -
販売価格 20,000,000円 方位 -
表面利回り(満室想定時) - 満室想定年収 - (想定月収: - )
現行利回り - 現行年間年収 -
住戸数 -
間取り 5K
専有面積 - バルコニー面積 -
その他面積 - 駐車場 -
管理費 - 修繕積立金 -
現況 空家
仲介手数料 726,000円
利用制限 -
設備 駐車場(近隣含む)、公営水道、都市ガス、下水道、事業向け
取引態様 一般
備考 給湯器がありません。
アスベストが入っている可能性がある建物です。
エアコンその他付帯設備の使用状況は不明です。
土地は2筆です。
洪水ハザードマップ該当区です。
取り扱い会社

株式会社裕建

新潟県柏崎市北斗町4番46号

情報登録日 2025/03/29 次回更新予定日 2025/10/23
取引条件有効期限 2024/12/31
  • 田中 店舗・倉庫
    株式会社裕建
  • この物件を問い合わせる/無料
  • TEL: 0257-30-8925

この物件の地図・周辺情報・行政情報

この物件の周辺情報・行政情報を詳しく見る
【周辺情報】
物件の近くにあるコンビニや銀行・学校など、アイコン付のマップで詳しく表示できます!
【行政情報】
水道料や下水道料・ガス料金など、暮らしに関係のある情報を表示しています。

担当取扱い店舗情報

取扱い店舗画像
株式会社裕建
TEL: 0257-30-8925
所在地: 新潟県柏崎市北斗町4番46号
交通: 東柏崎駅 徒歩15分
営業時間: 9:00~18:00/定休日:日曜日
免許番号: 新潟県知事(1)第5755号 この会社の情報を詳しく見る
所属団体名: 公社 新潟県宅地建物取引協会 柏崎支部
取引態様: 一般
ホームページ: https://kashi-yuken.com/