物件掲載企業数:301|賃貸物件:3,182件|売買物件:3,223件|今週の登録物件:132
閲覧中のブラウザ(インターネットエクスプローラー)は非推奨ブラウザです。
物件が正しく表示されなかったり、正しく検索されない場合があります。最新のブラウザ(Google Chrome・Edgeなど)にてご利用お願いいたします。
  

新潟県見附市本町二丁目115-51 売土地・分譲地 5,000,000円の物件情報

生活利便性の良い立地

物件名/所在地 詳細 価格
新潟県見附市本町二丁目売地A
新潟県見附市本町二丁目115-51
  • 土地面積
    :182.78㎡ /55.29坪
  • 坪単価
    :90,432円/坪
  • 建ぺい率
    :60%
  • 容積率
    :160%
5,000,000
  • 新潟県見附市本町二丁目売地A
    橋本建設 株式会社
  • この物件を問い合わせる/無料
  • TEL: 0258-63-1112

物件画像

外観 間取り
物件画像
※画像クリックで拡大表示
住宅街です
物件画像
※画像クリックで拡大表示
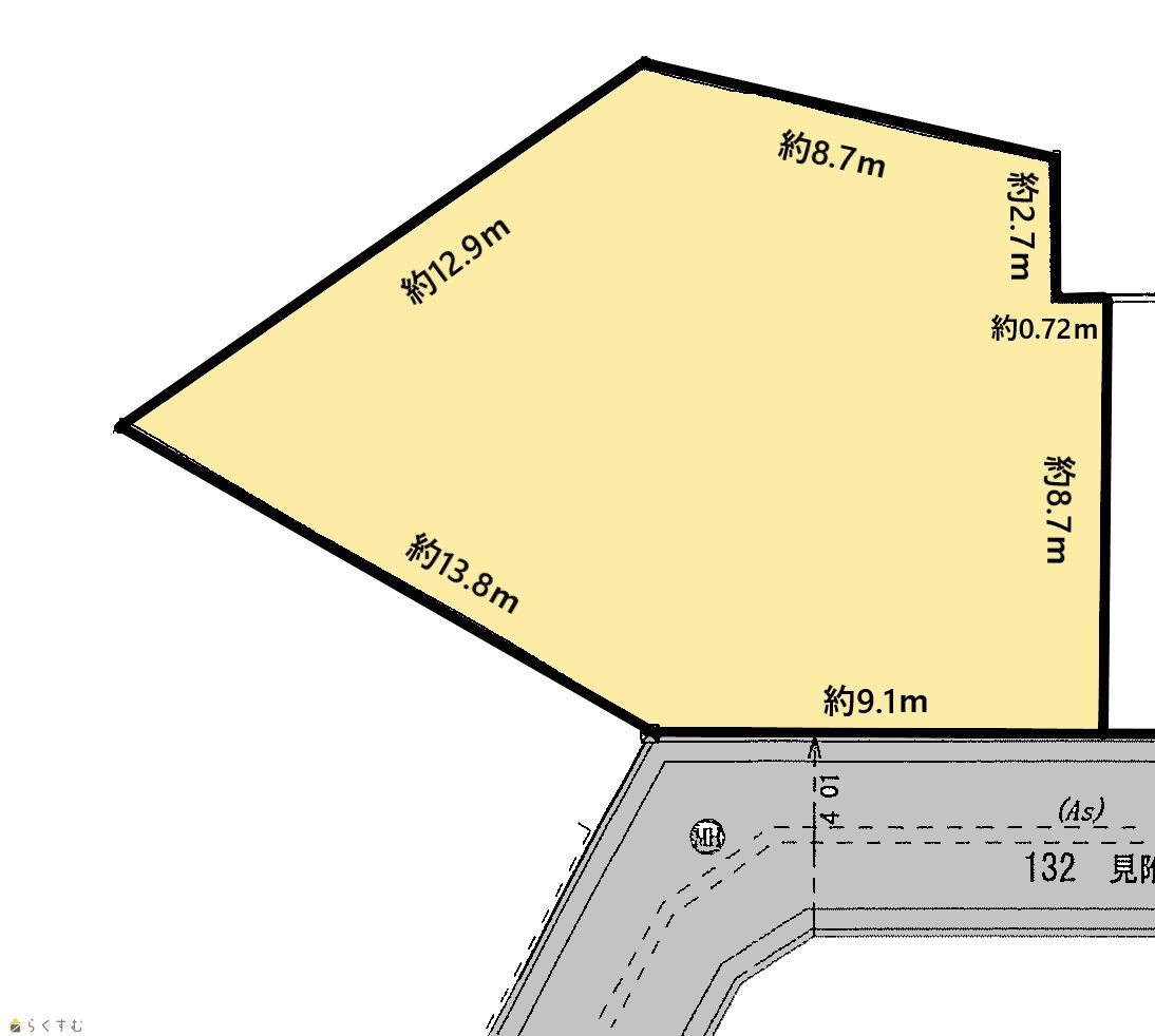
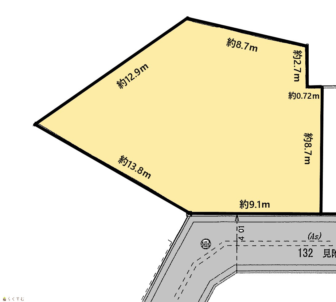
区画図
詳細画像


