1
物件掲載企業数:
299
社
|賃貸物件:
2,873
件|売買物件:
3,234
件|今週の登録物件:
341
件
閲覧中のブラウザ(インターネットエクスプローラー)は非推奨ブラウザです。
物件が正しく表示されなかったり、正しく検索されない場合があります。最新のブラウザ(Google Chrome・Edgeなど)にてご利用お願いいたします。
Google Chrome
Microsoft Edge
アパート・マンション・一戸建て
駐車場
貸土地
店舗
事務所
倉庫・工場
新築分譲マンション
中古マンション
新築一戸建て
中古一戸建て
売土地・分譲地
その他(投資物件など)
マンション
一戸建て
土地
ホーム
>
検索方法選択
>
エリア選択
> 物件一覧
全エリア
の
売土地・分譲地
一覧
2021件
該当しました。
<前のページ
73
74
75
76
77
78
79
80
81
82
83
次のページ>
表示切替:
一覧表示
/
地図表示
並び替え:
指定なし
新着順
価格が安い順
価格が高い順
画像
物件名/所在地/取扱店
詳細
三中迄徒歩約4分!水道・ガス引込有!分譲地
◆分譲地◆三条市西裏館二丁目
新潟県三条市西裏館2丁目403番1他
株式会社 ユタカ不動産
[価格]
8,610,000
~
8,890,000
円
[土地面積]
186.65 ~ 194.64㎡
56.46 ~ 58.87坪
[坪単価]
~ 155,005円/坪
豊かな自然に囲まれた土地
与板町兜巾堂 売土地 (管理番号Y19)
新潟県長岡市与板町与板乙5948-6
株式会社 エヌ・アール・ケー総合企画
価格
:
8,653,600
円
土地面積
:1,430.35㎡ /432.68坪
坪単価
:20,000円/坪
建ぺい率
:60%
容積率
:200%
◆小学校まで徒歩3分
上越市藤巻 売地
新潟県上越市藤巻
杉山建設株式会社
価格
:
8,700,000
円
土地面積
:231.44㎡ /70.01坪
坪単価
:124,267円/坪
建ぺい率
:60%
容積率
:200%
☆柏崎ICに近く通勤にも便利です。☆小中学校に近くお子様の通学も安心です。
柏崎市大字上田尻売地
新潟県柏崎市上田尻3549-1外3筆
株式会社 宮本村
価格
:
8,700,000
円
土地面積
:647㎡ /195.71坪
坪単価
:44,453円/坪
建ぺい率
:70%
容積率
:200%
◆人気の直江津エリア ◆間口16m・奥行16mの整形地 ◆前面道路6.6m ◆敷地内ライフライン引込み済
上越市石橋2丁目売地
新潟県上越市石橋2丁目
杉山建設株式会社
価格
:
8,700,000
円
土地面積
:260.55㎡ /78.81坪
坪単価
:110,392円/坪
建ぺい率
:60%
容積率
:200%
☆角地☆日当たり良好な立地です♪
上小船津浜売地
新潟県上越市大潟区上小船津浜
株式会社 お不動さん
価格
:
8,700,000
円
土地面積
:520㎡ /157.3坪
坪単価
:55,308円/坪
建ぺい率
:55%
容積率
:151%
【見附駅まで徒歩3分!70坪のゆとりある土地】 ■前面道路6m、消雪パイプ完備 ■建物解体更地渡し ■建築条件無し ■建物ありの売家650万円でも販売中!
見附市本所2丁目 売地
新潟県見附市本所2丁目7-23
新潟土地建物販売センター 株式会社
価格
:
8,750,000
円
土地面積
:231.43㎡ /70坪
坪単価
:125,000円/坪
建ぺい率
:60%
容積率
:200%
■お買い物エリアや市役所に近く利便性のよい立地の、約70坪のゆとりある整形地 ■前面道路融雪有り 【建築条件付】
葛巻1丁目 売土地
新潟県見附市葛巻1丁目778-16
小出建設 株式会社
価格
:
8,750,000
円
土地面積
:231.55㎡ /70.04坪
坪単価
:124,928円/坪
建ぺい率
:60%
容積率
:200%
前面道路幅員12.7m!!国道8号線至近!!
