物件掲載企業数:301|賃貸物件:3,182件|売買物件:3,223件|今週の登録物件:112
閲覧中のブラウザ(インターネットエクスプローラー)は非推奨ブラウザです。
物件が正しく表示されなかったり、正しく検索されない場合があります。最新のブラウザ(Google Chrome・Edgeなど)にてご利用お願いいたします。
  

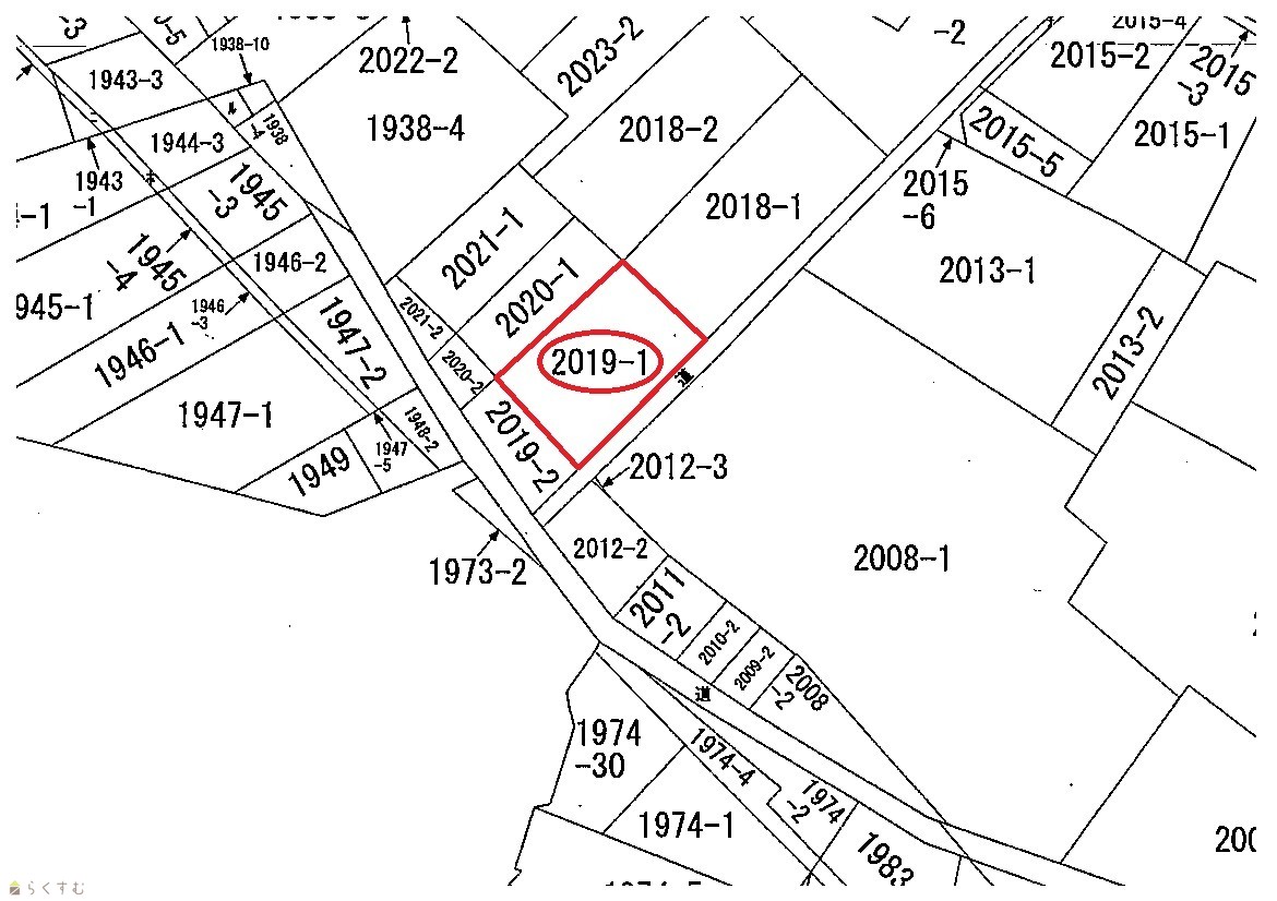
新潟県長岡市摂田屋3丁目2019-1 売土地・分譲地 6,800,000円の物件情報