物件概要

商業施設近く、生活環境が充実。閑静な住宅街。
物件コード 00070-200074
物件名 新潟県見附市本町二丁目売地A
交通 駅:信越線 見附駅から徒歩33分、バス:南本町から徒歩2分
物件所在地 新潟県見附市本町二丁目115-51
物件種別 売土地・分譲地
物件区分 売土地
構造 - 階建 -
建ぺい率/容積率 60%/160%
建物面積 -
土地面積 182.78㎡ /55.29坪
築年月 -
入居(引き渡し)時期 相談
用途地域 第1種住居地域 地目 宅地  (現状:宅地)
都市計画 市街化区域 学校区 名木野小学校(921m)・南中学校(1,381m)
形状 - 道路 見附市道本町2の12号線
私道 - その他の制限 準防火地域
  • 新潟県見附市本町二丁目売地A
    橋本建設 株式会社
  • この物件を問い合わせる/無料
  • TEL: 0258-63-1112

物件詳細情報

所在階/階数 - 号室 -
販売価格 5,000,000円 方位 -
間取り -
専有面積 - バルコニー面積 -
その他面積 - 駐車場 -
管理費 - 修繕積立金 -
現況 -
仲介手数料 231,000円
利用制限 -
設備 更地、スーパー近く、最寄り駅近く、閑静な住宅街、建築条件なし、所有権、側溝、上水道(前面道路)、下水道(前面道路)、前面道路融雪設備あり、住宅向け
取引態様 一般
備考 閑静な住宅街です。建築条件無です。前面道路より上下水道引込可です。分筆後のお引渡しとなります。面積に若干の誤差が生じる場合があります。
取り扱い会社

橋本建設 株式会社

新潟県見附市市野坪町31-3

情報登録日 2025/08/09 次回更新予定日 2026/05/21
取引条件有効期限 2027/12/24
  • 新潟県見附市本町二丁目売地A
    橋本建設 株式会社
  • この物件を問い合わせる/無料
  • TEL: 0258-63-1112

この物件の地図・周辺情報・行政情報

この物件の周辺情報・行政情報を詳しく見る
【周辺情報】
物件の近くにあるコンビニや銀行・学校など、アイコン付のマップで詳しく表示できます!
【行政情報】
水道料や下水道料・ガス料金など、暮らしに関係のある情報を表示しています。
セブン-イレブン 見附新町3丁目店(コンビニ)まで480m
原信 見附店(スーパー)まで320m
みつけ子どもクリニックまで450m
見附たなはしクリニックまで450m
見附メンタルクリニックまで450m
ドラッグトップスまで300m
ダイソーまで350m
名木野小学校まで1.1㎞
見附南中学校まで1.4㎞
第四北越銀行 見附支店(銀行)まで350m
見附南本町郵便局(郵便局)まで480m

※カメラのアイコンがある場合は、マウスをポイントするとその施設の画像がご覧いただけます。


担当取扱い店舗情報

取扱い店舗画像
橋本建設 株式会社
TEL: 0258-63-1112
所在地: 新潟県見附市市野坪町31-3
交通: 見附駅
営業時間: 9:00~17:00/定休日:水・木曜日
免許番号: 新潟県知事(9)第3180号 この会社の情報を詳しく見る
所属団体名: 公益社団法人 新潟県宅地建物取引業協会 三条支部
取引態様: 一般
ホームページ: http://hashikenhome.com/