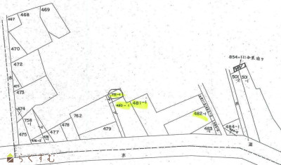
◆売地◆三条市大島
新潟県三条市大島481番1
株式会社 ユタカ不動産
価格
:
8,760,000
円
土地面積
:724㎡ /219.01坪
坪単価
:39,998円/坪
建ぺい率
:70%
容積率
:200%
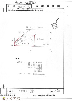
豊詰町 売土地 55坪 C区画
新潟県長岡市豊詰町258-1 及び他1筆の一部
株式会社 金井不動産
価格
:
8,800,000
円
土地面積
:184.5㎡ /55.81坪
坪単価
:157,677円/坪
建ぺい率
:50%
容積率
:100%
長岡駅まで徒歩約13分・前面道路融雪有(負担金有)
金房1丁目 売土地 49坪
新潟県長岡市金房1丁目2438番2
株式会社 金井不動産
価格
:
8,800,000
円
土地面積
:165㎡ /49.91坪
坪単価
:176,317円/坪
建ぺい率
:60%
容積率
:200%
豊詰町 売土地 55坪 A区画
新潟県長岡市豊詰町258-1 及び他1筆の一部
株式会社 金井不動産
価格
:
8,800,000
円
土地面積
:184.5㎡ /55.81坪
坪単価
:157,677円/坪
建ぺい率
:50%
容積率
:100%
前面道路融雪有(負担金有)・コンビニまで徒歩約7分・スーパーまで徒歩約7分
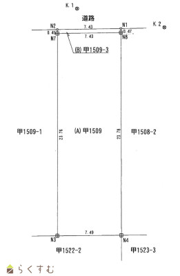
宮内4丁目 売土地 61坪
新潟県長岡市宮内4丁目138番7
株式会社 金井不動産
価格
:
8,800,000
円
土地面積
:204.17㎡ /61.76坪
坪単価
:142,487円/坪
建ぺい率
:80%
容積率
:200%
広い土地をお探しの方土地は広々214坪!自宅で家庭菜園をしながらスローライフ二世帯住宅、アパート、事業用地としてもおすすめの物件です。
燕市道金 売土地
新潟県燕市道金716-1
有限会社 一代工務店
価格
:
8,800,000
円
土地面積
:708.24㎡ /214.24坪
坪単価
:41,075円/坪
建ぺい率
:70%
容積率
:200%
長岡駅まで徒歩約14分の距離にあります。
柏町2丁目
新潟県長岡市柏町2ー7-8
株式会社 高野不動産販売
価格
:
8,800,000
円
土地面積
:146.21㎡ /44.22坪
坪単価
:199,004円/坪
建ぺい率
:80%
容積率
:400%
荒浜小学校区 前面道路8.8mの125坪
松波2丁目 売地
新潟県柏崎市松波2丁目2707
株式会社 ライフプラン
価格
:
8,800,000
円
土地面積
:416.26㎡ /125.91坪
坪単価
:69,891円/坪
建ぺい率
:60%
容積率
:200%
最寄り駅(見附駅)から徒歩圏内、バス停にも近いです!コンビニも近いです♪
見附市本所
見附市本所1丁目10-51
髙頭不動産 株式会社
価格
:
8,800,000
円
土地面積
:396.67㎡ /119.99坪
坪単価
:73,339円/坪
建ぺい率
:60%
容積率
:200%
人気の大島学区♪消雪道路です♪
大島新町4丁目売土地
新潟県長岡市大島新町4丁目甲923番10
株式会社 長岡総合開発
価格
:
8,800,000
円
土地面積
:174.31㎡ /52.72坪
坪単価
:166,919円/坪
建ぺい率
:60%
容積率
:200%
建物解体更地渡し/フェニックス大橋へ交通アクセスが良い好立地♪
【売り土地】長岡市水梨町売り土地
新潟県長岡市水梨町字谷内1201番1
有限会社 ABCホーム
価格
:
8,800,000
円
土地面積
:307.04㎡ /92.87坪
坪単価
:94,756円/坪
建ぺい率
:50%
容積率
:80%
110.01坪、建築条件付き、ピアレマート・ニトリまで車で3分
柏崎市土合売土地C区画
新潟県柏崎市土合640-1
株式会社 ホーメックス
価格
:
8,800,000
円
土地面積
