| 物件コード | 00251-100003 | ||
|---|---|---|---|
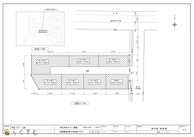
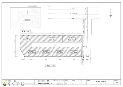
| 物件名 | 柏崎市 下田尻 817-1 区画D | ||
| 交通 | 駅:信越線 茨目駅から徒歩15分、バス:下田尻西から徒歩3分 | ||
| 所在地 | 新潟県柏崎市下田尻817-1 | ||
| 物件種別 | 貸土地 | ||
| 総戸数 | - | ||
| 構造 | - | 階建 | - |
| 所在階/階数 | - | 号室 | - |
| 面積 | 96㎡ (29.04坪) | 方位 | - |
| 間取り |
|
||
| 賃料 | 3.3万円/月
|
管理費 | - |
| 礼金 | - | 敷金 | - |
| ほか初期費用 | - | その他諸費用 | - |
| 更新料 | - | 火災(家財)保険 | - |
| 共益費 | - | 町内費 | - |
| 駐車場 | - | バイク料金 | - |
| 鍵交換費 | - | 清掃料 | - |
| 更新事務手数料 | - | ||
| 保証区分 |
緊急連絡先のみ |
||
| 保証会社 |
区分:指定なし - |
||
| 連帯保証人 |
区分:不要 - |
||
| 仲介手数料 |
33,000円
|
||
| 築年月 | - | ||
| 利用制限 | - | ||
| 学校区 | 田尻小学校(1,196m)・東中学校(897m) | ||
| 設備 | 平坦地、周辺の交通量少なめ、即引き渡し可 | ||
| 入居時期 | 即入居可 | ||
| 取引態様 | 仲介 | ||
| 備考 | - | ||
| 手数料負担割合/配分割合 | 貸主:-% 借主:-% / 元付:-% 客付:-% | ||
| 情報登録日 | 2025/07/24 | 次回更新予定日 | 2025/12/13 |
|
|
|
|
|
| TEL: | 0257-35-6025 |
|---|---|
| 所在地: | 新潟県柏崎市加納2776-1 |
| 交通: | |
| 営業時間: | 8:00~18:30/定休日:日曜日・祝日 |
| 免許番号: | 新潟県知事(2)第5462号 |
| 所属団体名: | 公社 新潟県宅地建物取引協会 |
| 取引態様: | 仲介 |