(コンビニ)セブンイレブン520m徒歩約7分(スーパー)原信1500m徒歩約19分

物件名/所在地 詳細 価格
摂田屋3丁目 売土地 38坪
新潟県長岡市摂田屋3丁目2019-1
  • 土地面積
    :128.92㎡ /38.99坪
  • 坪単価
    :174,403円/坪
  • 建ぺい率
    :60%
  • 容積率
    :200%
6,800,000
  • 摂田屋3丁目 売土地 38坪
    株式会社 金井不動産
  • この物件を問い合わせる/無料
  • TEL: 0120-35-3901

物件画像

外観 間取り
物件画像
※画像クリックで拡大表示
物件画像
※画像クリックで拡大表示
詳細画像


物件概要

物件コード 00014-200327
物件名 摂田屋3丁目 売土地 38坪
交通 駅:上越線 宮内駅から徒歩15分、バス:摂田屋から徒歩1分
物件所在地 新潟県長岡市摂田屋3丁目2019-1
物件種別 売土地・分譲地
物件区分 売土地
構造 - 階建 -
建ぺい率/容積率 60%/200%
建物面積 -
土地面積 128.92㎡ /38.99坪
築年月 -
入居(引き渡し)時期 指定なし
用途地域 第1種住居地域 地目 宅地  (現状:上物有)
都市計画 市街化区域 学校区 上組小学校・宮内中学校
形状 - 道路 南西側:市道幅員6.7m
私道 - その他の制限 第三種高度地区
  • 摂田屋3丁目 売土地 38坪
    株式会社 金井不動産
  • この物件を問い合わせる/無料
  • TEL: 0120-35-3901

物件詳細情報

所在階/階数 - 号室 -
販売価格 6,800,000円 方位 -
間取り -
専有面積 - バルコニー面積 -
その他面積 - 駐車場 -
管理費 - 修繕積立金 -
現況 賃貸中
仲介手数料 290,400円
利用制限 -
設備 前道6m以上、南側道路面す、閑静な住宅街、建築条件なし、所有権、側溝、都市ガス(前面道路)、電気、上水道(宅地内)、下水道(宅地内)、前面道路融雪設備あり
取引態様 一般
備考 既存建物解体応談致します。
(コンビニ)セブンイレブン520m徒歩約7分
(スーパー)原信1500m徒歩約19分
取り扱い会社

株式会社 金井不動産

新潟県長岡市要町3-1-26

情報登録日 2022/10/01 次回更新予定日 2026/05/22
取引条件有効期限 -
  • 摂田屋3丁目 売土地 38坪
    株式会社 金井不動産
  • この物件を問い合わせる/無料
  • TEL: 0120-35-3901

この物件の地図・周辺情報・行政情報

この物件の周辺情報・行政情報を詳しく見る
【周辺情報】
物件の近くにあるコンビニや銀行・学校など、アイコン付のマップで詳しく表示できます!
【行政情報】
水道料や下水道料・ガス料金など、暮らしに関係のある情報を表示しています。

担当取扱い店舗情報

取扱い店舗画像
株式会社 金井不動産
TEL: 0120-35-3901
所在地: 新潟県長岡市要町3-1-26
交通: 長岡駅大手口①バス乗場より乗車~溝橋下車徒歩約4分
営業時間: 9:30~18:00/定休日:日曜・祝祭日
免許番号: 新潟県知事(16)第495号 この会社の情報を詳しく見る
所属団体名: 新潟県宅地建物取引業協会 長岡支部
取引態様: 一般
ホームページ: http://www.3901.com