物件掲載企業数:299|賃貸物件:3,595件|売買物件:3,319件|今週の登録物件:266
閲覧中のブラウザ(インターネットエクスプローラー)は非推奨ブラウザです。
物件が正しく表示されなかったり、正しく検索されない場合があります。最新のブラウザ(Google Chrome・Edgeなど)にてご利用お願いいたします。
  

新潟県柏崎市下田尻817-1 貸土地 3.3万円の物件情報

資材置き場におすすめ

物件名
所在地
面積
間取り
所在階
築年数
方位
賃料
管理費等
共益費
敷金
保証金
礼金
種別
構造
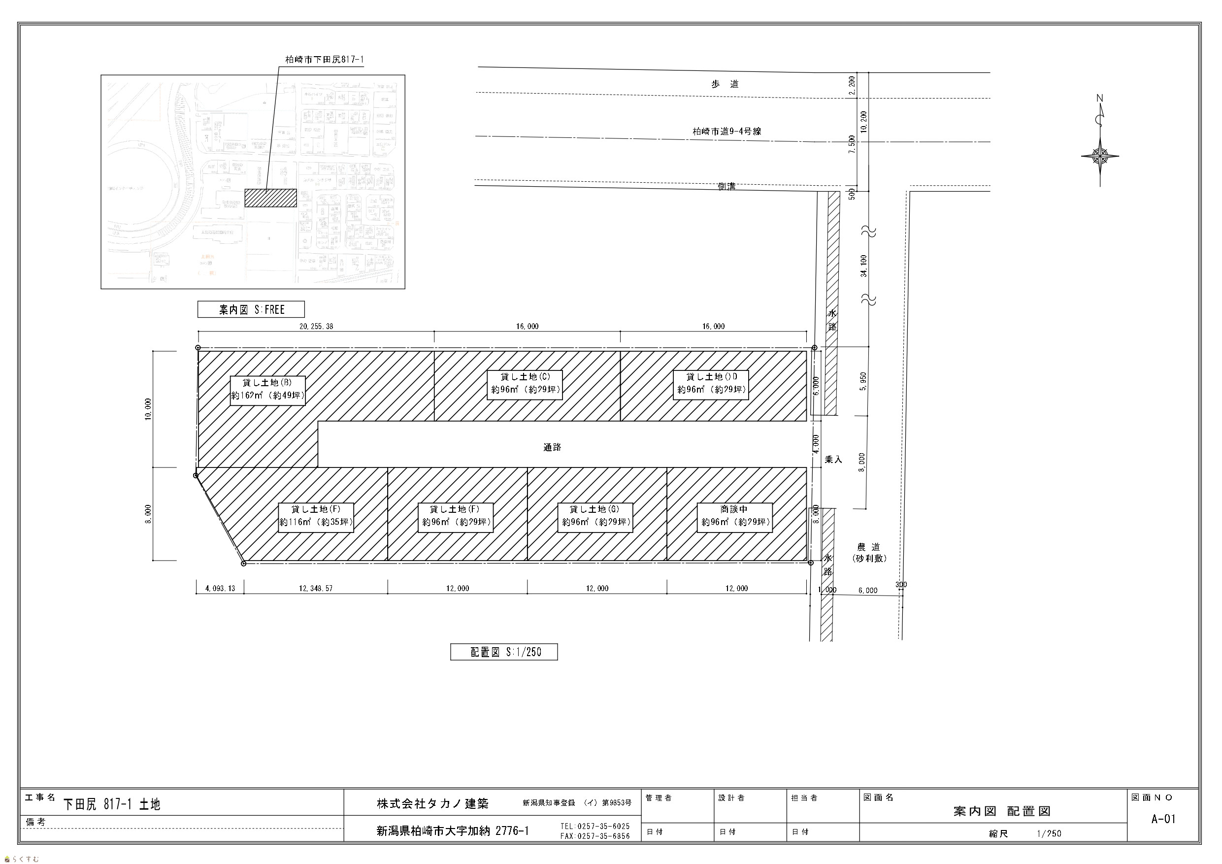
柏崎市 下田尻 817-1 区画C
新潟県柏崎市下田尻817-1
96㎡
(29.04坪)
-
-
-
-
3.3万円
なし
なし
なし
なし
なし
貸土地
-
  • 柏崎市 下田尻 817-1 区画C
    株式会社 タカノ建築
  • この物件を問い合わせる/無料
  • TEL: 0257-35-6025

物件画像

外観 間取り
物件画像
※画像クリックで拡大表示
外観
物件画像
※画像クリックで拡大表示
間取り
詳細画像
360度画像
360
※下のリンクをクリックすると、上の画像が切り替わります。
360     

インターネットエクスプローラーでは360°画像は閲覧できません。それ以外のブラウザでご覧下さい。



物件概要

物件コード 00251-100002
物件名 柏崎市 下田尻 817-1 区画C
交通 駅:信越線 茨目駅から徒歩15分、バス:下田尻西から徒歩3分
所在地 新潟県柏崎市下田尻817-1
物件種別 貸土地
総戸数 -
構造 - 階建 -
所在階/階数 - 号室 -
面積 96㎡ /29.04坪 方位 -
間取り -
賃料 3.3万円/月
管理費 -
礼金 - 敷金 -
ほか初期費用 - その他諸費用 -
更新料 - 火災(家財)保険 -
共益費 - 町内費 -
駐車場 - バイク料金 -
鍵交換費 - 清掃料 -
更新事務手数料 -
保証区分 緊急連絡先のみ
保証会社 区分:指定なし
-
連帯保証人 区分:不要
-
仲介手数料 33,000円
築年月 -
利用制限 -
学校区 田尻小学校(1,196m)・東中学校(897m)
設備 平坦地、周辺の交通量少なめ、即引き渡し可
入居時期 即入居可
取引態様 仲介
備考 -
手数料負担割合/配分割合 貸主:-%   借主:-% / 元付:-%   客付:-%  
取り扱い会社

株式会社 タカノ建築

新潟県柏崎市加納2776-1

情報登録日 2025/07/24 次回更新予定日 2025/10/28
  • 柏崎市 下田尻 817-1 区画C
    株式会社 タカノ建築
  • この物件を問い合わせる/無料
  • TEL: 0257-35-6025

この物件の地図・周辺情報・行政情報

この物件の周辺情報・行政情報を詳しく見る
【周辺情報】
物件の近くにあるコンビニや銀行・学校など、アイコン付のマップで詳しく表示できます!
【行政情報】
水道料や下水道料・ガス料金など、暮らしに関係のある情報を表示しています。

担当取扱い店舗情報

取扱い店舗画像
株式会社 タカノ建築
TEL: 0257-35-6025
所在地: 新潟県柏崎市加納2776-1
交通:
営業時間: 8:00~18:30/定休日:日曜日・祝日
免許番号: 新潟県知事(2)第5462号 この会社の情報を詳しく見る
所属団体名: 公社 新潟県宅地建物取引協会 
取引態様: 仲介
ホームページ: https://www.takano-ken.jp/