物件掲載企業数:301|賃貸物件:3,207件|売買物件:3,224件|今週の登録物件:169
閲覧中のブラウザ(インターネットエクスプローラー)は非推奨ブラウザです。
物件が正しく表示されなかったり、正しく検索されない場合があります。最新のブラウザ(Google Chrome・Edgeなど)にてご利用お願いいたします。
  

長岡市東栄3-3-16 売土地・分譲地 10,000,000円の物件情報

物件名/所在地 詳細 価格
東栄2丁目土地
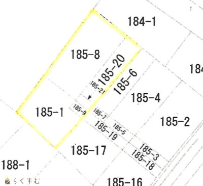
長岡市東栄3-3-16
  • 土地面積
    :288㎡ /87.12坪
  • 坪単価
    :114,784円/坪
  • 建ぺい率
    :60%
  • 容積率
    :200%
10,000,000
  • 東栄2丁目土地
    髙頭不動産 株式会社
  • この物件を問い合わせる/無料
  • TEL: 0120-1818-27

物件画像

外観 間取り
物件画像
※画像クリックで拡大表示
外観
物件画像
※画像クリックで拡大表示
間取り
詳細画像


物件概要

物件コード 00040-201171
物件名 東栄2丁目土地
交通 駅:信越線 長岡駅から徒歩21分
物件所在地 長岡市東栄3-3-16
物件種別 売土地・分譲地
物件区分 売土地
構造 - 階建 -
建ぺい率/容積率 60%/200%
建物面積 -
土地面積 288㎡ /87.12坪
築年月 -
入居(引き渡し)時期 建物解体・土地測量調査完了後
用途地域 第1種住居地域 地目 宅地
都市計画 市街化区域 学校区 川崎東小学校(603m)・東北中学校(881m)
形状 間口 4m × 奥行 10m 道路 -
私道 私道 その他の制限 -
  • 東栄2丁目土地
    髙頭不動産 株式会社
  • この物件を問い合わせる/無料
  • TEL: 0120-1818-27

物件詳細情報

所在階/階数 - 号室 -
販売価格 10,000,000円 方位 -
間取り -
専有面積 - バルコニー面積 -
その他面積 - 駐車場 -
管理費 - 修繕積立金 -
現況 指定なし
仲介手数料 396,000円
利用制限 -
設備 閑静な住宅街、建築条件なし、所有権、都市ガス(前面道路)、電気、上水道(宅地内)、下水道(宅地内)、住宅向け
取引態様 専任
備考 ・建物解体更地渡し
・消雪組合あり
・敷地内に電柱あり
・告知事項あり
取り扱い会社

髙頭不動産 株式会社

新潟県長岡市千歳1-3-25

情報登録日 2025/12/11 次回更新予定日 2026/05/22
取引条件有効期限 2026/02/03
  • 東栄2丁目土地
    髙頭不動産 株式会社
  • この物件を問い合わせる/無料
  • TEL: 0120-1818-27

この物件の地図・周辺情報・行政情報

この物件の周辺情報・行政情報を詳しく見る
【周辺情報】
物件の近くにあるコンビニや銀行・学校など、アイコン付のマップで詳しく表示できます!
【行政情報】
水道料や下水道料・ガス料金など、暮らしに関係のある情報を表示しています。

担当取扱い店舗情報

取扱い店舗画像
髙頭不動産 株式会社
TEL: 0120-1818-27
所在地: 新潟県長岡市千歳1-3-25
交通: 長岡駅
営業時間: 8時30分~17時30分(大手支店は9時~18時)/定休日:本社:土日祝日(事前予約での対応可能)、支店:日曜祝日第5土曜(毎年2月下旬から3月は休みなし)
免許番号: 新潟県知事(17)第191号 この会社の情報を詳しく見る
所属団体名: 新潟県宅地建物取引協会 長岡支部
取引態様: 専任
ホームページ: http://www.takato-f.com