:363.68㎡ /110.01坪
坪単価
:79,992円/坪
建ぺい率
:70%
容積率
:200%
表示切替:
一覧表示
/
地図表示
並び替え:
指定なし
新着順
価格が安い順
価格が高い順
価格は物件の代金総額を表示しており、消費税が課税される場合は税込み価格です。
建築条件付き土地価格には、建物価格は含まれません。
物件情報の詳細については取り扱い店までお問い合わせください。
完成予想図はいずれも外構・植栽・外観等実際のものと異なることが多少あります。
CG合成の画像の場合実際と異なることが多少あります。
完成後1年以上経過したものが未入居として記載される場合があります。ご了承ください。
販売予定物件は販売開始するまで契約または予約の申し込みはできません。
ご購入の場合物件詳細や契約内容についてご自身で十分ご確認いただきますようよろしく御願いします。
建築条件付きとは…その土地に建築する建物の建築請負契約が、一定期間内に成立することを条件として売買される土地のことをいいます。請負契約成立に向けて設計プランを協議するため、土地購入者が希望する建物にするために一定の期間(概ね3ヶ月)交渉期間としその期間内に希望するプランが実現できたかどうかによって土地の購入の判断をします。納得のいくプランができず請負契約が未成立になった場合、土地契約にかかった代金(手付金など)は、すべて返却されます。
2021件
該当しました。
<前のページ
73
74
75
76
77
78
79
80
81
82
83
次のページ>
0件
がマッチ
基本条件
物件種別
売土地・分譲地
詳細種別
売土地
分譲地
価格
下限なし
100万円
250万円
500万円
1000万円
1500万円
2000万円
2500万円
3000万円
3500万円
4000万円
4500万円
5000万円
5500万円
6000万円
6500万円
7000万円
7500万円
8000万円
8500万円
9000万円
9500万円
1億円
~
上限なし
100万円
250万円
500万円
1000万円
1500万円
2000万円
2500万円
3000万円
3500万円
4000万円
4500万円
5000万円
5500万円
6000万円
6500万円
7000万円
7500万円
8000万円
8500万円
9000万円
9500万円
1億円
間取り
ワンルーム
1K
1DK
1LDK
2K
2DK
2LDK
3K
3DK
3LDK
4K
4DK
4LDK以上
専有面積
下限なし
20㎡
30㎡
40㎡
50㎡
60㎡
70㎡
80㎡
90㎡
100㎡
~
上限なし
20㎡
30㎡
40㎡
50㎡
60㎡
70㎡
80㎡
90㎡
100㎡
土地面積
下限なし
60㎡ (約18坪)
70㎡ (約21坪)
80㎡ (約24坪)
90㎡ (約27坪)
100㎡ (約30坪)
110㎡ (約33坪)
120㎡ (約36坪)
130㎡ (約39坪)
140㎡ (約42坪)
150㎡ (約45坪)
160㎡ (約48坪)
170㎡ (約51坪)
180㎡ (約54坪)
190㎡ (約57坪)
200㎡ (約60坪)
250㎡ (約75坪)
300㎡ (約90坪)
~
上限なし
60㎡ (約18坪)
70㎡ (約21坪)
80㎡ (約24坪)
90㎡ (約27坪)
100㎡ (約30坪)
110㎡ (約33坪)
120㎡ (約36坪)
130㎡ (約39坪)
140㎡ (約42坪)
150㎡ (約45坪)
160㎡ (約48坪)
170㎡ (約51坪)
180㎡ (約54坪)
190㎡ (約57坪)
200㎡ (約60坪)
250㎡ (約75坪)
300㎡ (約90坪)
建物面積
下限なし
60㎡ (約18坪)
70㎡ (約21坪)
80㎡ (約24坪)
90㎡ (約27坪)
100㎡ (約30坪)
110㎡ (約33坪)
120㎡ (約36坪)
130㎡ (約39坪)
140㎡ (約42坪)
150㎡ (約45坪)
160㎡ (約48坪)
170㎡ (約51坪)
180㎡ (約54坪)
