物件掲載企業数:299|賃貸物件:2,873件|売買物件:3,234件|今週の登録物件:397
閲覧中のブラウザ(インターネットエクスプローラー)は非推奨ブラウザです。
物件が正しく表示されなかったり、正しく検索されない場合があります。最新のブラウザ(Google Chrome・Edgeなど)にてご利用お願いいたします。
  

新潟県長岡市雲出町1492 中古一戸建て 6DK 3,400,000円の物件情報

DIY好き・畑好き・アウトドア好きの方に向いてます。価格相談可。

物件名/所在地 詳細 価格
長岡市雲出古民家
新潟県長岡市雲出町1492
  • 土地面積
    :390.34㎡ /118.07坪
  • 建物面積
    :140㎡ /42.35坪
  • 間取り
    :6DK
  • 築年月
    :不詳
3,400,000
  • 長岡市雲出古民家
    アイワ不動産
  • この物件を問い合わせる/無料
  • TEL: 0258-31-4123

物件画像

外観 間取り
物件画像
※画像クリックで拡大表示
住宅家屋
物件画像
※画像クリックで拡大表示
間取り
詳細画像


物件概要

日当たり良好
物件コード 00199-200020
物件名 長岡市雲出古民家
交通 駅:信越線 来迎寺駅から徒歩116分、バス:雲出から徒歩2分
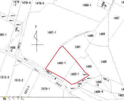
物件所在地 新潟県長岡市雲出町1492
物件種別 中古一戸建て
構造 木造 階建 地上2階建
建ぺい率/容積率 70%/200%
建物面積 1階 90㎡/ 2階 50㎡/ 計 140㎡ /42.35坪
土地面積 390.34㎡ /118.07坪
築年月 不詳
入居(引き渡し)時期 随時入居(引き渡し)可
用途地域 無指定 地目 宅地
都市計画 市街化調整区域 学校区 関原小学校(1,172m)・関原中学校(1,591m)
形状 間口 24m × 奥行 21m 道路 市道 幅員6.4メートル
私道 - その他の制限 -
  • 長岡市雲出古民家
    アイワ不動産
  • この物件を問い合わせる/無料
  • TEL: 0258-31-4123

物件詳細情報

所在階/階数 - 号室 -
販売価格 3,400,000円 方位 南東
間取り 6DK
専有面積 - バルコニー面積 -
その他面積 - 駐車場 -
管理費 - 修繕積立金 -
現況 空家
仲介手数料 154,000円
利用制限 -
設備 角地、高台に立地、日当り良好、閑静な住宅街、駐車3台以上可能、ガスコンロ設置可能、追いだき機能付き、温水洗浄便座、都市ガス、上水道、下水道、即引き渡し可能、別荘、田舎暮らし、事業向け
取引態様 専属専任
備考 上物解体更地渡し可能。
取り扱い会社

アイワ不動産

新潟県長岡市金房3-4-15

情報登録日 2026/01/05 次回更新予定日 2026/04/03
取引条件有効期限 2026/06/30
  • 長岡市雲出古民家
    アイワ不動産
  • この物件を問い合わせる/無料
  • TEL: 0258-31-4123

この物件の地図・周辺情報・行政情報

この物件の周辺情報・行政情報を詳しく見る
【周辺情報】
物件の近くにあるコンビニや銀行・学校など、アイコン付のマップで詳しく表示できます!
【行政情報】
水道料や下水道料・ガス料金など、暮らしに関係のある情報を表示しています。

担当取扱い店舗情報

取扱い店舗画像
アイワ不動産
TEL: 0258-31-4123
所在地: 新潟県長岡市金房3-4-15
交通: 長岡駅
営業時間: 不定/定休日:不定休
免許番号: 新潟県知事(4)第4369号 この会社の情報を詳しく見る
所属団体名: 公社全日本不動産協会 新潟県本部
取引態様: 専属専任
ホームページ: https://www.zennichi.net/m/aiwa_fudo_san/#pg_top