190㎡ (約57坪)
200㎡ (約60坪)
250㎡ (約75坪)
300㎡ (約90坪)
~
上限なし
60㎡ (約18坪)
70㎡ (約21坪)
80㎡ (約24坪)
90㎡ (約27坪)
100㎡ (約30坪)
110㎡ (約33坪)
120㎡ (約36坪)
130㎡ (約39坪)
140㎡ (約42坪)
150㎡ (約45坪)
160㎡ (約48坪)
170㎡ (約51坪)
180㎡ (約54坪)
190㎡ (約57坪)
200㎡ (約60坪)
250㎡ (約75坪)
300㎡ (約90坪)
坪単価
下限なし
5万円
10万円
15万円
20万円
25万円
30万円
35万円
40万円
45万円
50万円
~
上限なし
5万円
10万円
15万円
20万円
25万円
30万円
35万円
40万円
45万円
50万円
築年数
指定なし
新築
3年以内
5年以内
10年以内
15年以内
20年以内
方位
北
北東
東
南東
南
南西
西
北西
おすすめ条件
ペット可・相談
楽器可・相談
情報公開日
指定なし
本日
3日以内
1週間以内
1ヶ月以内
0件
がマッチ
人気のあるこだわり条件
高台に立地(104)
角地(380)
整形地(715)
前道6m以上(985)
南側道路面す(383)
更地(1182)
学校近く(549)
スーパー近く(408)
最寄り駅近く(227)
閑静な住宅街(924)
分割可能(52)
建築条件なし(1493)
所有権(1594)
即引き渡し可(659)
側溝(683)
都市ガス(前面道路)(805)
LPG(154)
上水道(前面道路)(898)
下水道(前面道路)(823)
浄化槽(76)
電気(911)
都市ガス(宅地内)(817)
上水道(宅地内)(1049)
下水道(宅地内)(964)
前面道路融雪設備あり(404)
その他水道(2)
住宅向け(1406)
事業用向け(313)
別荘地(117)
田舎暮らし(220)
条件に合った物件数は、
0 件
です。
立地・環境
高台に立地(104)
角地(380)
整形地(715)
前道6m以上(985)
南側道路面す(383)
更地(1182)
学校近く(549)
スーパー近く(408)
最寄り駅近く(227)
閑静な住宅街(924)
用途・制限
分割可能(52)
建築条件なし(1493)
引渡・条件
所有権(1594)
即引き渡し可(659)
設備
側溝(683)
都市ガス(前面道路)(805)
LPG(154)
上水道(前面道路)(898)
下水道(前面道路)(823)
浄化槽(76)
電気(911)
都市ガス(宅地内)(817)
上水道(宅地内)(1049)
下水道(宅地内)(964)
前面道路融雪設備あり(404)
その他水道(2)
その他
住宅向け(1406)
事業用向け(313)
別荘地(117)
田舎暮らし(220)
条件に合った物件数は、
0 件
です。
アパート・マンション・一戸建て
/
駐車場
/
貸土地
/
店舗
/
事務所
/
倉庫・工場
新築分譲マンション
/
中古マンション
/
新築一戸建て
/
中古一戸建て
/
売土地
/
投資物件・その他
マンション
/
一戸建て
/
土地
建てる・リフォーム
物件掲載企業一覧
掲載希望の企業様へ
新潟の不動産情報サイト
サービス利用規約
運営会社
サイトマップ
プライバシーポリシー
お問い合わせ
リンク
Copyright (C)
株式会社 コモンライフ・コーポレーション
. All Rights Reserved.
新潟・長岡・柏崎の賃貸・マンション・アパート・住宅の不動産物件情報サイト
不動産検索サイト「らくすむ」及び関連サイトに記載の不動産情報は、会員規約に則り、情報提供会社様の責任のもとに発信されております。
不動産の賃借、購入に関しては賃借者、購入者ご自身が情報を確認され、会社企業様から説明を受けられたうえで判断をお願いいたします。
不動産検索サイト「らくすむ」及び関連サイトに記載の不動産情報、写真、デザイン、コンテンツなどの
無断転載・転用・複製
など禁止します。